Forum Entomologi Italiani
https://www.entomologiitaliani.net/public/forum/phpbb3/

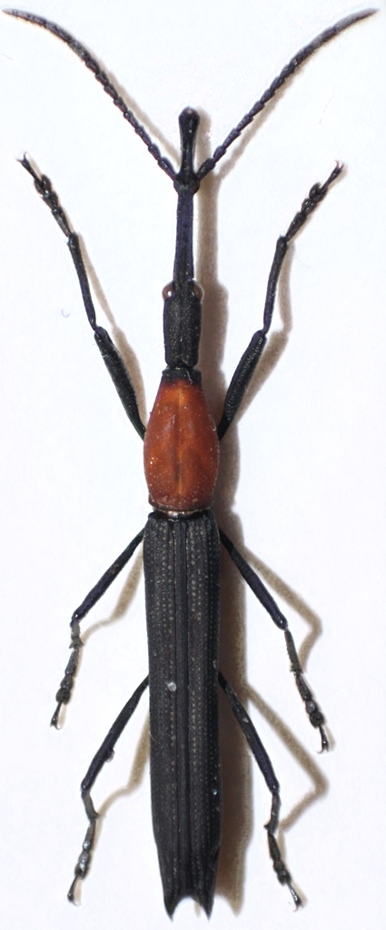
Ischnomerus erythroderes Labram et Imhoff, 1838 cf. - Brentidae
https://www.entomologiitaliani.net/public/forum/phpbb3/viewtopic.php?f=512&t=87342
Pagina 1 di 1

Autore:  Rothari [ 07/05/2020, 13:16 ]
Oggetto del messaggio:  Ischnomerus erythroderes Labram et Imhoff, 1838 cf. - Brentidae

Salve a tutti, ecco un altro brentide, dalla stessa bustina di questo. È lungo circa 17 mm, spero si riesca ad identificare da queste foto.

brentidae1.jpg


brentidae2.jpg


brentidae3.jpg


Grazie dell'aiuto!

Autore:  StagBeetle [ 02/02/2021, 19:33 ]
Oggetto del messaggio:  Re: Ischnomerus erythroderes Labram et Imhoff, 1838 cf. - Brentidae

Sulla base di quanto scritto qui,
viewtopic.php?f=11&t=94083

rinomino la discussione.

Ciao :)

Pagina 1 di 1 Tutti gli orari sono UTC + 1 ora [ ora legale ]
Powered by phpBB® Forum Software © phpBB Group
http://www.phpbb.com/