| Autore |
Messaggio |
|
Agdistis
|
Inviato: 18/01/2019, 15:54 |
|
Iscritto il: 24/04/2010, 8:24 Messaggi: 5095
Nome: Lucio Morin
|
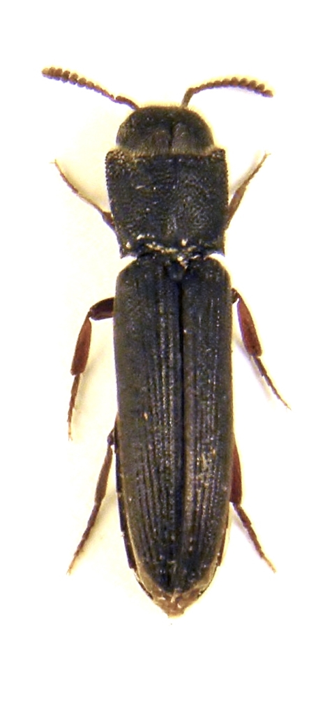
per essere sincero ho faticato molto ad individuare la famiglia e genere di questo coleottero che credo di aver alla fine determinato correttamente come Melasis buprestoides (Linnaeus, 1761) Eucnemidae, vedo sul forum tuttavia che un ex della Liguria ha un cfr. quindi se ce ne sono altri simili lascio a voi l'ultima parola. Uscito o meglio estratto da legna di nocciolo raccolta in novembre 2018, ho spaccato alcuni rami per vedere se all'interno ci fosse o meno qualcosa e in mezzo ai residui di legno ho intravisto questo piccolino, ne ho trovato poi un altro ex secco e mal ridotto anche nel contenitore significa che era nato da solo....in altri rametti ho trovato anche le larve ( dopo una ricerca sul Web) e quindi non ho proseguito oltre con l'ispezione per non danneggiarle, sono piuttosto sottili e allungate. dimensione 7,5mm Ciao Lucio
_________________ A VOLTE E' MEGLIO TACERE E SEMBRARE STUPIDI CHE APRIR BOCCA E TOGLIERE OGNI DUBBIO Oscar Wilde
|
|
| Top |
|
 |
|
Paradomorphus
|
Inviato: 18/01/2019, 19:00 |
|
Iscritto il: 14/10/2016, 16:39 Messaggi: 437 Località: Settimo Torinese (TO)
Nome: Federico Rosso
|
Sicuramente è lui 
_________________ Federico Rosso
... venite pure con le ragioni e con le dimostrazioni, vostre o di Aristotile, e non con testi e nude autorità, perché i discorsi nostri hanno a essere intorno al mondo sensibile, e non sopra un mondo di carta. (Galileo Galilei)
|
|
| Top |
|
 |
|
Paradomorphus
|
Inviato: 18/01/2019, 19:07 |
|
Iscritto il: 14/10/2016, 16:39 Messaggi: 437 Località: Settimo Torinese (TO)
Nome: Federico Rosso
|
Agdistis ha scritto: vedo sul forum tuttavia che un ex della Liguria ha un cfr. quindi se ce ne sono altri simili lascio a voi l'ultima parola. In realtà dovrebbe essere l'unico Melasis italiano, non capisco il motivo del dubbio sull'esemplare ligure. 
_________________ Federico Rosso
... venite pure con le ragioni e con le dimostrazioni, vostre o di Aristotile, e non con testi e nude autorità, perché i discorsi nostri hanno a essere intorno al mondo sensibile, e non sopra un mondo di carta. (Galileo Galilei)
|
|
| Top |
|
 |
|
Agdistis
|
Inviato: 18/01/2019, 19:10 |
|
Iscritto il: 24/04/2010, 8:24 Messaggi: 5095
Nome: Lucio Morin
|
 Grazie per la conferma. Ciao Lucio
_________________ A VOLTE E' MEGLIO TACERE E SEMBRARE STUPIDI CHE APRIR BOCCA E TOGLIERE OGNI DUBBIO Oscar Wilde
|
|
| Top |
|
 |
|
Clickie
|
Inviato: 18/01/2019, 23:41 |
|
Iscritto il: 13/10/2010, 18:21 Messaggi: 1997
Nome: Andrea Liberto
|
|
All'esemplare di Liguria, semplicemente, non è stato tolto il cf.
E' stato descritto relativamente di recente Melansis fermini Sanchez-Ruiz & De La Rosa, 2003 , su due maschi e due femmine di Spagna (Guadalajara, Caceres). Sulla validità della specie ho qualche dubbio, ma non si sa mai.
Chi vivrà….
|
|
| Top |
|
 |
|
Agdistis
|
Inviato: 19/01/2019, 22:44 |
|
Iscritto il: 24/04/2010, 8:24 Messaggi: 5095
Nome: Lucio Morin
|
aggiungo le larve..... Ciao Lucio
_________________ A VOLTE E' MEGLIO TACERE E SEMBRARE STUPIDI CHE APRIR BOCCA E TOGLIERE OGNI DUBBIO Oscar Wilde
|
|
| Top |
|
 |
|
Paradomorphus
|
Inviato: 20/01/2019, 14:06 |
|
Iscritto il: 14/10/2016, 16:39 Messaggi: 437 Località: Settimo Torinese (TO)
Nome: Federico Rosso
|
Bellissime! Non si danneggiano se estratte dal legno, come accade agli affini buprestidi? Se non sono inopportuno, mi piacerebbe poterne avere un esemplare  ci sarai a Modena? Cosa posso darti in cambio? 
_________________ Federico Rosso
... venite pure con le ragioni e con le dimostrazioni, vostre o di Aristotile, e non con testi e nude autorità, perché i discorsi nostri hanno a essere intorno al mondo sensibile, e non sopra un mondo di carta. (Galileo Galilei)
|
|
| Top |
|
 |
|
Agdistis
|
Inviato: 20/01/2019, 14:28 |
|
Iscritto il: 24/04/2010, 8:24 Messaggi: 5095
Nome: Lucio Morin
|
|
Si muoino, escono dai fori /gallerie e non sono più in grado di rientrare, neppure se rimesse tra due pezzi spaccati si adattano a scavare un'altra galleria per questo ho smesso di spaccare i rametti per evitare questo problema. Ieri ho trovato un maschio quindi ora ho la mia coppia, se nasceranno altre e spero proprio di si te ne riservo alcuni ex. Ciao Lucio
_________________ A VOLTE E' MEGLIO TACERE E SEMBRARE STUPIDI CHE APRIR BOCCA E TOGLIERE OGNI DUBBIO Oscar Wilde
|
|
| Top |
|
 |
|
Paradomorphus
|
Inviato: 20/01/2019, 14:34 |
|
Iscritto il: 14/10/2016, 16:39 Messaggi: 437 Località: Settimo Torinese (TO)
Nome: Federico Rosso
|
Grazie mille! Se possibile tienimi anche un paio di larve in alcool 50%. Fammi sapere come ricambiare 
_________________ Federico Rosso
... venite pure con le ragioni e con le dimostrazioni, vostre o di Aristotile, e non con testi e nude autorità, perché i discorsi nostri hanno a essere intorno al mondo sensibile, e non sopra un mondo di carta. (Galileo Galilei)
|
|
| Top |
|
 |
|