Benvenuto Ospite

Forum Entomologi Italiani

www.entomologiitaliani.net/forum
 
Oggi è 17/04/2026, 21:35

Tutti gli orari sono UTC + 1 ora [ ora legale ]

Dryops sp. - Dryopidae

14.II.2011 - ITALIA - Lazio - RM, Bosco di Nettuno


nuovo argomento
rispondi
Pagina 1 di 1 [ 1 messaggio ]
Autore Messaggio
 Oggetto del messaggio: Dryops sp. - Dryopidae
MessaggioInviato: 16/02/2011, 0:01 
Avatar utente

Iscritto il: 30/12/2009, 22:20
Messaggi: 31564
Località: Roma
Nome: Maurizio Gigli
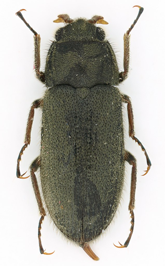
Genere nuovo per il Forum:

Dryops sp.

Lazio, Roma, Bosco di Nettuno, pozze temporanee, 14.II.2011, M. Gigli legit
3,7 mm

Dryops_Nettuno_14-II-2011_3,7mm_b.jpg



La cosa strana di questi insetti è che tendevano a concentrarsi sopra le masse gelatinose di uova di anfibio. Ed in loro compagnia c'erano pure dei piccoli Idrofilidi.

Bosco_Nettuno_14-II-2011_OL008.JPG



Bosco_Nettuno_14-II-2011_OL010.JPG


_________________
Maurizio Gigli
http://utenti.romascuola.net/bups
http://bup.xoom.it/


Top
profilo
Visualizza ultimi messaggi:  Ordina per  
nuovo argomento
rispondi
Pagina 1 di 1 [ 1 messaggio ]

Tutti gli orari sono UTC + 1 ora [ ora legale ]


Chi c’è in linea

Visitano il forum: Nessuno e 1 ospite


Non puoi aprire nuovi argomenti
Non puoi rispondere negli argomenti
Non puoi modificare i tuoi messaggi
Non puoi cancellare i tuoi messaggi
Non puoi inviare allegati

Cerca per:
Vai a: