Benvenuto Ospite

Forum Entomologi Italiani

www.entomologiitaliani.net/forum
 
Oggi è 30/11/2025, 17:07

Tutti gli orari sono UTC + 1 ora [ ora legale ]

Stenelmis consobrina consobrina Dufour, 1835 - Elmidae

VI.2009 - ITALIA - Emilia-Romagna - BO, Sasso Marconi


nuovo argomento
rispondi
Pagina 1 di 1 [ 11 messaggi ]
Autore Messaggio
MessaggioInviato: 04/07/2009, 13:43 
Avatar utente

Iscritto il: 05/02/2009, 17:25
Messaggi: 4894
Località: Zola Predosa (BO)
Nome: Loris Colacurcio
Palazzo Rossi - Sasso Marconi (BO) giugno 2009

Raccolto sotto alcuni sassi in un ramo ormai chiuso del fiume Reno.

Non sono riuscito a capire se si tratta davvero del canaliculatum.... :oops:

(Elmidi) Stenelmis canaliculatum.jpg


Loris

_________________
Loris


Top
profilo
 Oggetto del messaggio: Re: Stenelmis cf. canaliculatum
MessaggioInviato: 04/07/2009, 13:44 
Avatar utente

Iscritto il: 05/02/2009, 17:25
Messaggi: 4894
Località: Zola Predosa (BO)
Nome: Loris Colacurcio
Tra l'altro ero convinto di avere già postato questa specie.....ma non l'ho trovata !!
Spero di non avervi presentato un doppione.

Loris

_________________
Loris


Top
profilo
 Oggetto del messaggio: Re: Stenelmis cf. canaliculatum
MessaggioInviato: 05/07/2009, 15:41 
Avatar utente

Iscritto il: 06/02/2009, 9:15
Messaggi: 1468
Località: Vigevano PV
Nome: Danilo Mario Piccolino
:D Congratulazioni caro Loris.....non si trovano Stenelmis tanto facilmente.

Veniamo all' ID controllando sempre il Volume di Olmi, 1978 sui Driopidi ed Elmintidi per poter discriminare le specie ci si può valere sulle dimensioni generali e sul carattere presente nella terza interstria delle elitre carenata.

....carenata per tutto il terzo prossimale, canaliculata

.....3 interstria con un semplice accenno di carena, consobrina


Serve comunque lo studio dell'edeago per la certezza.

Mi sono permesso di ritoccare con luminosità e contrasto la tua immagine per cercare di capire il carattere della carena....ma devo gettare la spugna, in ogni caso l'allego per confronto, penso che controllando sotto lo stereo riuscirai a vederla meglio.

Per cui per adesso rimane Stenelmis cf. canaliculata (Gyllenhal, 1808)


Certo che se si trattasse della consobrina sarebbe proprio un bel reperto...è molto più rara della canaliculata


:hi:


Foto Loris Colacurcio Stenelmis
%28Elmidi%29%20Stenelmis%20canaliculatumcopia.jpg


_________________
Danilo
Top
profilo
 Oggetto del messaggio: Re: Stenelmis cf. canaliculatum
MessaggioInviato: 05/07/2009, 19:21 
Avatar utente

Iscritto il: 05/02/2009, 17:25
Messaggi: 4894
Località: Zola Predosa (BO)
Nome: Loris Colacurcio
...vedrò di fare una macro sulle interstrie.
Ma senza una bestiola di confronto come faccio a capire se quello che vedo è un accenno o una carena vera (che si interrompe al terzo dell'elitra) ?

Loris

_________________
Loris


Top
profilo
 Oggetto del messaggio: Re: Stenelmis cf. canaliculatum
MessaggioInviato: 05/07/2009, 19:24 
Avatar utente

Iscritto il: 05/02/2009, 17:25
Messaggi: 4894
Località: Zola Predosa (BO)
Nome: Loris Colacurcio
Comunque non mi sembra così evidente (la carena).....o sbaglio ?

http://www.galerie-insecte.org/galerie/ ... ulata.html

_________________
Loris


Top
profilo
 Oggetto del messaggio: Re: Stenelmis cf. canaliculatum
MessaggioInviato: 07/07/2009, 0:04 
Avatar utente

Iscritto il: 06/02/2009, 9:15
Messaggi: 1468
Località: Vigevano PV
Nome: Danilo Mario Piccolino
:mrgreen: Hai perfettamente ragione....anch'io non ho materiale di confronto determinato con certezza.

Ho solo visto i disegni al corredo del volume di Olmi....aspettiamo eventualmente una tua immagine sulle interstrie.

P.S. se non possiedi il volume di Olmi ti posso inviare le scansioni dei disegni....ma rimane sempre la prova principe.....l'esame dell'edeago ( se l'esemplare è un maschio )

:hi:

_________________
Danilo


Top
profilo
MessaggioInviato: 14/09/2009, 8:27 
Avatar utente

Iscritto il: 05/02/2009, 17:25
Messaggi: 4894
Località: Zola Predosa (BO)
Nome: Loris Colacurcio
Un aggiornamento ed una preghiera a Marcello, per le opportune correzioni. Dopo lungo penare, e grazie ad una insperata raccolta di esemplari, ho potuto finalmente rischiare la (per me) difficile estrazione dell'edeago....e non vi sono dubbi. :no:

Stenelmis consobrina consobrina (Dufour, 1835) :hp:

La bestiola, si trova esclusivamente lungo le piccole deviazioni del fiume, non nel corso principale ed unicamente dove la corrente è più forte.....per ora l'ho raccolta in due punti non più larghi di un paio di metri e altrove è introvabile.
Oltre alle Stenelmis, ho pure raccolto un discreto numero di Elmis cf. aenea, un paio di Limnus sp. e alcuni Esolus cf. berthelemyi ...insomma una vera folla di Elmidi. :mrgreen:
La tecnica adottata è simile a quella suggerita da Danilo: un colino, gli stivali...poi smuovi le pietre (non grandi) e passi subito con il colino a raccogliere tutta la "mota" smossa con i piedi.
Appena posso vi posterò una foto dell'edeago (spero sia fattibile) e altri esemplari.

Saluti, Loris

_________________
Loris


Top
profilo
MessaggioInviato: 14/09/2009, 15:58 
Avatar utente

Iscritto il: 18/02/2009, 0:24
Messaggi: 3909
Località: Asciano (Siena)
Nome: Andrea Petrioli
:ok: :ok: :ok:

Complimenti Loris!!!!


:hi:

_________________
:hi:
______
Andrea


Top
profilo
MessaggioInviato: 20/09/2009, 21:21 
Avatar utente

Iscritto il: 05/02/2009, 17:25
Messaggi: 4894
Località: Zola Predosa (BO)
Nome: Loris Colacurcio
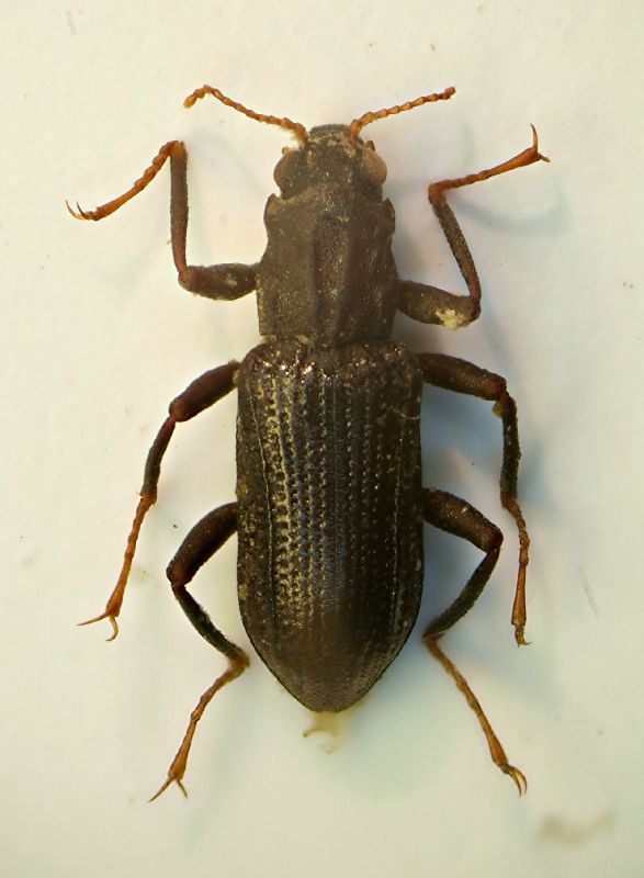
Come promesso, ecco infine le foto dell'edeago...e del relativo proprietario. Spero che non vi siano dubbi...

Sasso Marconi (BO) - Palazzo Rossi 12.IX.2009 fiume Reno

(Elmide) Stenelmis consobrina1.jpg



(Elmide) Stenelmis consobrina edeago.jpg



Loris

_________________
Loris


Top
profilo
MessaggioInviato: 24/09/2009, 23:54 
Avatar utente

Iscritto il: 06/02/2009, 9:15
Messaggi: 1468
Località: Vigevano PV
Nome: Danilo Mario Piccolino
:p :p :p Questo è un colpaccio caro Loris !


:birra:

_________________
Danilo


Top
profilo
MessaggioInviato: 24/09/2009, 23:58 
Avatar utente

Iscritto il: 05/02/2009, 17:25
Messaggi: 4894
Località: Zola Predosa (BO)
Nome: Loris Colacurcio
ovviamente, un paio di esemplari sono già da parte per te.
Volevo darteli la settimana scorsa...ricordamelo per maggio.

Loris

_________________
Loris


Top
profilo
Visualizza ultimi messaggi:  Ordina per  
nuovo argomento
rispondi
Pagina 1 di 1 [ 11 messaggi ]

Tutti gli orari sono UTC + 1 ora [ ora legale ]


Chi c’è in linea

Visitano il forum: Nessuno e 1 ospite


Non puoi aprire nuovi argomenti
Non puoi rispondere negli argomenti
Non puoi modificare i tuoi messaggi
Non puoi cancellare i tuoi messaggi
Non puoi inviare allegati

Cerca per:
Vai a: