| Autore |
Messaggio |
|
FORBIX
|
Inviato: 27/07/2010, 23:22 |
|
Iscritto il: 17/02/2009, 0:05 Messaggi: 8524 Località: Isola d'Elba - Arcipelago Toscano
Nome: Leonardo Forbicioni
|
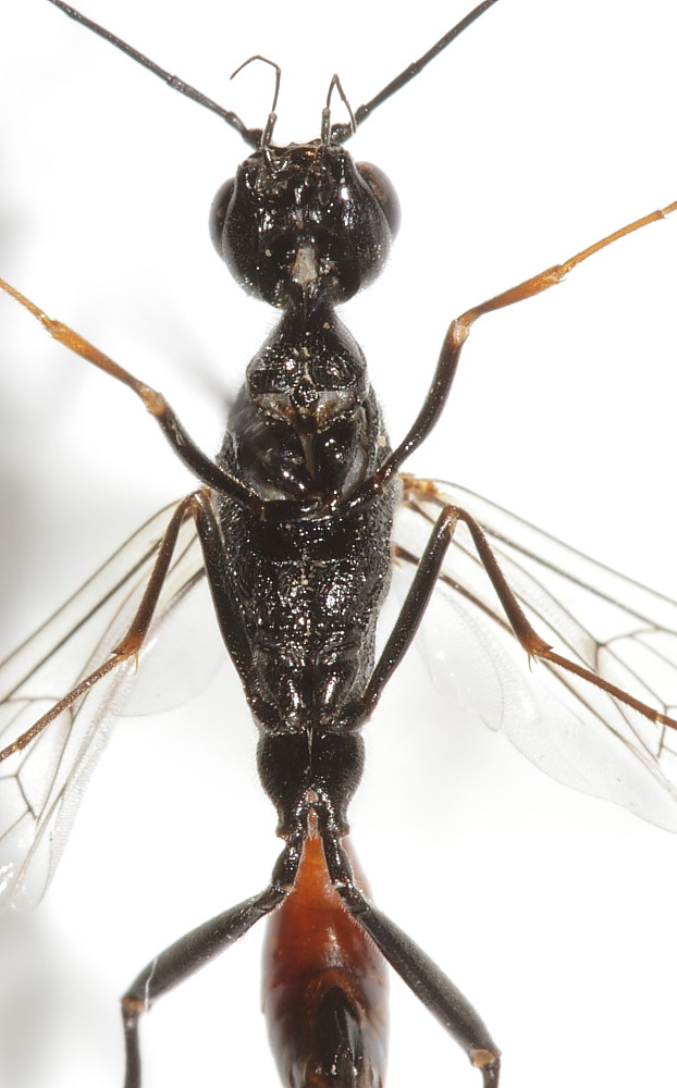
Portoferraio (LI) - 24.VII.2010 - Con queste bestie invece "passo!!!"...anche perchè non sono affatto sicuro che si tratti di un Ichneumonidae!
_________________ "Stay hungry, stay foolish". Steve Jobs, 2005 ___________________ jjuniper8(at)gmail.com Twitter: @weevil_forbixcell. 339/5275910 ___________________
Ultima modifica di FORBIX il 27/07/2010, 23:43, modificato 1 volta in totale.
|
|
| Top |
|
 |
|
Andricus
|
Inviato: 27/07/2010, 23:38 |
|
Iscritto il: 01/07/2010, 22:26 Messaggi: 5665 Località: Viterbo
Nome: Marco Selis
|
|
Non è un Ichneumonidae, però non so che imenottero possa essere.
|
|
| Top |
|
 |
|
FORBIX
|
Inviato: 27/07/2010, 23:43 |
|
Iscritto il: 17/02/2009, 0:05 Messaggi: 8524 Località: Isola d'Elba - Arcipelago Toscano
Nome: Leonardo Forbicioni
|
Bene! Allora ho modificato aggiungendo i punti interrogativi! 
_________________ "Stay hungry, stay foolish". Steve Jobs, 2005 ___________________ jjuniper8(at)gmail.com Twitter: @weevil_forbixcell. 339/5275910 ___________________
|
|
| Top |
|
 |
|
Velvet Ant
|
Inviato: 27/07/2010, 23:57 |
|
| Amministratore |
 |
Iscritto il: 02/02/2009, 23:30 Messaggi: 7107 Località: Capaci (Pa)
Nome: Marcello Romano
|
|
A mio avviso, è un Gasteruption sp. (Evanoidea Gasteruptionidae (o Gasteruptiidae)). Grazie alle tue foto si notano infatti tutti i caratteri macroscopici utili per riconoscere i rappresentanti di questa famiglia. Il capo, soprattutto visto dall'alto, si presenta fortemente arrotondato. Il torace, in avanti, è allungato in una sorta di lungo collo, che separa nettamente la testa da resto del corpo. L’addome è allungato, attenuato gradualmente in avanti e inserito sulla parte superiore del torace. La terebra (ovopositore), nelle femmine, è spesso assai lunga.
_________________ Marcello Romano
|
|
| Top |
|
 |
|
Hemerobius
|
Inviato: 28/07/2010, 6:29 |
|
Iscritto il: 02/02/2009, 23:32 Messaggi: 5645 Località: da Ferrara ad Alghero
Nome: Roberto A. Pantaleoni
|
Bel colpo: Aulacidae (la terza famiglia non estinta degli Evan(i)oidea). Mai visto prima, un amico di molti nostri amici  ! Roberto 
_________________ verum stabile cetera fumus
|
|
| Top |
|
 |
|
Eopteryx
|
Inviato: 28/07/2010, 9:24 |
|
Iscritto il: 06/02/2009, 9:02 Messaggi: 1429 Località: Verona - Roma - Foggia e sporadicamente Padova
Nome: Filippo Di Giovanni
|
Hemerobius ha scritto: Bel colpo: Aulacidae (la terza famiglia non estinta degli Evan(i)oidea). Mai visto prima, un amico di molti nostri amici  ! Roberto   Controllo se è lo stesso che ho in collezione. Pippo
_________________ "Non posso separare il piacere estetico che provo nel vedere una farfalla dal piacere scientifico di sapere che cosa è" (V.Nabokov)
|
|
| Top |
|
 |
|
Eopteryx
|
Inviato: 28/07/2010, 12:41 |
|
Iscritto il: 06/02/2009, 9:02 Messaggi: 1429 Località: Verona - Roma - Foggia e sporadicamente Padova
Nome: Filippo Di Giovanni
|
Eopteryx ha scritto:  Controllo se è lo stesso che ho in collezione. Pippo mmm boh ? Ma siccome la coppia che ho l'ha determinata Mei, basta attendere che torni il buon Maurizio... Passo e chiudo, Filippo
_________________ "Non posso separare il piacere estetico che provo nel vedere una farfalla dal piacere scientifico di sapere che cosa è" (V.Nabokov)
|
|
| Top |
|
 |
|
FORBIX
|
Inviato: 28/07/2010, 13:02 |
|
Iscritto il: 17/02/2009, 0:05 Messaggi: 8524 Località: Isola d'Elba - Arcipelago Toscano
Nome: Leonardo Forbicioni
|
Eopteryx ha scritto: ..............basta attendere che torni il buon Maurizio..... Ed allora attendiamo!!!! 
_________________ "Stay hungry, stay foolish". Steve Jobs, 2005 ___________________ jjuniper8(at)gmail.com Twitter: @weevil_forbixcell. 339/5275910 ___________________
|
|
| Top |
|
 |
|
Jacek Hilszczanski
|
Inviato: 28/07/2010, 14:51 |
|
Iscritto il: 28/10/2009, 9:52 Messaggi: 8 Località: Poland
|
|
Pristaulacus, might be galitae (Aulacidae) some features are not well visible, but Fabrizio Turissi would be the best for determination.
|
|
| Top |
|
 |
|
FORBIX
|
Inviato: 16/10/2010, 12:39 |
|
Iscritto il: 17/02/2009, 0:05 Messaggi: 8524 Località: Isola d'Elba - Arcipelago Toscano
Nome: Leonardo Forbicioni
|
Grazie!! Cercherò di contattare il Prof. Fabrizio Turrisi......se ci riesco! Ho trovato qualche nota bibliografica: Kieffer, J. J. 1904c. Les Evaniides. Pp. 347-469 + plate XIII in: Species des Hyménoptères d’Europe et d’Algérie. E. André. Mme Frouent-Dubosclard, Editeur, Paris. 5-748 + plates I-XXI. Per quello che sono riuscito a reperire in rete, il locus typicus di questa specie sembra che sia l'Isola Galita (che non ho ancora capito se è italiana o tunisina) inoltre ho trovato che l'Olotipo è conservato a Genova (Pactolinus...fagli una foto!!  ): Type repository: MCSN, Italy, Genova, Museo Civico di Storia Naturale 'Giacomo Doria' .
_________________ "Stay hungry, stay foolish". Steve Jobs, 2005 ___________________ jjuniper8(at)gmail.com Twitter: @weevil_forbixcell. 339/5275910 ___________________
|
|
| Top |
|
 |
|
Isotomus
|
Inviato: 16/10/2010, 13:03 |
|
Iscritto il: 05/09/2009, 7:56 Messaggi: 3445 Località: Cesena
Nome: Gianfranco Sama
|
E' un arcipelago appartenente alla Tunisia 
_________________ Gianfranco Sama
"Benedetto colui che ti aiuta a correggere i tuoi errori invece di scagliarteli contro" ___________________________________ Gershom Sholem
|
|
| Top |
|
 |
|
FORBIX
|
Inviato: 16/10/2010, 13:11 |
|
Iscritto il: 17/02/2009, 0:05 Messaggi: 8524 Località: Isola d'Elba - Arcipelago Toscano
Nome: Leonardo Forbicioni
|
Vero Gianfranco......ora ho visto meglio! La geografia non è mai stato il mio forte. Vedo inoltre però che il Prof. Turrisi, si è occupato anche di Cerambycidae, segnalando nel 2005 Acanthocinus aedilis (Linnaeus, 1758), nuovo per la fauna siciliana  . Gli stò scrivendo in questo momento.......speriamo che mi risponda! 
_________________ "Stay hungry, stay foolish". Steve Jobs, 2005 ___________________ jjuniper8(at)gmail.com Twitter: @weevil_forbixcell. 339/5275910 ___________________
|
|
| Top |
|
 |
|
Fabio Penati
|
Inviato: 18/10/2010, 10:18 |
|
|
|
|
Caro Leonardo, mi chiamo Fabio Penati e sono il conservatore di entomologia del Museo Doria di Genova. In riferimento alla richiesta di fotografare l'olotipo di Pristaulacus galitae (Gribodo), che è conservato nelle nostre collezioni, non credo sussita una reale necessità. Infatti, personalmente sono abbastanza scettico riguardo all'efficacia a fini identificativi del confronto di esemplari con fotografie riprese da non specialisti, in quanto occorre conoscere molto bene i caratteri descriminatori taxon per taxon. Inoltre, nel caso del P. galitae, Giuseppe Fabrizio Turrisi ha pubblicato nel 2007 un lavoro dal titolo "Revision of the Palaearctic species of Pristaulacus Kieffer, 1900 (Hymenoptera: Aulacidae)", Zootaxa 1433: 1-76, nel quale la specie è ridescritta ed inoltre si trovano anche le chiavi di identificazione per tutte le specie paleartiche del genere. Tieni conto che in questo lavoro, l'olotipo del galitae è dato come depositato nella collezione privata di Guido Pagliano (così infatti era quando Turrisi l'ha esaminato), ma ora è stato restituito ed è qui a Genova. In ultimo, può darsi che Turrisi sia in grado di identificare il suo esemplare anche solo esaminando le ottime foto da te scattate. Cordiali saluti. Fabio Penati
|
|
| Top |
|
 |
|
Velvet Ant
|
Inviato: 18/10/2010, 11:54 |
|
| Amministratore |
 |
Iscritto il: 02/02/2009, 23:30 Messaggi: 7107 Località: Capaci (Pa)
Nome: Marcello Romano
|
Caro Leonardo, sto per spedire al tuo indirizzo di posta elettronica, il bel lavoro citato da Fabio Penati nel messaggio precedente, che a suo tempo l'amico Fabrizio Turrisi mi inviò. Le specie indicate d'Italia, oltre al P. galitae (raccolto, fra l'altro, all'isola del Giglio), sono altre due o tre e penso che, seguendo l'ottima tabella dicotomica presente nel contributo e confrontando i numerosi disegni e le foto, potrai tu stesso farti un'idea sulla possibile identità dell'esemplare, in attesa della risposta di Fabrizio. P.S. - Spedito 
_________________ Marcello Romano
|
|
| Top |
|
 |
|
FORBIX
|
Inviato: 18/10/2010, 17:39 |
|
Iscritto il: 17/02/2009, 0:05 Messaggi: 8524 Località: Isola d'Elba - Arcipelago Toscano
Nome: Leonardo Forbicioni
|
Grazie mille Marcello!!! Come promesso, ho contattato il Prof. Turrisi che si è dimostrato persona splendida e disponibilissima. Qui di seguito, scrivo parte della sua mail di risposta: ".......E' proprio un Aulacide, complimenti per aver reperito un es. di questa famiglia, non è frequente ! Anzi. Il modo migliore per ottenere questi parassitoidi (in massima parte di xilofagi appartenenti a Cerambicidi e Buprestidi) è l'allevamento da legno in laboratorio. Sarebbe interessante fare dei rilievi ecologici e fisiografici sul sito dove hai trovato l'es. e magari tentare di fare delle osservazioni sul campo (non si sa quasi nulla sulla biologia e sul comportamento di questa famiglia). L'identificazione dell'es. come P. galitae è verosimile, ma la certezza richiederebbe ulteriori dettagli, in particolare: 1) una visione dettagliata del capo in visione dorsale e laterale, per apprezzare la larghezza della carena occipitale (che in P.galitae è circa 0.5 volte il diametro di un ocello); 2) la visione del pronoto in visione laterale (in P.galitae questo è provvisto di un solo processo dentiforme anteriore); 3) il tarso posteriore (per apprezzare il colore e la lunghezza del basitarso); 4) le unghie delle zampe, in particolare numero e forma dei processi dentiformi. Altri caratteri sono importanti, ma quelli appena elencati sono essenziali. ....... fare qualche ulteriore foto (in questo caso, per facilitarti, ti invio due tavole di un lavoro di revisione che ho in corso, per darti un'idea dei caratteri descrittivi utili per la diagnosi).
In ogni caso, non mi risultano segnalazione di Aulacidi per l'Elba, e pertanto sarebbe opportuno fare anche una semplice segnalazione faunistica. In generale le specie di questa famiglia sono rare e quasi mai oggetto di lavori faunistici, non parliamo poi della sistematica o della biologia. ..........
Quindi, bel colpo, complimenti ancora e spero tu possa trovare altre specie interessanti di Imenotteri........ Ti sengalo in particolare, la revisione dei Pristaulacus paleartici pubblicata nel 2007, derivante dal mio dottorato."Quindi ora provvederò a fotografare le parti che Turrisi mi chiede, mandandogli le immagini ed inserendole sul forum per evidenziare i caratteri utili alla determinazione della specie. Piazzo la macchina fotografica  e vado ad iniziare!! 
_________________ "Stay hungry, stay foolish". Steve Jobs, 2005 ___________________ jjuniper8(at)gmail.com Twitter: @weevil_forbixcell. 339/5275910 ___________________
|
|
| Top |
|
 |
|