Benvenuto Ospite

Forum Entomologi Italiani

www.entomologiitaliani.net/forum
 
Oggi è 30/04/2026, 2:38

Tutti gli orari sono UTC + 1 ora [ ora legale ]

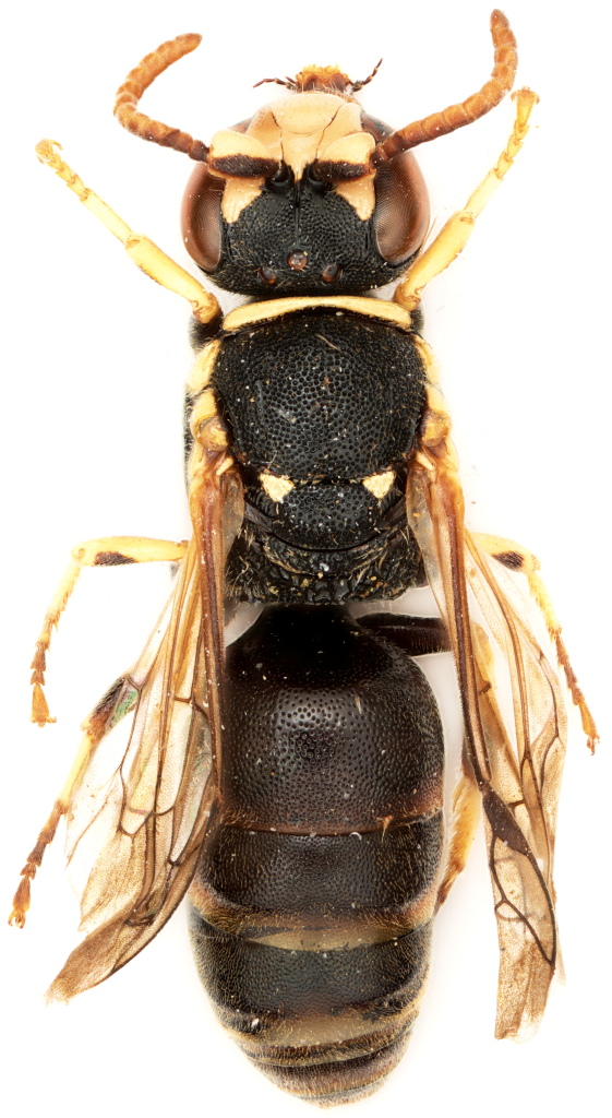
Hylaeus (Prosopis) sp. - Colletidae

13.VII.2021 - BULGARIA - EE, Stara Zagora


nuovo argomento
rispondi
Pagina 1 di 1 [ 3 messaggi ]
Autore Messaggio
 Oggetto del messaggio: Hylaeus (Prosopis) sp. - Colletidae
MessaggioInviato: 18/02/2022, 16:21 
 

Iscritto il: 03/09/2010, 14:07
Messaggi: 930
Località: Bulgaria
Nome: Georgi
L.7mm.


2017-10-18 15-44-58 (A,Radius2,Smoothing1).JPG

Top
profilo
 Oggetto del messaggio: Re: Hymenoptera
MessaggioInviato: 18/02/2022, 16:53 
Avatar utente

Iscritto il: 01/07/2010, 22:26
Messaggi: 5665
Località: Viterbo
Nome: Marco Selis
Hi Georgi, it's a male of Hylaeus (Prosopis), a Colletid bee. Can you take a frontal picture of the head? I have to see the shape of the depression below antennae.


Top
profilo
 Oggetto del messaggio: Re: Hymenoptera
MessaggioInviato: 18/02/2022, 18:25 
 

Iscritto il: 03/09/2010, 14:07
Messaggi: 930
Località: Bulgaria
Nome: Georgi
Hi Marco! Is this picture OK?


IMG_0004.JPG

Top
profilo
Visualizza ultimi messaggi:  Ordina per  
nuovo argomento
rispondi
Pagina 1 di 1 [ 3 messaggi ]

Tutti gli orari sono UTC + 1 ora [ ora legale ]


Chi c’è in linea

Visitano il forum: Nessuno e 1 ospite


Non puoi aprire nuovi argomenti
Non puoi rispondere negli argomenti
Non puoi modificare i tuoi messaggi
Non puoi cancellare i tuoi messaggi
Non puoi inviare allegati

Cerca per:
Vai a: