Benvenuto Ospite

Forum Entomologi Italiani

www.entomologiitaliani.net/forum
 
Oggi è 29/04/2026, 23:59

Tutti gli orari sono UTC + 1 ora [ ora legale ]

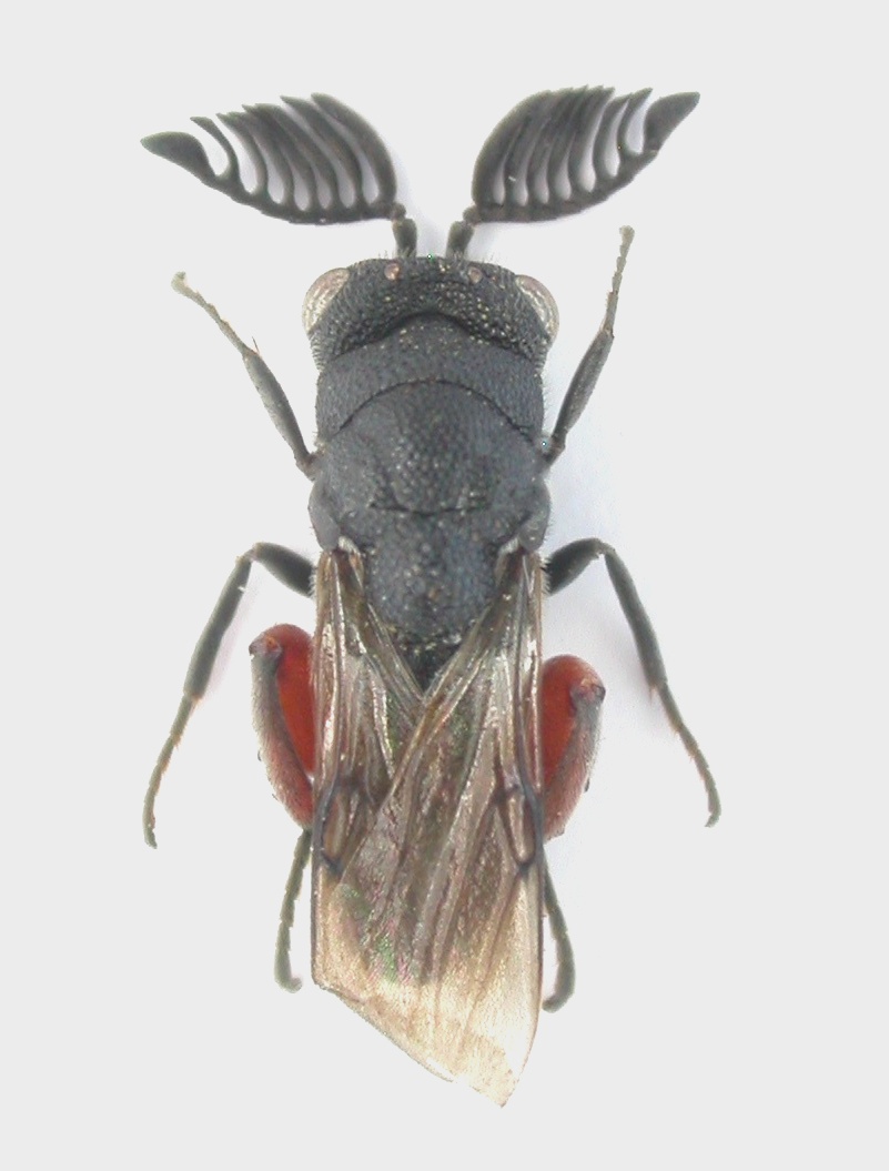
Chirocera pectinicornis (Latreille, 1809) - Chalcididae

1.VI.2014 - ITALIA - Sardegna - OR, San Vero Milis, loc. Mandriola, leg. R. Rattu


nuovo argomento
rispondi
Pagina 1 di 1 [ 11 messaggi ]
Autore Messaggio
MessaggioInviato: 05/06/2014, 13:35 
Avatar utente

Iscritto il: 02/09/2009, 20:57
Messaggi: 8703
Località: Cagliari
Nome: Roberto Rattu
Catturato mentre retinavo crisidi e maschi di mutilla; mi ha colpito la particolare morfologia delle antenne. Misura 5.1 mm

DSCN7279.JPG



Top
profilo
 Oggetto del messaggio: Re: Chalcidoidea da id.
MessaggioInviato: 05/06/2014, 17:32 
Avatar utente

Iscritto il: 02/02/2009, 23:32
Messaggi: 5645
Località: da Ferrara ad Alghero
Nome: Roberto A. Pantaleoni
Dovrebbe essere un vero Chalcididae !
Roberto :to:

_________________
verum stabile cetera fumus


Top
profilo
 Oggetto del messaggio: Re: Chalcidoidea da id.
MessaggioInviato: 05/06/2014, 19:41 
Avatar utente

Iscritto il: 31/08/2010, 7:16
Messaggi: 3045
Località: Romania
Nome: Pintilioaie Alexandru Mihai
Niceee :p :D

_________________
alexandrupintilioaie(AT)gmail.com


Top
profilo
 Oggetto del messaggio: Re: Chalcidoidea da id.
MessaggioInviato: 18/07/2014, 15:54 
Avatar utente

Iscritto il: 31/08/2010, 7:16
Messaggi: 3045
Località: Romania
Nome: Pintilioaie Alexandru Mihai
Your specimen is a Chirocera pectinicornis - male :ok: :birra:

:hi:

_________________
alexandrupintilioaie(AT)gmail.com


Top
profilo
 Oggetto del messaggio: Re: Chalcidoidea da id.
MessaggioInviato: 18/07/2014, 16:50 
Avatar utente

Iscritto il: 02/09/2009, 20:57
Messaggi: 8703
Località: Cagliari
Nome: Roberto Rattu
Grazie Alex :birra: .

:hi:


Top
profilo
 Oggetto del messaggio: Re: Chalcidoidea da id.
MessaggioInviato: 18/07/2014, 19:53 
Avatar utente

Iscritto il: 21/02/2011, 15:25
Messaggi: 3879
Località: Montecchio Emilia (RE)
Nome: Violi Michele
Fumea crassiorella ha scritto:
Catturato mentre retinavo crisidi...
E cosa hai preso? :p :mrgreen:

_________________
Michele :D


Top
profilo
 Oggetto del messaggio: Re: Chalcidoidea da id.
MessaggioInviato: 18/07/2014, 21:29 
Avatar utente

Iscritto il: 02/09/2009, 20:57
Messaggi: 8703
Località: Cagliari
Nome: Roberto Rattu
Mikiphasmide ha scritto:
Fumea crassiorella ha scritto:
Catturato mentre retinavo crisidi...
E cosa hai preso? :p :mrgreen:


Roba che scotta! :gh:


Top
profilo
 Oggetto del messaggio: Re: Chalcidoidea da id.
MessaggioInviato: 18/07/2014, 21:51 
Avatar utente

Iscritto il: 21/02/2011, 15:25
Messaggi: 3879
Località: Montecchio Emilia (RE)
Nome: Violi Michele
Fumea crassiorella ha scritto:
Roba che scotta! :gh:
Ci credo :p :p :p

_________________
Michele :D


Top
profilo
 Oggetto del messaggio: Re: Chalcidoidea da id.
MessaggioInviato: 18/07/2014, 21:51 
Avatar utente

Iscritto il: 22/12/2009, 13:31
Messaggi: 9646
Località: Napoli
Nome: Francesco Izzillo
Fumea crassiorella ha scritto:
Mikiphasmide ha scritto:
Fumea crassiorella ha scritto:
Catturato mentre retinavo crisidi...
E cosa hai preso? :p :mrgreen:


Roba che scotta! :gh:

Hedychridium "ardens"? :gh:

_________________
Francesco Izzillo


Top
profilo
 Oggetto del messaggio: Re: Chalcidoidea da id.
MessaggioInviato: 18/07/2014, 22:01 
Avatar utente

Iscritto il: 21/02/2011, 15:25
Messaggi: 3879
Località: Montecchio Emilia (RE)
Nome: Violi Michele
... o piuttosto una Holopyga inflammata? :mrgreen:

_________________
Michele :D


Top
profilo
 Oggetto del messaggio: Re: Chalcidoidea da id.
MessaggioInviato: 19/07/2014, 16:37 
Avatar utente

Iscritto il: 02/09/2009, 20:57
Messaggi: 8703
Località: Cagliari
Nome: Roberto Rattu
f.izzillo ha scritto:
Hedychridium "ardens"? :gh:

Mikiphasmide ha scritto:
... o piuttosto una Holopyga inflammata? :mrgreen:

:to: , nessuno dei due, solo una comune Chrysis ignita...

Scherzi a parte, ho preso roba banale: una Chrysura (del gruppo dichroa), una Chrysis semistriata e un Hedychridium scutellare.

:hi:


Top
profilo
Visualizza ultimi messaggi:  Ordina per  
nuovo argomento
rispondi
Pagina 1 di 1 [ 11 messaggi ]

Tutti gli orari sono UTC + 1 ora [ ora legale ]


Chi c’è in linea

Visitano il forum: Nessuno e 1 ospite


Non puoi aprire nuovi argomenti
Non puoi rispondere negli argomenti
Non puoi modificare i tuoi messaggi
Non puoi cancellare i tuoi messaggi
Non puoi inviare allegati

Cerca per:
Vai a: