Benvenuto Ospite

Forum Entomologi Italiani

www.entomologiitaliani.net/forum
 
Oggi è 27/01/2026, 10:13

Tutti gli orari sono UTC + 1 ora [ ora legale ]

Andricus grossulariae Giraud, 185 - Cynipidae

15.III.2003 - ITALIA - Emilia-Romagna - RA, Villanova di Bagnacavallo


nuovo argomento
rispondi
Pagina 1 di 1 [ 1 messaggio ]
Autore Messaggio
MessaggioInviato: 15/03/2022, 23:32 
 

Iscritto il: 08/12/2013, 1:52
Messaggi: 7617
Località: Bagnacavallo (RA)
Nome: Giorgio Pezzi
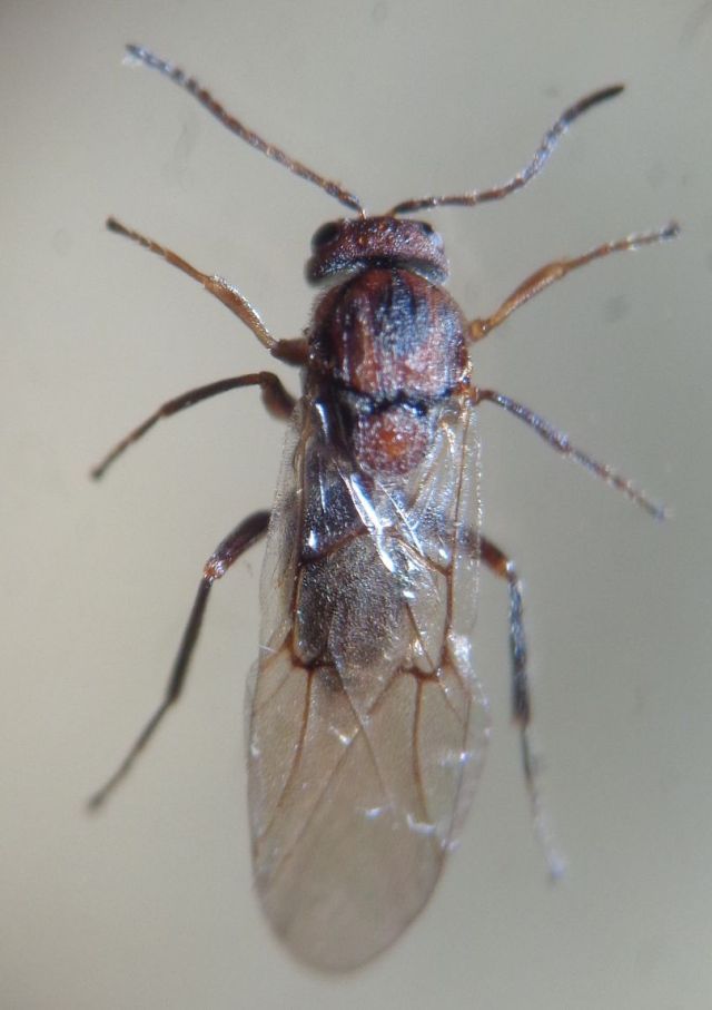
Ho dovuto fare foto per far confermare la galla e adulto della forma agamica a Salvatore Sottile e decido di postarle visto che la specie è poco documentata su FEI. La galla della forma agamica, nota come indotta da Andricus mayri (Wachtl, 1879) ovviamente divenuta sinonimo, è quella "spinosa", che ho reperito anche vicino a casa mia su farnia, la quale però non riesce a formare le galle piriformi su amenti maschili tipiche della forma sessuata e che si trovano invece su altre Quercus spp. sempreverdi e non (Salvatore in verbis). In tempi diversi ho ottenuto le due forme degli adulti: sessuati piccoli e scuri, solo corpo 2,3-2,5 mm, e forma agamica bruna, solo corpo mm 3,5-3,7.
:hi:
galle.JPG



gross agam.JPG

gross agam head.JPG

gross agam vs.JPG

gross sex.JPG

Top
profilo
Visualizza ultimi messaggi:  Ordina per  
nuovo argomento
rispondi
Pagina 1 di 1 [ 1 messaggio ]

Tutti gli orari sono UTC + 1 ora [ ora legale ]


Chi c’è in linea

Visitano il forum: Nessuno e 1 ospite


Non puoi aprire nuovi argomenti
Non puoi rispondere negli argomenti
Non puoi modificare i tuoi messaggi
Non puoi cancellare i tuoi messaggi
Non puoi inviare allegati

Cerca per:
Vai a: