Benvenuto Ospite

Forum Entomologi Italiani

www.entomologiitaliani.net/forum
 
Oggi è 23/01/2026, 13:42

Tutti gli orari sono UTC + 1 ora [ ora legale ]

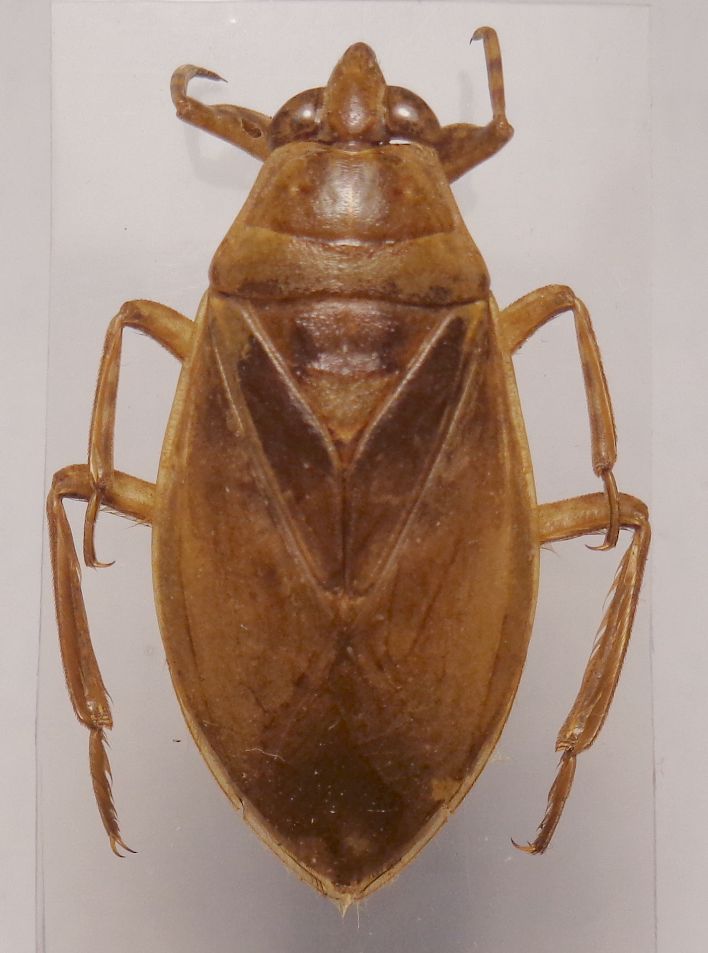
Belostoma sp. - Belostomatidae

8.XII.1992 - ECUADOR - EE, dintorni di Otavalo, m 2700


nuovo argomento
rispondi
Pagina 1 di 1 [ 1 messaggio ]
Autore Messaggio
 Oggetto del messaggio: Belostoma sp. - Belostomatidae
MessaggioInviato: 09/12/2021, 23:41 
 

Iscritto il: 08/12/2013, 1:52
Messaggi: 7617
Località: Bagnacavallo (RA)
Nome: Giorgio Pezzi
Misura mm 31 x 13,5. Qui https://books.google.it/books?id=7VwaAQ ... um&f=false le misure citate nelle chiavi da pag. 57 potrebbero concordare con B. venezuelae Lauck, 1962 (di asiaticum non ha le dimensioni generali) ma sto cercando di avere da Zootaxa una più recente revisione del gruppo. Qualcuno ce l'ha già? Per le misure di 1° e 2° articolo del rostro ho cercato di mantenere le proporzioni; il primo è solo leggermente più lungo del 2°.
:hi:
Asiat.JPG



Asiat connex.JPG

Asiat head.JPG

Asiat rostr.JPG

Asiat 2 rostr.JPG

Asiat vs.JPG

Top
profilo
Visualizza ultimi messaggi:  Ordina per  
nuovo argomento
rispondi
Pagina 1 di 1 [ 1 messaggio ]

Tutti gli orari sono UTC + 1 ora [ ora legale ]


Chi c’è in linea

Visitano il forum: Nessuno e 1 ospite


Non puoi aprire nuovi argomenti
Non puoi rispondere negli argomenti
Non puoi modificare i tuoi messaggi
Non puoi cancellare i tuoi messaggi
Non puoi inviare allegati

Cerca per:
Vai a:  
cron