Benvenuto Ospite

Forum Entomologi Italiani

www.entomologiitaliani.net/forum
 
Oggi è 27/04/2026, 11:30

Tutti gli orari sono UTC + 1 ora [ ora legale ]

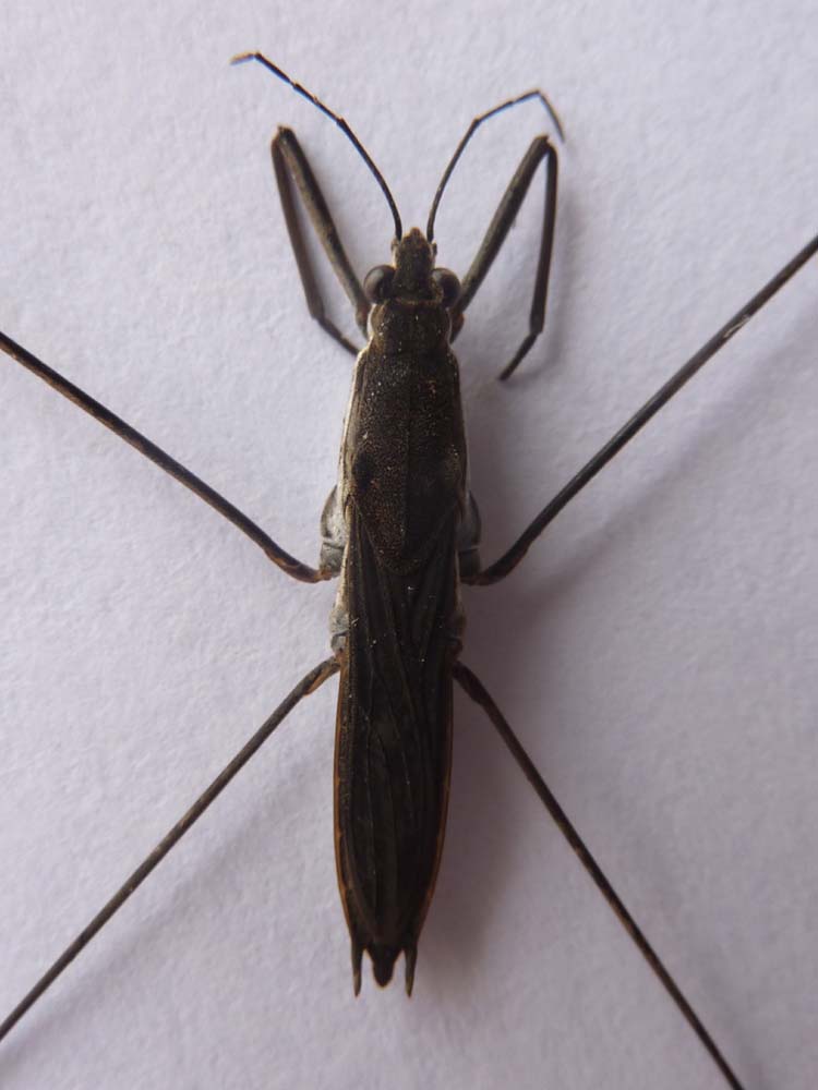
Gerris (Aquarius) paludum (Fabricius, 1794) - Gerridae

5.IV.2011 - ITALIA - Lombardia - CO, Fenegrò


nuovo argomento
rispondi
Pagina 1 di 1 [ 9 messaggi ]
Autore Messaggio
MessaggioInviato: 06/04/2011, 15:04 
Avatar utente

Iscritto il: 07/09/2010, 12:59
Messaggi: 1920
Località: Como
Nome: Matteo Zugno
Sicuramente comunissimo, trovato a casa di un mio compagno di studi, nella sua vasca artificiale con pesci.


P1030693.jpg

P1030692.jpg

P1030690.jpg

Top
profilo
 Oggetto del messaggio: Re: Emittero "pattinatore"
MessaggioInviato: 10/04/2011, 20:17 
Avatar utente

Iscritto il: 06/02/2009, 9:15
Messaggi: 1468
Località: Vigevano PV
Nome: Danilo Mario Piccolino
:) Matteo prova a fotografare il lato ventrale del Gerris in particolare gli ultimi segmenti se ne hai ancora la possibilità.

:hi:

_________________
Danilo


Top
profilo
 Oggetto del messaggio: Re: Emittero "pattinatore"
MessaggioInviato: 11/04/2011, 10:20 
Avatar utente

Iscritto il: 07/09/2010, 12:59
Messaggi: 1920
Località: Como
Nome: Matteo Zugno
Ciao Danilo, ti ringrazio!
L'ho già spillato, verso mezzodì faccio la foto del lato ventrale e la posto!
:hi:


Top
profilo
 Oggetto del messaggio: Re: Emittero "pattinatore"
MessaggioInviato: 11/04/2011, 11:50 
Avatar utente

Iscritto il: 07/09/2010, 12:59
Messaggi: 1920
Località: Como
Nome: Matteo Zugno
Le prime due foto


Gerris ventrale2.jpg

Gerris ventrale1.jpg

Top
profilo
 Oggetto del messaggio: Re: Emittero "pattinatore"
MessaggioInviato: 11/04/2011, 11:51 
Avatar utente

Iscritto il: 07/09/2010, 12:59
Messaggi: 1920
Località: Como
Nome: Matteo Zugno
Le seconde due;spero ci si possa capire qualcosa :hi:


Gerris ventrale4.jpg

Gerris ventrale3.jpg

Top
profilo
 Oggetto del messaggio: Re: Emittero "pattinatore"
MessaggioInviato: 11/04/2011, 18:54 
Avatar utente

Iscritto il: 05/02/2009, 17:36
Messaggi: 780
Nome: Attilio Carapezza
Le lunghe ipofisi all'estremità dell'addome che oltrepassano il segmento genitale e la colorazione molto scura ci indicano che si tratta di Gerris (Aquarius) paludum (Fabricius, 1794)


Top
profilo
MessaggioInviato: 11/04/2011, 19:13 
Avatar utente

Iscritto il: 07/09/2010, 12:59
Messaggi: 1920
Località: Como
Nome: Matteo Zugno
Grazie ad entrambi per l'aiuto :hi:


Top
profilo
MessaggioInviato: 11/04/2011, 22:06 
Avatar utente

Iscritto il: 06/02/2009, 9:15
Messaggi: 1468
Località: Vigevano PV
Nome: Danilo Mario Piccolino
:ok: Più veloci della luce Matteo ed Attilio.....è stata un'ottima sinergia tra amici. Questo è l'aspetto del Forum che adoro di più.

:mrgreen: Eh' che volete farci stasera sono.....sentimentale :mrgreen:

:hi:

_________________
Danilo


Top
profilo
MessaggioInviato: 11/04/2011, 22:46 
Avatar utente

Iscritto il: 07/09/2010, 12:59
Messaggi: 1920
Località: Como
Nome: Matteo Zugno
halobates ha scritto:
:ok: Più veloci della luce Matteo ed Attilio.....è stata un'ottima sinergia tra amici. Questo è l'aspetto del Forum che adoro di più.

:mrgreen: Eh' che volete farci stasera sono.....sentimentale :mrgreen:

:hi:

Gentile da parte tua Danilo, sabato ci si potrà stringere la mano! :hi:


Top
profilo
Visualizza ultimi messaggi:  Ordina per  
nuovo argomento
rispondi
Pagina 1 di 1 [ 9 messaggi ]

Tutti gli orari sono UTC + 1 ora [ ora legale ]


Chi c’è in linea

Visitano il forum: Nessuno e 1 ospite


Non puoi aprire nuovi argomenti
Non puoi rispondere negli argomenti
Non puoi modificare i tuoi messaggi
Non puoi cancellare i tuoi messaggi
Non puoi inviare allegati

Cerca per:
Vai a: