Benvenuto Ospite

Forum Entomologi Italiani

www.entomologiitaliani.net/forum
 
Oggi è 24/01/2026, 3:36

Tutti gli orari sono UTC + 1 ora [ ora legale ]

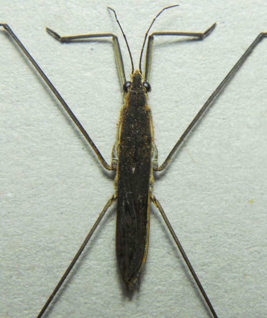
Gerris (Aquarius) paludum (Fabricius, 1794) - Gerridae - da confermare

22.II.2012 - ITALIA - Veneto - RO, Badia Polesine, Sponda Adige (sx), Sotto corteccia


nuovo argomento
rispondi
Pagina 1 di 1 [ 1 messaggio ]
Autore Messaggio
MessaggioInviato: 18/03/2012, 15:46 
Avatar utente

Iscritto il: 28/05/2011, 21:10
Messaggi: 1981
Nome: Umberto Devincenzo
Ciao a tutti! :)
Questo Gerridae l'ho trovato nella forma "raccolta", cioè con tutte le zampe aderenti al corpo, sradicando un vecchio ceppo marcio, all'interno, e non riesco a spiegarmi come abbia fatto ad arrivarci, visto che era anche distante dall'acqua..lunghezza del corpo 15mm..


DSCN8797 - Copia.JPG

DSCN8800 - Copia.JPG

DSCN8802 - Copia.JPG


_________________
"La compassione e l'empatia per il più piccolo degli animali, è una delle più nobili virtù che un uomo possa ricevere in dono."
Charles Darwin
Top
profilo
Visualizza ultimi messaggi:  Ordina per  
nuovo argomento
rispondi
Pagina 1 di 1 [ 1 messaggio ]

Tutti gli orari sono UTC + 1 ora [ ora legale ]


Chi c’è in linea

Visitano il forum: Nessuno e 1 ospite


Non puoi aprire nuovi argomenti
Non puoi rispondere negli argomenti
Non puoi modificare i tuoi messaggi
Non puoi cancellare i tuoi messaggi
Non puoi inviare allegati

Cerca per:
Vai a:  
cron