Benvenuto Ospite

Forum Entomologi Italiani

www.entomologiitaliani.net/forum
 
Oggi è 26/04/2026, 18:05

Tutti gli orari sono UTC + 1 ora [ ora legale ]

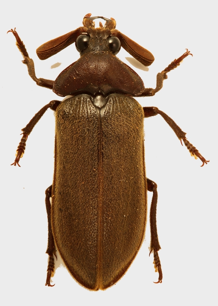
Sandalus sp. - Rhipiceridae

XII.2013 - GABON - EE, NE Gabon, Parc Nat. Ivindo, Ipassa - S. Biondi leg.


nuovo argomento
rispondi
Pagina 1 di 1 [ 8 messaggi ]
Autore Messaggio
 Oggetto del messaggio: Sandalus sp. - Rhipiceridae
MessaggioInviato: 02/01/2014, 21:14 
Avatar utente

Iscritto il: 08/02/2010, 23:01
Messaggi: 6188
Località: Vicenza
Nome: Silvano Biondi
Questa strana bestia mi sembra un incrocio tra un ripiphoride ed un cebrionide. Misura 22 mm, le sue strane antenne sono formate da (credo) nove lamelle.

rectangle_New-Out99999 - Copia (2).jpg


rectangle_New-Out99999 - Copia.jpg



:hi:

_________________



Silvano


Top
profilo
 Oggetto del messaggio: Re: Coleottero - Gabon
MessaggioInviato: 02/01/2014, 21:17 
Avatar utente

Iscritto il: 02/09/2009, 20:57
Messaggi: 8703
Località: Cagliari
Nome: Roberto Rattu
Notevole :o ; credo Rhipiceridae.

:hi:


Top
profilo
 Oggetto del messaggio: Re: Coleottero - Gabon
MessaggioInviato: 02/01/2014, 21:20 
Avatar utente

Iscritto il: 08/02/2010, 23:01
Messaggi: 6188
Località: Vicenza
Nome: Silvano Biondi
Apoderus ha scritto:
mi sembra un incrocio tra un ripiphoride ed un cebrionide
Fumea crassiorella ha scritto:
credo Rhipiceridae

... allora c'ho azzeccato :lol1:

:hi:

_________________



Silvano


Top
profilo
 Oggetto del messaggio: Re: Coleottero - Gabon
MessaggioInviato: 02/01/2014, 21:22 
Avatar utente

Iscritto il: 02/09/2009, 20:57
Messaggi: 8703
Località: Cagliari
Nome: Roberto Rattu
Apoderus ha scritto:
Apoderus ha scritto:
mi sembra un incrocio tra un ripiphoride ed un cebrionide
Fumea crassiorella ha scritto:
credo Rhipiceridae

... allora c'ho azzeccato :lol1:

:hi:


:gh: , te lo stavo per scrivere! Ne hai raccolto molti?


Top
profilo
 Oggetto del messaggio: Re: Coleottero - Gabon
MessaggioInviato: 02/01/2014, 21:23 
Avatar utente

Iscritto il: 08/02/2010, 23:01
Messaggi: 6188
Località: Vicenza
Nome: Silvano Biondi
1

_________________



Silvano


Top
profilo
 Oggetto del messaggio: Re: Coleottero - Gabon
MessaggioInviato: 02/01/2014, 21:41 
Avatar utente

Iscritto il: 08/02/2010, 23:01
Messaggi: 6188
Località: Vicenza
Nome: Silvano Biondi
Visione ventrale:

rectangle_New-Out99999 - Copia.jpg



:hi:

_________________



Silvano


Top
profilo
 Oggetto del messaggio: Re: Coleottero - Gabon
MessaggioInviato: 02/01/2014, 22:34 
Avatar utente

Iscritto il: 30/12/2009, 22:20
Messaggi: 31564
Località: Roma
Nome: Maurizio Gigli
Veramente strano. Sembra un incrocio tra un Ripiphoridae e un Dascillidae!

_________________
Maurizio Gigli
http://utenti.romascuola.net/bups
http://bup.xoom.it/


Top
profilo
 Oggetto del messaggio: Re: Coleottero - Gabon
MessaggioInviato: 02/01/2014, 23:55 
Avatar utente

Iscritto il: 16/02/2009, 23:39
Messaggi: 1371
Località: Mirano (Venezia)
Nome: Enrico Ruzzier
Rhipiceridae, Sandalus sp. complimenti molto molto interessante, proverò a controllare se c'è già qualche specie citata per il Gabon, ma a quanto ricordo non mi pare.

:hi:

_________________
«Discendiamo da scimmie evolute, non da angeli caduti» Robert Ardrey


Top
profilo
Visualizza ultimi messaggi:  Ordina per  
nuovo argomento
rispondi
Pagina 1 di 1 [ 8 messaggi ]

Tutti gli orari sono UTC + 1 ora [ ora legale ]


Chi c’è in linea

Visitano il forum: Nessuno e 1 ospite


Non puoi aprire nuovi argomenti
Non puoi rispondere negli argomenti
Non puoi modificare i tuoi messaggi
Non puoi cancellare i tuoi messaggi
Non puoi inviare allegati

Cerca per:
Vai a: