Benvenuto Ospite

Forum Entomologi Italiani

www.entomologiitaliani.net/forum
 
Oggi è 27/04/2026, 4:27

Tutti gli orari sono UTC + 1 ora [ ora legale ]

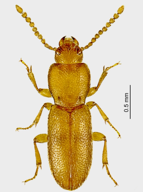
Osphyoplesius colacurcioi Magrini & Uliana n.sp. - Pythidae

5.IV.2013 - ITALIA - Sicilia - PA, Foresta di Ficuzza


nuovo argomento
rispondi
Vai alla pagina 1, 2  Prossimo
Pagina 1 di 2 [ 28 messaggi ]
Autore Messaggio
MessaggioInviato: 03/03/2015, 11:13 
Avatar utente

Iscritto il: 05/02/2009, 17:28
Messaggi: 3228
Nome: Marco Uliana
Ogni tanto mi diletto a fare qualche incursione al di fuori degli scarabei, e stavolta ho avuto l'opportunità di farlo su di un animale davvero notevole. :hp:
Anche in questo caso devo il piacere alla gentilezza di Loris Colacurcio :lov2: : Loris ha raccolto i reperti in oggetto, e mi ha voluto coinvolgere, insieme a Paolo Magrini, nello studio di questo interessantissimo taxon che gli abbiamo dedicato: eccolo qui

Osphyoplesius1.jpg



Osphyoplesius colacurcioi, di Sicilia, appartiene a un genere di si conoscevano finora una specie di Grecia e una di Crimea, ciascuna nota per due soli esemplari.
La specie, ancora inedita, era comparsa per qualche ora sul forum (facendo strabuzzare gli occhi :shock: a più di qualcuno ) prima di essere oscurata in attesa di "sviluppi". [un amministratore può sbloccare la discussione, mettere un link e cancellare questa nota fra parentesi?]
Un ringraziamento a Loris e a Paolo, con cui ho avuto l'onore di lavorare per la prima volta, per la proficua collaborazione. :birra:

Di seguito gli estremi dell'articolo: chi fosse interessato lo chieda privatamente a me o a Paolo
Magrini P., Uliana M., 2015. A new species of the enigmatic genus Osphyoplesius from Sicily (Coleoptera: Tenebrionoidea: Pythidae). Zootaxa, 3925 (4): 573–580


Top
profilo
MessaggioInviato: 03/03/2015, 11:30 
Avatar utente

Iscritto il: 23/06/2010, 19:05
Messaggi: 2591
Località: Pescara
Nome: Alessio Morelli
Fantastica, me la ricordo! :hp: L'avevo vista per un attimo e poi, dopo il provvidenziale intervento di Piero Leo, se non ricordo male, era magicamente sparita dal forum (una toccata e fuga in FEI maggiore :gh: ).
Praticamente è un Pythide... o un Tenebrionide? :o E' mitica.
Complimenti vivissimi a tutti e tre :birra:


Ultima modifica di Alessio89 il 03/03/2015, 11:49, modificato 1 volta in totale.

Top
profilo
MessaggioInviato: 03/03/2015, 11:34 
Avatar utente

Iscritto il: 09/06/2012, 20:57
Messaggi: 4283
Località: Mesola (FE)
Nome: Daniele Maccapani
Che bestia fantastica!! :birra: :birra:
Anche io l'avevo vista "in anteprima" :hp: E mi aveva incuriosito davvero molto, non vedevo l'ora che venisse pubblicata la nuova specie!! :hp:

Complimenti davvero!! :birra: :hi:

_________________
"Lasciate questo mondo un po' migliore di come lo avete trovato" (Sir Robert Baden Powell)
Immagine Daniele


Top
profilo
MessaggioInviato: 03/03/2015, 12:09 
Avatar utente

Iscritto il: 08/02/2010, 23:01
Messaggi: 6188
Località: Vicenza
Nome: Silvano Biondi
Molti complimenti al raccoglitore e agli autori dell'interessante lavoro :birra:

Quando leggo di simili ritrovamenti mi viene subito voglia di dedicarmi alla vagliatura (poi, per fortuna, mi passa, visto che ho un bel da fare su tutt'altri ambiti :lol: )

:hi:

_________________



Silvano


Top
profilo
MessaggioInviato: 03/03/2015, 12:28 
Avatar utente

Iscritto il: 05/02/2009, 17:25
Messaggi: 4894
Località: Zola Predosa (BO)
Nome: Loris Colacurcio
Eccolo lì....è una bellezza, vero ? :lov3:
Grazie mille agli autori :birra:

_________________
Loris


Top
profilo
MessaggioInviato: 03/03/2015, 12:36 
Avatar utente

Iscritto il: 17/02/2009, 0:05
Messaggi: 8524
Località: Isola d'Elba - Arcipelago Toscano
Nome: Leonardo Forbicioni
:o :shock: :o Fantastico!!! :hp: :hp: :hp:
Bravissimi gli autori :ok: :ok: ......e GRANDE LORIS!!!!! :hp: :hp: :hp: :hp:

_________________
"Stay hungry, stay foolish".
Steve Jobs, 2005
___________________
jjuniper8(at)gmail.com
Twitter: @weevil_forbix
cell. 339/5275910
___________________


Top
profilo
MessaggioInviato: 03/03/2015, 13:27 
Avatar utente

Iscritto il: 04/02/2009, 17:49
Messaggi: 5557
Località: Cagliari
Nome: Daniele Sechi
Loris è una bestia pazzesca! Avevo già avuto il tempo di ammirarla prima del suo oscuramento ;)

_________________
:hi:
Daniele


Top
profilo
MessaggioInviato: 03/03/2015, 13:38 
Avatar utente

Iscritto il: 22/12/2009, 13:31
Messaggi: 9646
Località: Napoli
Nome: Francesco Izzillo
:birra: Vivissimi complimenti agli Autori :birra:

_________________
Francesco Izzillo


Top
profilo
MessaggioInviato: 03/03/2015, 14:08 
Avatar utente

Iscritto il: 10/05/2010, 22:31
Messaggi: 4377
Località: Gavorrano (GR)
Nome: marco bastianini
:hp: :hp: :hp: :hp: :hp: SPETTACOLO :hp: :hp: :hp: :hp: :hp:

_________________
:to: Marco
"Le foreste a precedere le civiltà, i deserti a seguire."
François-René de Chateaubriand


Top
profilo
MessaggioInviato: 03/03/2015, 14:23 
Avatar utente

Iscritto il: 05/02/2009, 17:44
Messaggi: 2699
Località: Garbagnate Milanese
Nome: Augusto Franzini
Eh, caspita, che fosse una bestiola strana si era capito. Decisamente molto strana :hp: :hp: :hp: :hp: :hp:
Vivissimi complimenti :birra: agli Autori e, in particolare, al RACCOGLITORE :mrgreen: . Sono colpi che non capitano spesso!

_________________
Augusto (aug)
Prediction is very difficult, especially about the future (Niels Bohr, fisico)


Top
profilo
MessaggioInviato: 03/03/2015, 14:39 
 

Iscritto il: 08/12/2013, 1:52
Messaggi: 7704
Località: Bagnacavallo (RA)
Nome: Giorgio Pezzi
Grazie per la mail a Marco e complimenti agli autori e al raccoglitore (ac bus...omissis!)
:birra:
Giorgio. :hi:


Top
profilo
MessaggioInviato: 03/03/2015, 15:37 
Avatar utente

Iscritto il: 30/12/2009, 22:20
Messaggi: 31564
Località: Roma
Nome: Maurizio Gigli
Daniele Sechi ha scritto:
Loris è una bestia pazzesca!

Sono d'accordo! :mrgreen:

Ma è riferito a Loris Colacurcio o al Loris lento? :roll:

Complimenti al raspatore/raccoglitore ed agli autori.

_________________
Maurizio Gigli
http://utenti.romascuola.net/bups
http://bup.xoom.it/


Top
profilo
MessaggioInviato: 03/03/2015, 16:27 
Avatar utente

Iscritto il: 22/05/2009, 21:00
Messaggi: 2785
Località: Pergine Valsugana (TN)
Nome: Andrea Carlin
:sh: :sh: :sh: :sh: :sh: :sh: :sh: :sh: :sh: :sh: :sh: :sh: :sh: :sh: :sh: :sh: :sh: :sh: :sh: :sh: :sh: :sh:

:birra: Complimenti davvero! :birra:
p.s: Marco, se si può, gentilmente, gradirei avere questo tuo lavoro: grazie mille! :lov2:

_________________
Andrea Carlin, Pergine Valsugana (TN) carlin.andrea(AT)gmail.com

Nota: tutti gli esemplari inseriti nelle discussioni aperte da me sono da ritenere "Andrea Carlin legit" se non diversamente specificato.


Top
profilo
MessaggioInviato: 03/03/2015, 17:29 
Avatar utente

Iscritto il: 18/06/2009, 16:54
Messaggi: 1093
Località: Casalecchio di Reno (BO)
Nome: Iuri Zappi
:birra: :birra: :birra: Complimentoni ai bravissimi autori e al raccoglitore!!!! :birra: :birra: :birra:
Chissà quanti entomologi nella Foresta di Ficuzza si sono trovati ad avere una simile meraviglia appena a qualche decina di centimetri sotto le scarpe. Ci voleva il nostro Loris per scovarla!!! :hp: :hp:

_________________
:hi: :hi: :hi:
Iuri


Top
profilo
MessaggioInviato: 03/03/2015, 20:20 
Avatar utente

Iscritto il: 23/06/2010, 11:11
Messaggi: 2784
Località: Cagliari
Nome: Gianpaolo Ruzzante
:birra: :birra: :birra:


Top
profilo
Visualizza ultimi messaggi:  Ordina per  
nuovo argomento
rispondi
Vai alla pagina 1, 2  Prossimo
Pagina 1 di 2 [ 28 messaggi ]

Tutti gli orari sono UTC + 1 ora [ ora legale ]


Chi c’è in linea

Visitano il forum: Nessuno e 1 ospite


Non puoi aprire nuovi argomenti
Non puoi rispondere negli argomenti
Non puoi modificare i tuoi messaggi
Non puoi cancellare i tuoi messaggi
Non puoi inviare allegati

Cerca per:
Vai a:  
cron