Benvenuto Ospite

Forum Entomologi Italiani

www.entomologiitaliani.net/forum
 
Oggi è 29/04/2026, 15:52

Tutti gli orari sono UTC + 1 ora [ ora legale ]

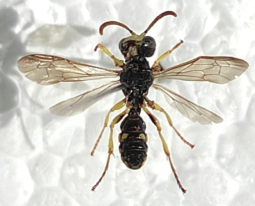
Cerceris sabulosa (Panzer, 1799) - Crabronidae

26.VIII.2022 - ITALIA - Toscana - LU, Lucca, 19m s.l.m.


nuovo argomento
rispondi
Pagina 1 di 1 [ 6 messaggi ]
Autore Messaggio
MessaggioInviato: 02/09/2022, 15:25 
Avatar utente

Iscritto il: 08/07/2022, 10:09
Messaggi: 399
Località: Lucca (LU)
Nome: Massimiliano Marchi
Salve a tutti! :hi:

Continua il mio viaggio nel mondo degli Hymenoptera :lol:

Oggi un esemplare di Cerceris (Latreille, 1802)... è corretto? Possibile arrivare alla determinazione di specie?

Dimensioni:
- lunghezza: 7,5 mm
- apertura alare: 12 mm

Grazie :lov3:

Schermata 2022-09-02 a 15.14.03.jpg


Schermata 2022-09-02 a 15.14.32.jpg


Schermata 2022-09-02 a 15.18.41.jpg


Schermata 2022-09-02 a 15.15.24.jpg


Schermata 2022-09-02 a 15.15.36.jpg


Schermata 2022-09-02 a 15.20.10.jpg


Schermata 2022-09-02 a 15.16.07.jpg



Top
profilo
 Oggetto del messaggio: Re: Cerceris da identificare
MessaggioInviato: 02/09/2022, 19:40 
 

Iscritto il: 08/12/2013, 1:52
Messaggi: 7704
Località: Bagnacavallo (RA)
Nome: Giorgio Pezzi
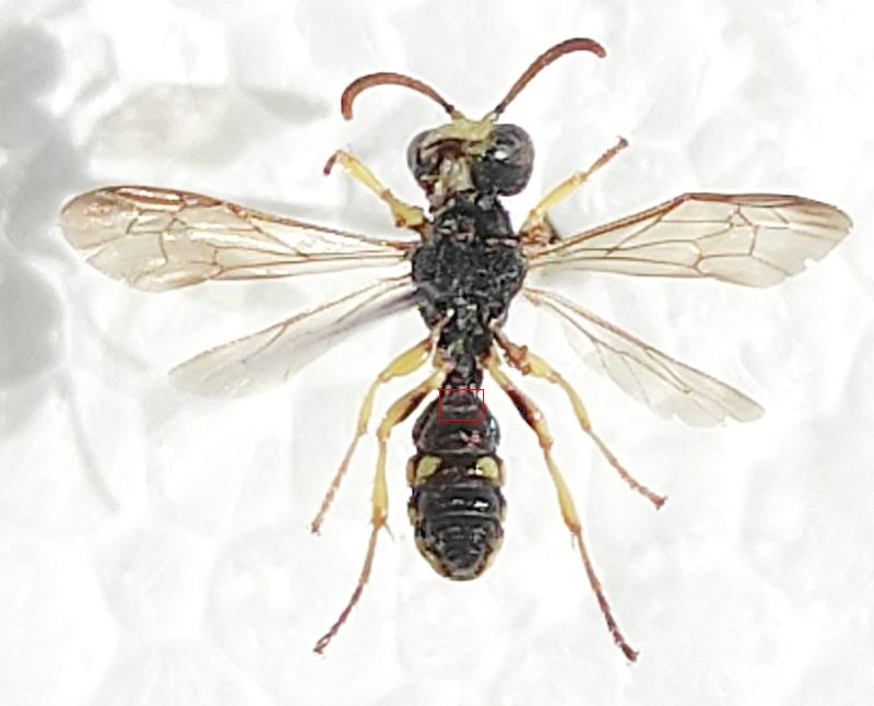
Questo me l'ero perso e ci sono arrivato da un link: comunque questo maschio, come ipotizzato anche da Andricus, è di Cerceris sabulosa (Panzer, 1799). In seconda foto, nel quadrato rosso, si nota la "piattaforma" elevata alla base del secondo sternite che assieme alla colorazione "irregolare" (secondo tergite col giallo alla base e non all'apice come negli altri) ed altro, rende riconoscibile questa comunissima specie. Esistono però variazioni notevoli sulla colorazione, sino a forme molto "nere" o molto "gialle". Come in tutti i vespoidei, i maschi hanno 13 antennomeri e 7 segmenti al gastro, come spiegava Andricus dal topic dal quale sono entrato qui. I dettagli dati sono ad uso di Max, ma se vuole approfondire le Cerceris e gli altri Crabronidi si consiglia il testo di Guido Pagliano ed Enrico Negrisolo, Fauna d'Italia, 2005, Hymenoptera Sphecidae.
:hi:
16221_4464e26cd24982f317d38e5743465c40.jpg



Top
profilo
 Oggetto del messaggio: Re: Cerceris da identificare
MessaggioInviato: 03/09/2022, 10:43 
Avatar utente

Iscritto il: 08/07/2022, 10:09
Messaggi: 399
Località: Lucca (LU)
Nome: Massimiliano Marchi
Chalybion ha scritto:
Questo me l'ero perso e ci sono arrivato da un link
Sono molto felice di aver messo il link allora :)

Chalybion ha scritto:
questo maschio, come ipotizzato anche da Andricus, è di Cerceris sabulosa (Panzer, 1799)
Grazie mille per l'identificazione e per la foto modificata con l'esaltazione del dettaglio distintivo, mi è veramente di grande aiuto! :ok:

Chalybion ha scritto:
I dettagli dati sono ad uso di Max, ma se vuole approfondire le Cerceris e gli altri Crabronidi si consiglia il testo di Guido Pagliano ed Enrico Negrisolo, Fauna d'Italia, 2005, Hymenoptera Sphecidae.
:hi:
Certo che voglio approfondire!!! :ok:
Ed ho già capito che della collana Fauna d'Italia dovrò comprare diversi volumi :lol: ho appena acquistato quello sugli Orthoptera e sicuramente gli Hymenoptera verranno a ruota! ;)
Grazie mille anche per l'indicazione bibliografica, Giorgio! Sei stato davvero gentile :lov3:

Un grande abbraccio! :hi:

Max


Top
profilo
 Oggetto del messaggio: Re: Cerceris da identificare
MessaggioInviato: 03/09/2022, 17:08 
 

Iscritto il: 08/12/2013, 1:52
Messaggi: 7704
Località: Bagnacavallo (RA)
Nome: Giorgio Pezzi
Purtroppo molti volumi della Fauna d'Italia sono difficilmente disponibili o esauriti. Si possono eventualmente richiedere qui sul Forum a chi vuole venderli o privarsene o, naturalmente richiederli alla casa editrice (vedi Orthoptera, 2012) se ancora opera in questo ramo. :hi:


Top
profilo
 Oggetto del messaggio: Re: Cerceris da identificare
MessaggioInviato: 03/09/2022, 17:50 
Avatar utente

Iscritto il: 08/07/2022, 10:09
Messaggi: 399
Località: Lucca (LU)
Nome: Massimiliano Marchi
Chalybion ha scritto:
Purtroppo molti volumi della Fauna d'Italia sono difficilmente disponibili o esauriti. Si possono eventualmente richiedere qui sul Forum a chi vuole venderli o privarsene o, naturalmente richiederli alla casa editrice (vedi Orthoptera, 2012) se ancora opera in questo ramo. :hi:

Grazie per l'ulteriore dritta, Giorgio! :ok:


Top
profilo
 Oggetto del messaggio: Re: Cerceris da identificare
MessaggioInviato: 16/09/2022, 12:28 
Avatar utente

Iscritto il: 08/07/2022, 10:09
Messaggi: 399
Località: Lucca (LU)
Nome: Massimiliano Marchi
Chalybion ha scritto:
I dettagli dati sono ad uso di Max, ma se vuole approfondire le Cerceris e gli altri Crabronidi si consiglia il testo di Guido Pagliano ed Enrico Negrisolo, Fauna d'Italia, 2005, Hymenoptera Sphecidae.

Giorgio, il volume è arrivatooooooo!!! :lol1: :lol1: :lol1: Grazie grazie grazie :ok:

Schermata 2022-09-16 a 12.25.38.jpg



Top
profilo
Visualizza ultimi messaggi:  Ordina per  
nuovo argomento
rispondi
Pagina 1 di 1 [ 6 messaggi ]

Tutti gli orari sono UTC + 1 ora [ ora legale ]


Chi c’è in linea

Visitano il forum: Nessuno e 1 ospite


Non puoi aprire nuovi argomenti
Non puoi rispondere negli argomenti
Non puoi modificare i tuoi messaggi
Non puoi cancellare i tuoi messaggi
Non puoi inviare allegati

Cerca per:
Vai a: