Benvenuto Ospite

Forum Entomologi Italiani

www.entomologiitaliani.net/forum
 
Oggi è 30/04/2026, 18:11

Tutti gli orari sono UTC + 1 ora [ ora legale ]

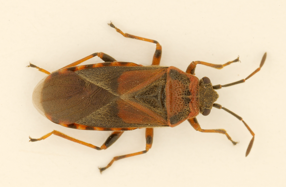
Arocatus melanocephalus (Fabricius 1798) - Lygaeidae - Marche

VIII.2010 - ITALIA - Marche - AN, Poggio San Marcello


nuovo argomento
rispondi
Pagina 1 di 1 [ 3 messaggi ]
Autore Messaggio
MessaggioInviato: 24/08/2010, 13:45 
 

Iscritto il: 04/02/2010, 12:01
Messaggi: 87
Nome: giovanni carotti
Ciao, si può dare un nome a questo eterottero che penso appartenga alla famiglia Lygaeidae? Marche, Poggio San Marcello (AN), m250 agosto 2010.
Grazie
Giovanni
Lygaeidae.jpg



Top
profilo
 Oggetto del messaggio: Re: Lygaeidae (credo) da determinare
MessaggioInviato: 24/08/2010, 14:11 
Avatar utente

Iscritto il: 21/08/2010, 17:06
Messaggi: 849
Località: Parma
Nome: Maria Antonella Tzirarkas
Ciao, con buona probabilità è Arocatus melanocephalus, ovviamente Lygaeidae.

Antonella

_________________
Ciao Antonella


Top
profilo
 Oggetto del messaggio: Re: Lygaeidae (credo) da determinare
MessaggioInviato: 10/12/2010, 20:07 
Avatar utente

Iscritto il: 21/08/2010, 17:06
Messaggi: 849
Località: Parma
Nome: Maria Antonella Tzirarkas
Riconfermo la diagnosi :)
Ulteriore conferma qui

_________________
Ciao Antonella


Top
profilo
Visualizza ultimi messaggi:  Ordina per  
nuovo argomento
rispondi
Pagina 1 di 1 [ 3 messaggi ]

Tutti gli orari sono UTC + 1 ora [ ora legale ]


Chi c’è in linea

Visitano il forum: Nessuno e 1 ospite


Non puoi aprire nuovi argomenti
Non puoi rispondere negli argomenti
Non puoi modificare i tuoi messaggi
Non puoi cancellare i tuoi messaggi
Non puoi inviare allegati

Cerca per:
Vai a: