Benvenuto Ospite

Forum Entomologi Italiani

www.entomologiitaliani.net/forum
 
Oggi è 28/04/2026, 21:26

Tutti gli orari sono UTC + 1 ora [ ora legale ]

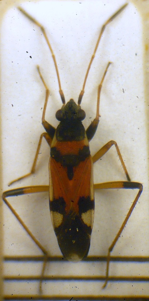
Beosus quadripunctatus (O.F. Müller, 1766) - Lygaeidae

23.IV.2011 - ITALIA - Marche - PU, Pesaro, Collina Baratoff


nuovo argomento
rispondi
Pagina 1 di 1 [ 1 messaggio ]
Autore Messaggio
MessaggioInviato: 27/04/2011, 9:34 
Avatar utente

Iscritto il: 11/11/2009, 20:54
Messaggi: 4857
Località: Pesaro
Nome: Marco Paglialunga
Bella coppietta ;)


6.5 mm
P1090145.JPG

6.8 mm
P1090141.JPG


_________________
O voi ch'avete li 'ntelletti sani, mirate la dottrina che s'asconde sotto 'l velame de li versi strani
(InfeRRno - canto IX - vv. 61-63)
Top
profilo
Visualizza ultimi messaggi:  Ordina per  
nuovo argomento
rispondi
Pagina 1 di 1 [ 1 messaggio ]

Tutti gli orari sono UTC + 1 ora [ ora legale ]


Chi c’è in linea

Visitano il forum: Nessuno e 1 ospite


Non puoi aprire nuovi argomenti
Non puoi rispondere negli argomenti
Non puoi modificare i tuoi messaggi
Non puoi cancellare i tuoi messaggi
Non puoi inviare allegati

Cerca per:
Vai a: