Forum Entomologi Italiani
https://www.entomologiitaliani.net/public/forum/phpbb3/

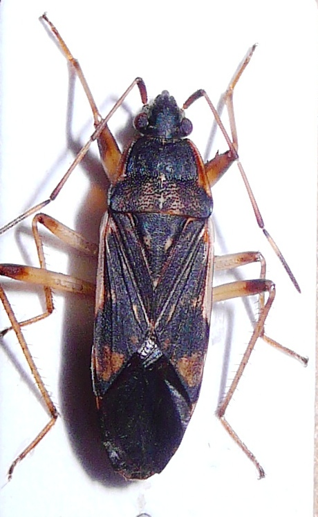
Dieuches armatipes (Walker, 1872) - Lygaeidae
https://www.entomologiitaliani.net/public/forum/phpbb3/viewtopic.php?f=93&t=30926
Pagina 1 di 1

Autore:  ruzzpa [ 30/01/2012, 11:46 ]
Oggetto del messaggio:  Dieuches armatipes (Walker, 1872) - Lygaeidae

Ogni volta che prendo una fascina da mettere sul camino è tutto un fuggi fuggi di queste bestiole...
:hi:

Allegati:
P1050360.JPG


Autore:  Palaemonetes [ 30/01/2012, 15:50 ]
Oggetto del messaggio:  Re: Emittero - Sardegna

Dovrebbe trattarsi di Dieuches armatipes, un lygeide che, se non ricordo male, è presente solo in Sicilia e Sardegna. Attendiamo conferme o smentite.

Autore:  ruzzpa [ 30/01/2012, 16:03 ]
Oggetto del messaggio:  Re: Emittero - Sardegna

Palaemonetes ha scritto:
Dovrebbe trattarsi di Dieuches armatipes, un lygeide che, se non ricordo male, è presente solo in Sicilia e Sardegna. Attendiamo conferme o smentite.

Grazie Andrea :hi:

Autore:  FORBIX [ 30/01/2012, 18:22 ]
Oggetto del messaggio:  Re: Emittero - Sardegna

Non sono in grado di dare certezze, ma anche secondo me si tratta di Dieuches armatipes.
Bel bestione!! :D :D

Autore:  Dioli [ 01/02/2012, 17:43 ]
Oggetto del messaggio:  Re: Emittero - Sardegna

Confermo, la specie è quella ed è ben nota di Sardegna :sma:

Pagina 1 di 1 Tutti gli orari sono UTC + 1 ora [ ora legale ]
Powered by phpBB® Forum Software © phpBB Group
http://www.phpbb.com/