Benvenuto Ospite

Forum Entomologi Italiani

www.entomologiitaliani.net/forum
 
Oggi è 12/12/2025, 18:25

Tutti gli orari sono UTC + 1 ora [ ora legale ]

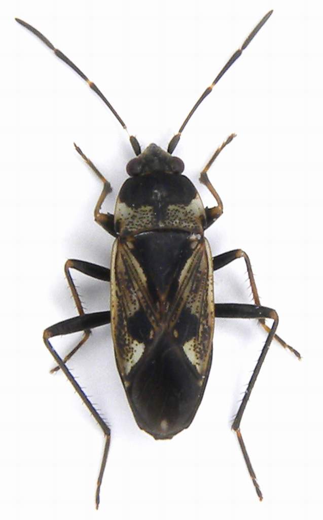
Rhyparochromus vulgaris (Schilling, 1829) - Lygaeidae - Heteroptera

3.III.2012 - ITALIA - Veneto - VE, Lido di Venezia S. Maria Elisabetta Sud


nuovo argomento
rispondi
Pagina 1 di 1 [ 3 messaggi ]
Autore Messaggio
MessaggioInviato: 06/03/2012, 19:08 
Avatar utente

Iscritto il: 05/09/2011, 17:28
Messaggi: 2641
Nome: Leonida GRAZIOLI
Trovato sotto corteccia di platano.
Dimensioni: mm. 8.
Ciao a tutti
Leonida


SME Nord 5.V.2012 009.jpg

SME Sud 3.V.2012 034a.jpg

Top
profilo
MessaggioInviato: 06/03/2012, 19:24 
Avatar utente

Iscritto il: 17/02/2009, 0:05
Messaggi: 8521
Località: Isola d'Elba - Arcipelago Toscano
Nome: Leonardo Forbicioni
:ok: :ok: :ok:
Ovviamente non ti serviva una conferma....ma semmai ce ne fosse stato bisogno! ;)

_________________
"Stay hungry, stay foolish".
Steve Jobs, 2005
___________________
jjuniper8(at)gmail.com
Twitter: @weevil_forbix
cell. 339/5275910
___________________


Top
profilo
MessaggioInviato: 06/03/2012, 21:51 
Avatar utente

Iscritto il: 05/09/2011, 17:28
Messaggi: 2641
Nome: Leonida GRAZIOLI
Comunque sia ti ringrazio per la risposta
Ciao
leonida


Top
profilo
Visualizza ultimi messaggi:  Ordina per  
nuovo argomento
rispondi
Pagina 1 di 1 [ 3 messaggi ]

Tutti gli orari sono UTC + 1 ora [ ora legale ]


Chi c’è in linea

Visitano il forum: Nessuno e 1 ospite


Non puoi aprire nuovi argomenti
Non puoi rispondere negli argomenti
Non puoi modificare i tuoi messaggi
Non puoi cancellare i tuoi messaggi
Non puoi inviare allegati

Cerca per:
Vai a: