Benvenuto Ospite

Forum Entomologi Italiani

www.entomologiitaliani.net/forum
 
Oggi è 30/04/2026, 12:28

Tutti gli orari sono UTC + 1 ora [ ora legale ]

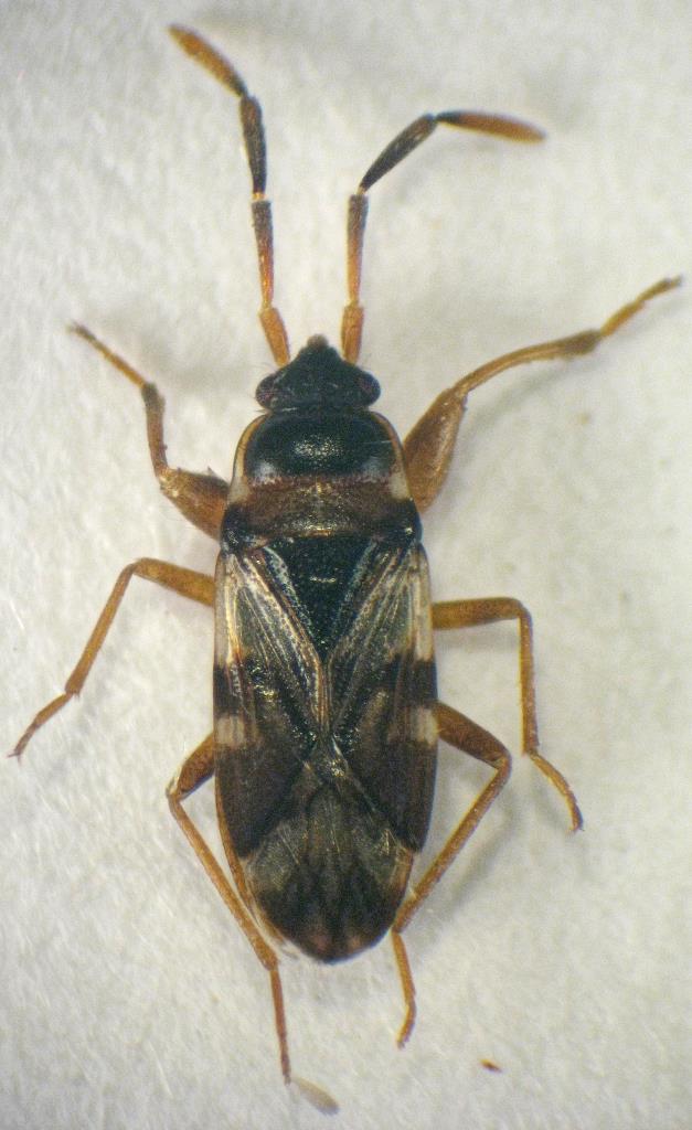
Scolopostethus cognatus Fieber, 1861 (cf.) - Lygaeidae

4.IX.2021 - ITALIA - Sardegna - CA, Domus de Maria - P.ta Su Pisu m 25 - G.Ruzzante legit


nuovo argomento
rispondi
Pagina 1 di 1 [ 4 messaggi ]
Autore Messaggio
MessaggioInviato: 10/12/2021, 11:36 
Avatar utente

Iscritto il: 23/06/2010, 11:11
Messaggi: 2784
Località: Cagliari
Nome: Gianpaolo Ruzzante
mm 3.5 :hi:


3.5.jpg

Top
profilo
 Oggetto del messaggio: Re: Lygaeidae?
MessaggioInviato: 10/12/2021, 20:42 
Avatar utente

Iscritto il: 23/06/2010, 11:11
Messaggi: 2784
Località: Cagliari
Nome: Gianpaolo Ruzzante
Forse un Rhyparochromus sp. ???


Top
profilo
 Oggetto del messaggio: Re: Lygaeidae?
MessaggioInviato: 11/12/2021, 8:46 
Avatar utente

Iscritto il: 01/11/2009, 9:51
Messaggi: 2332
Nome: Andrea Rattu
Ciao Gianpaolo :) , siamo tra gli Scolopostethus, poi guardo le chiavi e vedo dove arrivo...se non ci pensa qualcun altro prima di me.

_________________
Se gettassi su di un piatto della bilancia tutto ciò che ho imparato a comprendere in quelle ore di meditazione di fronte all'acquario, e sull'altro tutto ciò che ho ricavato dai libri, come rimarrebbe leggero il secondo!
Konrad Lorenz


Top
profilo
 Oggetto del messaggio: Re: Lygaeidae?
MessaggioInviato: 12/12/2021, 1:39 
Avatar utente

Iscritto il: 31/12/2009, 1:47
Messaggi: 955
Località: Bellano (LC)
Nome: Martino Salvetti
con beneficio di inventario (andrebbe visto bene e probabilmente estratto) mi sembra che somigli molto ad uno
Scolopostethus cognatus Fieber, 1861


Top
profilo
Visualizza ultimi messaggi:  Ordina per  
nuovo argomento
rispondi
Pagina 1 di 1 [ 4 messaggi ]

Tutti gli orari sono UTC + 1 ora [ ora legale ]


Chi c’è in linea

Visitano il forum: Nessuno e 2 ospiti


Non puoi aprire nuovi argomenti
Non puoi rispondere negli argomenti
Non puoi modificare i tuoi messaggi
Non puoi cancellare i tuoi messaggi
Non puoi inviare allegati

Cerca per:
Vai a: