Benvenuto Ospite

Forum Entomologi Italiani

www.entomologiitaliani.net/forum
 
Oggi è 29/04/2026, 17:10

Tutti gli orari sono UTC + 1 ora [ ora legale ]

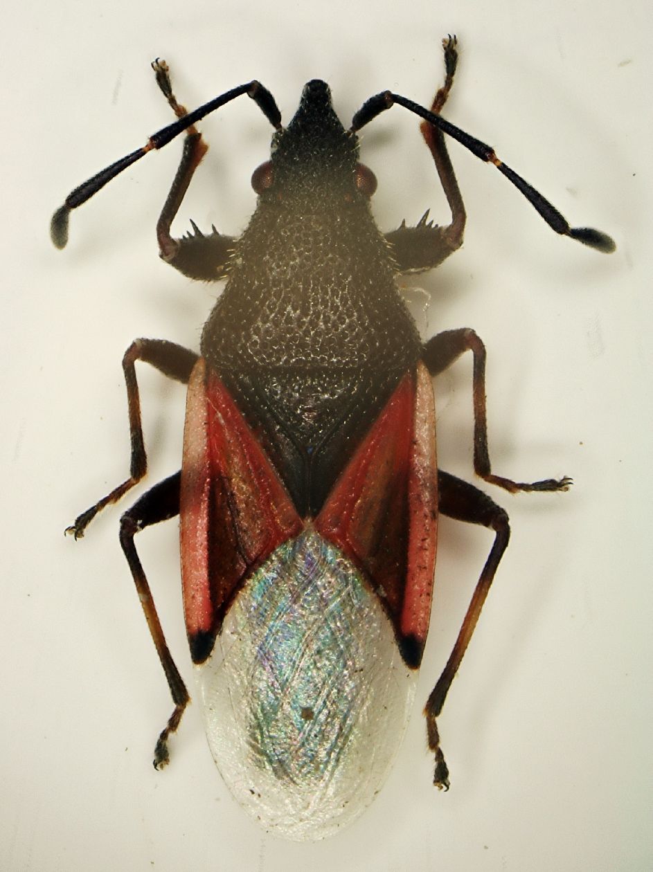
Oxycarenus (Oxycarenus) lavaterae (Fabricius, 1787) cf. - Lygaeidae

16.X.2012 - ITALIA - Emilia-Romagna - BO, Bubano


nuovo argomento
rispondi
Pagina 1 di 1 [ 1 messaggio ]
Autore Messaggio
MessaggioInviato: 26/10/2012, 22:36 
Avatar utente

Iscritto il: 05/02/2009, 17:25
Messaggi: 4894
Località: Zola Predosa (BO)
Nome: Loris Colacurcio
Questo curioso heterottero dall'elegante livrea, l'ho raccolto su un tronco, mentre tornavo alla macchina, dopo una piccola "cacciatina" insieme ad Augusto, nei dintorni di Bubano.....non l'ho mai raccolto prima d'ora ed onestamente non ho alcuna idea in proposito :?

...su "imbeccata" del Forbix, posso avanzare l'ipotesi (molto realistica) che si tratti di un Oxycarenus lavaterae

Lunghezza: 4,2 mm. circa

heterottero 4.2mm. Bubano.JPG


_________________
Loris


Top
profilo
Visualizza ultimi messaggi:  Ordina per  
nuovo argomento
rispondi
Pagina 1 di 1 [ 1 messaggio ]

Tutti gli orari sono UTC + 1 ora [ ora legale ]


Chi c’è in linea

Visitano il forum: Nessuno e 1 ospite


Non puoi aprire nuovi argomenti
Non puoi rispondere negli argomenti
Non puoi modificare i tuoi messaggi
Non puoi cancellare i tuoi messaggi
Non puoi inviare allegati

Cerca per:
Vai a: