| Forum Entomologi Italiani https://www.entomologiitaliani.net/public/forum/phpbb3/ |
|
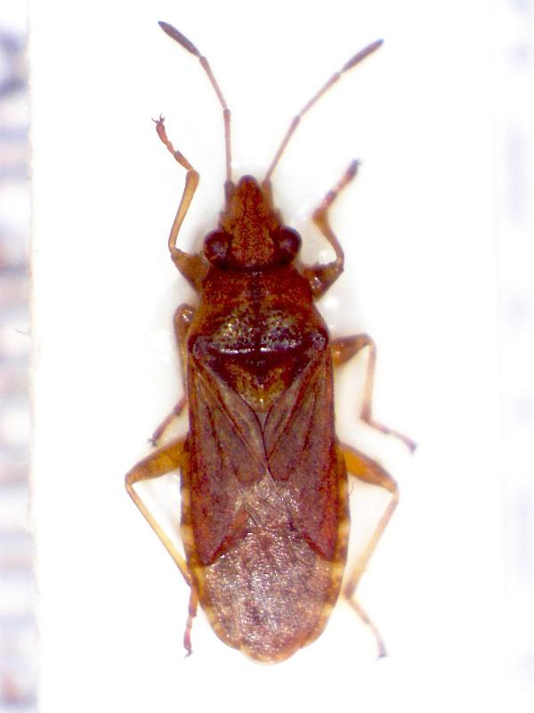
| Orsillus sp. (cf.) - Lygaeidae https://www.entomologiitaliani.net/public/forum/phpbb3/viewtopic.php?f=93&t=43039 |
Pagina 1 di 1 |
| Autore: | Lucanus tetraodon [ 14/03/2013, 21:08 ] |
| Oggetto del messaggio: | Orsillus sp. (cf.) - Lygaeidae |
Terzo emittero da determinare. Sicilia (ME), Capo d' Orlando (10 m s.l.m.), 24/XII/2012, G. Altadonna legit. Dimensioni: 6 mm |
|
| Autore: | Seraph [ 15/03/2013, 18:43 ] |
| Oggetto del messaggio: | Re: Emittero 3 da id |
Ciao, mi sembra possa essere un Lygaeidae del genere Orsillus . Se così fosse, tra le altre cose, bisognerebbe fare delle foto ventrali per guardare il rostro |
|
| Autore: | Lucanus tetraodon [ 16/03/2013, 20:20 ] |
| Oggetto del messaggio: | Re: Emittero 3 da id |
Grazie per le informazioni.
|
|
| Pagina 1 di 1 | Tutti gli orari sono UTC + 1 ora [ ora legale ] |
| Powered by phpBB® Forum Software © phpBB Group http://www.phpbb.com/ |
|