Benvenuto Ospite

Forum Entomologi Italiani

www.entomologiitaliani.net/forum
 
Oggi è 29/04/2026, 20:03

Tutti gli orari sono UTC + 1 ora [ ora legale ]

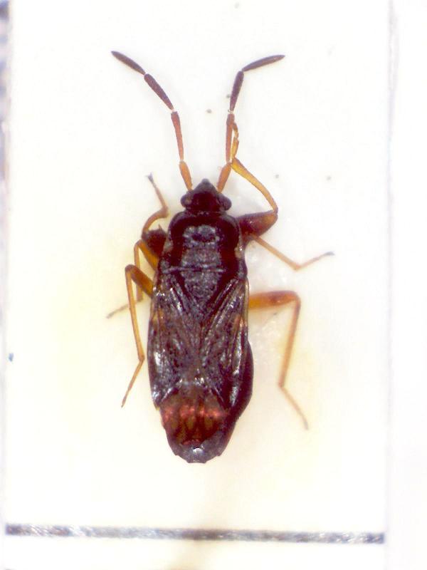
Scolopostethus sp. - Lygaeidae

8.IX.2012 - ITALIA - Sicilia - ME, Monti Peloritani, Musolino (c. 650 m s.l.m.)


nuovo argomento
rispondi
Pagina 1 di 1 [ 5 messaggi ]
Autore Messaggio
 Oggetto del messaggio: Scolopostethus sp. - Lygaeidae
MessaggioInviato: 15/03/2013, 21:08 
Avatar utente

Iscritto il: 30/12/2010, 11:51
Messaggi: 4548
Località: San Giovanni Valdarno (AR)
Nome: Giovanni Altadonna
Quarto emittero da identificare.

Sicilia (ME), Monti Peloritani, Musolino (c. 650 m s.l.m.), 8/IX/2012, sotto pietra, G. Altadonna legit.

Dimensioni: 4 mm

4. 0 mm.jpg


_________________
"L' uomo che è cieco alle bellezze della natura ha perduto metà del piacere di vivere"
Sir Robert Baden Powell

Giovanni Altadonna


Top
profilo
 Oggetto del messaggio: Re: Emittero 4 da ID
MessaggioInviato: 15/03/2013, 21:22 
 

Iscritto il: 10/07/2010, 14:42
Messaggi: 4870
Nome: Giuseppe Pace
Sembrerebbe uno Scolopostethus sp.
Oltre non riesco.

Ciao
Giuseppe


Top
profilo
 Oggetto del messaggio: Re: Emittero 4 da ID
MessaggioInviato: 16/03/2013, 20:19 
Avatar utente

Iscritto il: 30/12/2010, 11:51
Messaggi: 4548
Località: San Giovanni Valdarno (AR)
Nome: Giovanni Altadonna
Grazie! :birra:

_________________
"L' uomo che è cieco alle bellezze della natura ha perduto metà del piacere di vivere"
Sir Robert Baden Powell

Giovanni Altadonna


Top
profilo
 Oggetto del messaggio: Re: Emittero 4 da ID
MessaggioInviato: 19/03/2013, 20:30 
Avatar utente

Iscritto il: 05/02/2009, 17:36
Messaggi: 781
Nome: Attilio Carapezza
Scolopostethus sp.; le cattive condizioni dell'esemplare non consentono l'identificazione della specie.


Top
profilo
 Oggetto del messaggio: Re: Emittero 4 da ID
MessaggioInviato: 19/03/2013, 20:32 
Avatar utente

Iscritto il: 30/12/2010, 11:51
Messaggi: 4548
Località: San Giovanni Valdarno (AR)
Nome: Giovanni Altadonna
Grazie Attilio della conferma. :birra:

_________________
"L' uomo che è cieco alle bellezze della natura ha perduto metà del piacere di vivere"
Sir Robert Baden Powell

Giovanni Altadonna


Top
profilo
Visualizza ultimi messaggi:  Ordina per  
nuovo argomento
rispondi
Pagina 1 di 1 [ 5 messaggi ]

Tutti gli orari sono UTC + 1 ora [ ora legale ]


Chi c’è in linea

Visitano il forum: Nessuno e 2 ospiti


Non puoi aprire nuovi argomenti
Non puoi rispondere negli argomenti
Non puoi modificare i tuoi messaggi
Non puoi cancellare i tuoi messaggi
Non puoi inviare allegati

Cerca per:
Vai a:  
cron