Benvenuto Ospite

Forum Entomologi Italiani

www.entomologiitaliani.net/forum
 
Oggi è 26/04/2026, 18:41

Tutti gli orari sono UTC + 1 ora [ ora legale ]

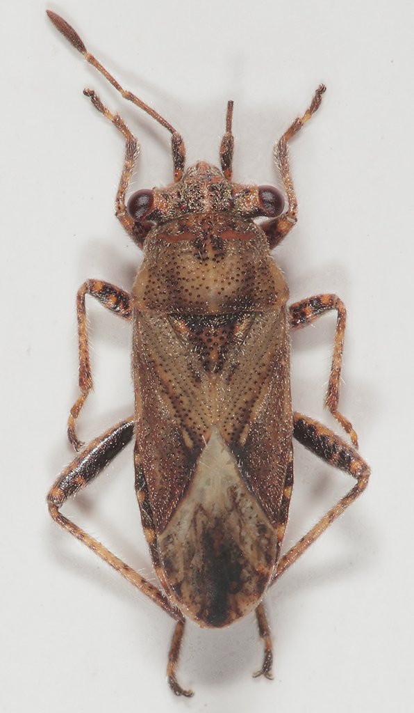
Henestaris laticeps (Curtis 1836) - Lygaeidae Henestarinae

14.II.2014 - ITALIA - Toscana - LI, Arcipelago Toscano


nuovo argomento
rispondi
Pagina 1 di 1 [ 3 messaggi ]
Autore Messaggio
MessaggioInviato: 23/02/2014, 11:41 
Avatar utente

Iscritto il: 17/02/2009, 0:05
Messaggi: 8524
Località: Isola d'Elba - Arcipelago Toscano
Nome: Leonardo Forbicioni
Anche questo dovrebbe mancare all'appello FEI!!! ;) :hp: :hp:
Strana bestia.....di cui non sono per nulla sicuro dell'ID visto che dovrebbero essercene almeno un paio di specie....l'altro dovrebbe essere H. halophilus (Burmeister, 1835), che non so discriminare.

Henestaris-laticeps-up.jpg

Henestaris-laticeps-lateral.jpg


_________________
"Stay hungry, stay foolish".
Steve Jobs, 2005
___________________
jjuniper8(at)gmail.com
Twitter: @weevil_forbix
cell. 339/5275910
___________________


Top
profilo
MessaggioInviato: 23/02/2014, 20:44 
 

Iscritto il: 10/07/2010, 14:42
Messaggi: 4870
Nome: Giuseppe Pace
FORBIX ha scritto:
Henestaris laticeps (Curtis 1836) (cf.) - Lygaeidae Henestarinae

Ciao Leonardo,
penso che la tua determinazione sia corretta.
L'altra specie ha gli occhi meno "peduncolati".

Giuseppe


Top
profilo
MessaggioInviato: 23/02/2014, 21:39 
Avatar utente

Iscritto il: 17/02/2009, 0:05
Messaggi: 8524
Località: Isola d'Elba - Arcipelago Toscano
Nome: Leonardo Forbicioni
Grazie Giuseppe!! :lov2: :lov2:

_________________
"Stay hungry, stay foolish".
Steve Jobs, 2005
___________________
jjuniper8(at)gmail.com
Twitter: @weevil_forbix
cell. 339/5275910
___________________


Top
profilo
Visualizza ultimi messaggi:  Ordina per  
nuovo argomento
rispondi
Pagina 1 di 1 [ 3 messaggi ]

Tutti gli orari sono UTC + 1 ora [ ora legale ]


Chi c’è in linea

Visitano il forum: Nessuno e 1 ospite


Non puoi aprire nuovi argomenti
Non puoi rispondere negli argomenti
Non puoi modificare i tuoi messaggi
Non puoi cancellare i tuoi messaggi
Non puoi inviare allegati

Cerca per:
Vai a: