Benvenuto Ospite

Forum Entomologi Italiani

www.entomologiitaliani.net/forum
 
Oggi è 25/11/2025, 11:03

Tutti gli orari sono UTC + 1 ora [ ora legale ]

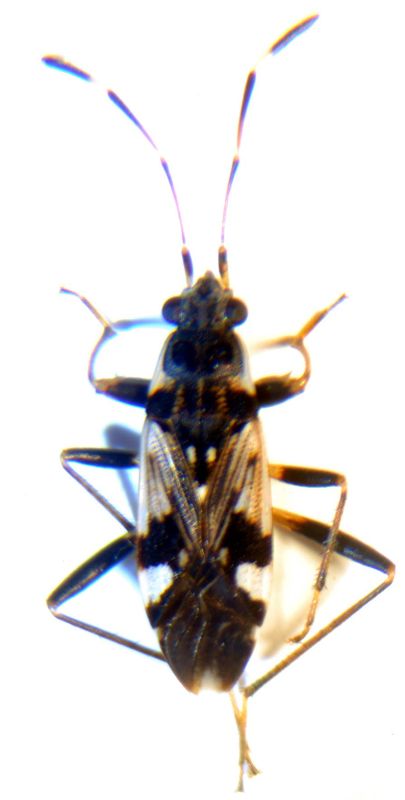
Beosus maritimus (Scopoli, 1763) - Lygaeidae

7.V.2014 - ITALIA - Sardegna - CA, Sinnai, loc. Bau Arrexini, R. Rattu leg.


nuovo argomento
rispondi
Pagina 1 di 1 [ 3 messaggi ]
Autore Messaggio
MessaggioInviato: 10/05/2014, 12:36 
Avatar utente

Iscritto il: 01/11/2009, 9:51
Messaggi: 2330
Nome: Andrea Rattu
Anche questo, come il precedente, raccolto sfalciando la vegetazione erbosa (prevalentemente Graminaceae e Juncaceae) di un campo umido. mm 5,5. Di chi si tratta? Grazie a tutti.


1.JPG


_________________
Se gettassi su di un piatto della bilancia tutto ciò che ho imparato a comprendere in quelle ore di meditazione di fronte all'acquario, e sull'altro tutto ciò che ho ricavato dai libri, come rimarrebbe leggero il secondo!
Konrad Lorenz
Top
profilo
 Oggetto del messaggio: Re: Lygaeidae 2 da ID
MessaggioInviato: 11/05/2014, 23:28 
Avatar utente

Iscritto il: 31/12/2009, 1:47
Messaggi: 906
Località: Bellano (LC)
Nome: Martino Salvetti
Beosus maritimus (Scopoli. 1763)


Top
profilo
 Oggetto del messaggio: Re: Lygaeidae 2 da ID
MessaggioInviato: 12/05/2014, 12:14 
Avatar utente

Iscritto il: 01/11/2009, 9:51
Messaggi: 2330
Nome: Andrea Rattu
Grazie Martino :) .

_________________
Se gettassi su di un piatto della bilancia tutto ciò che ho imparato a comprendere in quelle ore di meditazione di fronte all'acquario, e sull'altro tutto ciò che ho ricavato dai libri, come rimarrebbe leggero il secondo!
Konrad Lorenz


Top
profilo
Visualizza ultimi messaggi:  Ordina per  
nuovo argomento
rispondi
Pagina 1 di 1 [ 3 messaggi ]

Tutti gli orari sono UTC + 1 ora [ ora legale ]


Chi c’è in linea

Visitano il forum: Nessuno e 3 ospiti


Non puoi aprire nuovi argomenti
Non puoi rispondere negli argomenti
Non puoi modificare i tuoi messaggi
Non puoi cancellare i tuoi messaggi
Non puoi inviare allegati

Cerca per:
Vai a: