Benvenuto Ospite

Forum Entomologi Italiani

www.entomologiitaliani.net/forum
 
Oggi è 26/01/2026, 15:35

Tutti gli orari sono UTC + 1 ora [ ora legale ]

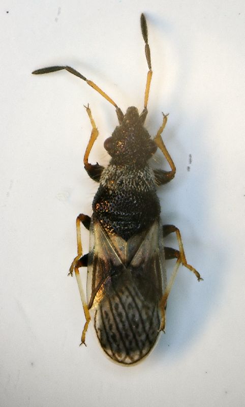
Microplax albofasciata (A. Costa, 1847) - Lygaeidae - Sasso Marconi (BO)



nuovo argomento
rispondi
Pagina 1 di 1 [ 3 messaggi ]
Autore Messaggio
MessaggioInviato: 20/02/2010, 21:28 
Avatar utente

Iscritto il: 05/02/2009, 17:25
Messaggi: 4894
Località: Zola Predosa (BO)
Nome: Loris Colacurcio
Lo avevo già presentato in uno dei resoconti di caccia....
Raccolto unicamente battendo l'edera cresciuta su alcuni Pinus, non sull'Acacia, non sul Pioppo e neanche sul Platano, ma solo "sull'edera di Pinus".

Sasso Marconi (BO) - Palazzo Rossi, 15.II.2010
Lunghezza: ...4-5 mm.
(Heterottero) edera.JPG


_________________
Loris


Top
profilo
MessaggioInviato: 21/02/2010, 3:29 
Avatar utente

Iscritto il: 05/02/2009, 17:34
Messaggi: 894
Località: Sondrio - Lombardia - Italia
Nome: Paride Dioli
Microplax albofasciata (A. Costa 1847)

_________________
Link: https://www.ndsu.edu/pubweb/~rider/Pentatomoidea/Researchers/Dioli_Paride.htm
Papers in PDF format: https://www.researchgate.net/profile/Paride_Dioli/?ev=hdr_xprf/


Top
profilo
MessaggioInviato: 21/02/2010, 14:37 
Avatar utente

Iscritto il: 05/02/2009, 17:25
Messaggi: 4894
Località: Zola Predosa (BO)
Nome: Loris Colacurcio
Grazie mille !
:ok:

_________________
Loris


Top
profilo
Visualizza ultimi messaggi:  Ordina per  
nuovo argomento
rispondi
Pagina 1 di 1 [ 3 messaggi ]

Tutti gli orari sono UTC + 1 ora [ ora legale ]


Chi c’è in linea

Visitano il forum: Nessuno e 2 ospiti


Non puoi aprire nuovi argomenti
Non puoi rispondere negli argomenti
Non puoi modificare i tuoi messaggi
Non puoi cancellare i tuoi messaggi
Non puoi inviare allegati

Cerca per:
Vai a:  
cron