Benvenuto Ospite

Forum Entomologi Italiani

www.entomologiitaliani.net/forum
 
Oggi è 26/01/2026, 20:04

Tutti gli orari sono UTC + 1 ora [ ora legale ]

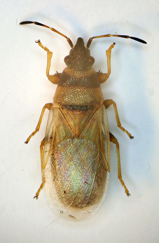
Oxycarenus (Euoxycarenus) pallens (Herrich-Schaeffer, 1850) - Lygaeidae - Sasso Marconi (BO)



nuovo argomento
rispondi
Pagina 1 di 1 [ 2 messaggi ]
Autore Messaggio
MessaggioInviato: 14/02/2010, 19:17 
Avatar utente

Iscritto il: 05/02/2009, 17:25
Messaggi: 4894
Località: Zola Predosa (BO)
Nome: Loris Colacurcio
Raccolto mentre ispezionavo i fusti di alcune piante (tipo ombrellifere) per cercare larve di Agapanthia,,,,,e qualunque altra cosa.

Sasso Marconi (BO) - Palazzo Rossi, 13.II.2010
(Heterotter) sp. 1.JPG


_________________
Loris


Top
profilo
MessaggioInviato: 21/02/2010, 3:36 
Avatar utente

Iscritto il: 05/02/2009, 17:34
Messaggi: 894
Località: Sondrio - Lombardia - Italia
Nome: Paride Dioli
Oxycarenus (Euoxycarenus) pallens (Herrich-Schaeffer 1850)

_________________
Link: https://www.ndsu.edu/pubweb/~rider/Pentatomoidea/Researchers/Dioli_Paride.htm
Papers in PDF format: https://www.researchgate.net/profile/Paride_Dioli/?ev=hdr_xprf/


Top
profilo
Visualizza ultimi messaggi:  Ordina per  
nuovo argomento
rispondi
Pagina 1 di 1 [ 2 messaggi ]

Tutti gli orari sono UTC + 1 ora [ ora legale ]


Chi c’è in linea

Visitano il forum: Nessuno e 1 ospite


Non puoi aprire nuovi argomenti
Non puoi rispondere negli argomenti
Non puoi modificare i tuoi messaggi
Non puoi cancellare i tuoi messaggi
Non puoi inviare allegati

Cerca per:
Vai a: