| Forum Entomologi Italiani https://www.entomologiitaliani.net/public/forum/phpbb3/ |
|
| Megalonotus sabulicola (Thomson, 1870) - Lygaeidae https://www.entomologiitaliani.net/public/forum/phpbb3/viewtopic.php?f=93&t=5762 |
Pagina 1 di 1 |
| Autore: | marco paglialunga [ 02/03/2010, 12:42 ] | ||
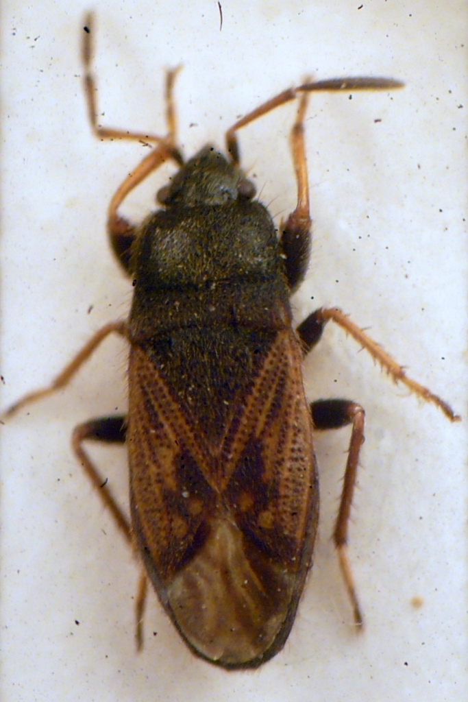
| Oggetto del messaggio: | Megalonotus sabulicola (Thomson, 1870) - Lygaeidae | ||
Pian di Massiano (PG) V-93 4,5 mm
|
|||
| Autore: | marsal [ 16/04/2011, 0:19 ] |
| Oggetto del messaggio: | Re: Megalonotus sabulicola (Thomson, 1870) |
E' un Megalonotus sabulicola |
|
| Pagina 1 di 1 | Tutti gli orari sono UTC + 1 ora [ ora legale ] |
| Powered by phpBB® Forum Software © phpBB Group http://www.phpbb.com/ |
|