Benvenuto Ospite

Forum Entomologi Italiani

www.entomologiitaliani.net/forum
 
Oggi è 28/04/2026, 19:58

Tutti gli orari sono UTC + 1 ora [ ora legale ]

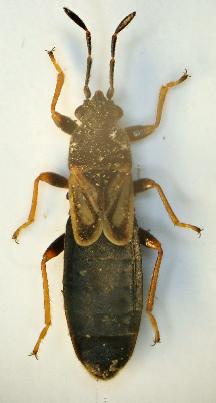
Ischnodemus quadratus Fieber, 1837 - Lygaeidae - Sasso Marconi (BO)

15.III.2010 - ITALIA - Emilia-Romagna - BO, Sasso Marconi - Palazzo Rossi


nuovo argomento
rispondi
Pagina 1 di 1 [ 2 messaggi ]
Autore Messaggio
MessaggioInviato: 18/03/2010, 0:08 
Avatar utente

Iscritto il: 05/02/2009, 17:25
Messaggi: 4894
Località: Zola Predosa (BO)
Nome: Loris Colacurcio
Questo heterottero l'ho invece trovato in 2-3 esemplari, unicamente battendo un piccolo groviglio di rovi secchi....

Sasso Marconi (BO) - Palazzo Rossi, 15.III.2010
Lunghezza: 4 mm. circa
Heterottero 08.JPG


_________________
Loris


Top
profilo
MessaggioInviato: 19/03/2010, 2:16 
Avatar utente

Iscritto il: 05/02/2009, 17:36
Messaggi: 780
Nome: Attilio Carapezza
Ischnodemus quadratus Fieber, 1837 (Lygaeidae); è questione aperta, e probabilmente destinata a rimanere lungamente irrisolta, se questo taxon corrisponda ad una buona specie o sia una forma conspecifica di Ischnodemus sabuleti (Fallén, 1826).


Top
profilo
Visualizza ultimi messaggi:  Ordina per  
nuovo argomento
rispondi
Pagina 1 di 1 [ 2 messaggi ]

Tutti gli orari sono UTC + 1 ora [ ora legale ]


Chi c’è in linea

Visitano il forum: Nessuno e 1 ospite


Non puoi aprire nuovi argomenti
Non puoi rispondere negli argomenti
Non puoi modificare i tuoi messaggi
Non puoi cancellare i tuoi messaggi
Non puoi inviare allegati

Cerca per:
Vai a: