Benvenuto Ospite

Forum Entomologi Italiani

www.entomologiitaliani.net/forum
 
Oggi è 13/03/2026, 23:27

Tutti gli orari sono UTC + 1 ora [ ora legale ]

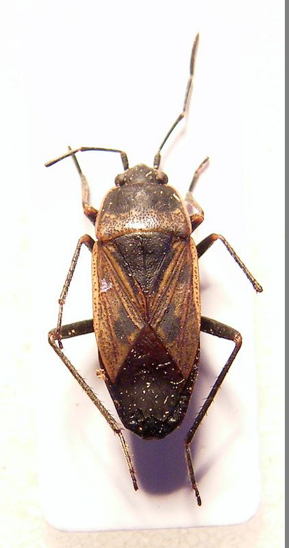
Rhyparochromus pini (Linnaeus, 1758) ♀ - Lygaeidae

VII.1978 - ITALIA - Valle d'Aosta - AO, Champoluc (Val d'Ayas) - leg. G. Gardini


nuovo argomento
rispondi
Pagina 1 di 1 [ 3 messaggi ]
Autore Messaggio
MessaggioInviato: 03/02/2016, 15:14 
Avatar utente

Iscritto il: 01/11/2009, 9:51
Messaggi: 2330
Nome: Andrea Rattu
Si può identificare questo malridotto lygeide lungo 7,2 mm raccolto a 1600 metri di altitudine? Azzardo genere Rhyparochromus. Grazie a tutti.


5a.jpg

4a.jpg

3a.jpg

2a.jpg

1a.jpg


_________________
Se gettassi su di un piatto della bilancia tutto ciò che ho imparato a comprendere in quelle ore di meditazione di fronte all'acquario, e sull'altro tutto ciò che ho ricavato dai libri, come rimarrebbe leggero il secondo!
Konrad Lorenz
Top
profilo
 Oggetto del messaggio: Re: Lygaeidae 1 da ID
MessaggioInviato: 03/02/2016, 16:48 
Avatar utente

Iscritto il: 21/09/2014, 11:55
Messaggi: 1561
Località: Istanbul Turkey
Nome: Barış
Female of Rhyparochromus pini :)


Top
profilo
 Oggetto del messaggio: Re: Lygaeidae 1 da ID
MessaggioInviato: 03/02/2016, 17:23 
Avatar utente

Iscritto il: 01/11/2009, 9:51
Messaggi: 2330
Nome: Andrea Rattu
Thank you very much Baris :hp: .

_________________
Se gettassi su di un piatto della bilancia tutto ciò che ho imparato a comprendere in quelle ore di meditazione di fronte all'acquario, e sull'altro tutto ciò che ho ricavato dai libri, come rimarrebbe leggero il secondo!
Konrad Lorenz


Top
profilo
Visualizza ultimi messaggi:  Ordina per  
nuovo argomento
rispondi
Pagina 1 di 1 [ 3 messaggi ]

Tutti gli orari sono UTC + 1 ora [ ora legale ]


Chi c’è in linea

Visitano il forum: Nessuno e 3 ospiti


Non puoi aprire nuovi argomenti
Non puoi rispondere negli argomenti
Non puoi modificare i tuoi messaggi
Non puoi cancellare i tuoi messaggi
Non puoi inviare allegati

Cerca per:
Vai a:  
cron