Benvenuto Ospite

Forum Entomologi Italiani

www.entomologiitaliani.net/forum
 
Oggi è 24/11/2025, 6:20

Tutti gli orari sono UTC + 1 ora [ ora legale ]

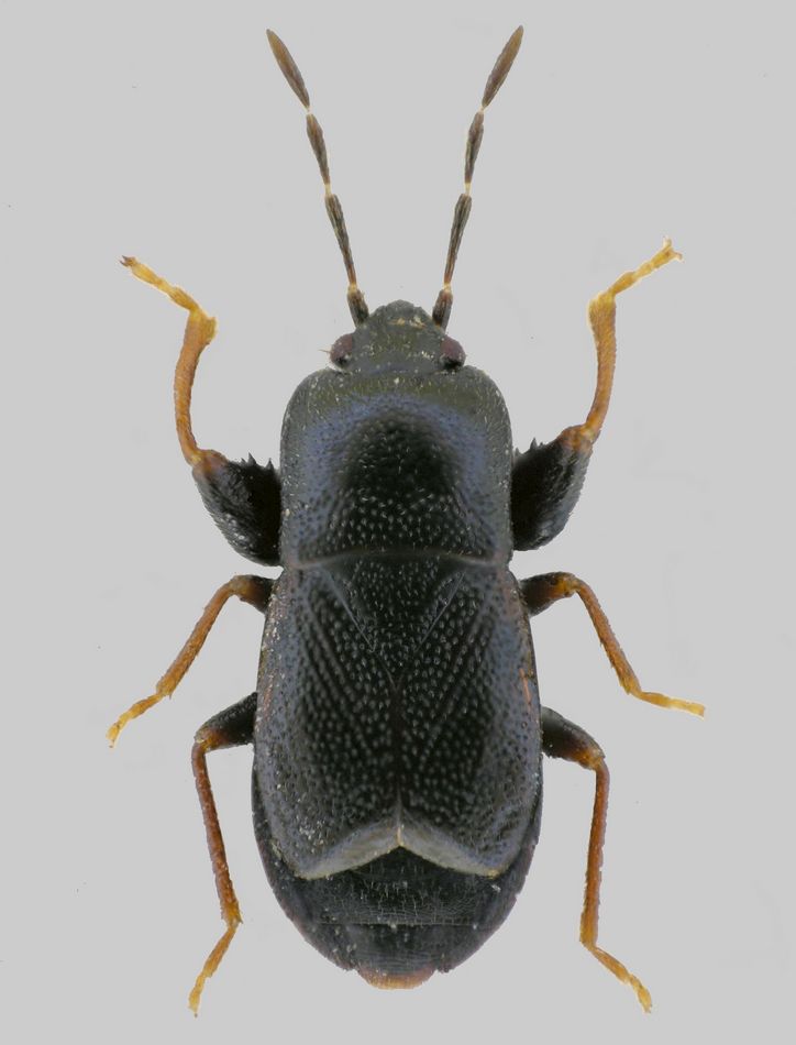
Plinthisus (s. str.) brevipennis (Latreille,1807) - Lygaeidae.

11.IV.2010 - ITALIA - Emilia-Romagna - BO, Casalfiumanese, 300m., Leg. A. Degiovanni


nuovo argomento
rispondi
Pagina 1 di 1 [ 4 messaggi ]
Autore Messaggio
MessaggioInviato: 12/04/2010, 20:22 
Avatar utente

Iscritto il: 06/02/2009, 9:03
Messaggi: 6373
Località: Bubano di Mordano (Bologna)
Nome: Augusto Degiovanni
Alcune degli Heterotteri trovati nei Calanchi.

ROMAGNA: Casalfiumanese, (BO), 300m., 11.IV.2010, Leg. A. Degiovanni

Lunghezza: 2,6 mm

6.jpg



6 (2).jpg


_________________
CIAO :hi: Augusto Degiovanni

http://anthicidaeecarabidae.altervista.org


Top
profilo
 Oggetto del messaggio: Re: Heteroptera 3
MessaggioInviato: 12/04/2010, 22:03 
Avatar utente

Iscritto il: 05/02/2009, 17:25
Messaggi: 4894
Località: Zola Predosa (BO)
Nome: Loris Colacurcio
E questo invece è di sicuro Plinthisus.... e forse il brevipennis (altrimenti è il longicollis).

Trovato in lettiera: di castagno, di quercia e pure di pioppo.

:hi:

_________________
Loris


Top
profilo
 Oggetto del messaggio: Re: Heteroptera 3
MessaggioInviato: 13/04/2010, 17:47 
Avatar utente

Iscritto il: 05/02/2009, 17:36
Messaggi: 780
Nome: Attilio Carapezza
La prima ipotesi di Loris è quella giusta: Plinthisus (s. str.) brevipennis (Latreille,1807), Lygaeidae.


Top
profilo
MessaggioInviato: 13/04/2010, 20:11 
Avatar utente

Iscritto il: 06/02/2009, 9:03
Messaggi: 6373
Località: Bubano di Mordano (Bologna)
Nome: Augusto Degiovanni
Grazie ad entrambi per la determinazione :ok: :ok:

_________________
CIAO :hi: Augusto Degiovanni

http://anthicidaeecarabidae.altervista.org


Top
profilo
Visualizza ultimi messaggi:  Ordina per  
nuovo argomento
rispondi
Pagina 1 di 1 [ 4 messaggi ]

Tutti gli orari sono UTC + 1 ora [ ora legale ]


Chi c’è in linea

Visitano il forum: Nessuno e 4 ospiti


Non puoi aprire nuovi argomenti
Non puoi rispondere negli argomenti
Non puoi modificare i tuoi messaggi
Non puoi cancellare i tuoi messaggi
Non puoi inviare allegati

Cerca per:
Vai a:  
cron