Benvenuto Ospite

Forum Entomologi Italiani

www.entomologiitaliani.net/forum
 
Oggi è 29/04/2026, 6:28

Tutti gli orari sono UTC + 1 ora [ ora legale ]

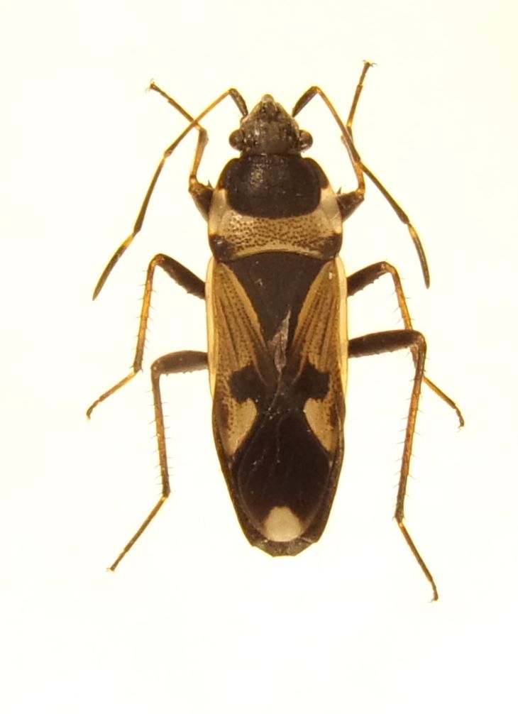
Raglius confusus (Reuter, 1886) - Lygaeidae

21.II.2016 - ITALIA - Emilia-Romagna - RA, colline sopra Riolo Terme, Ca' Castellina, 350 m.


nuovo argomento
rispondi
Pagina 1 di 1 [ 4 messaggi ]
Autore Messaggio
MessaggioInviato: 08/03/2016, 13:13 
 

Iscritto il: 08/12/2013, 1:52
Messaggi: 7704
Località: Bagnacavallo (RA)
Nome: Giorgio Pezzi
Trovato sotto corteccia di pino. :hi:
103_0169.JPG



Top
profilo
 Oggetto del messaggio: Re: Raglius alboacuminatus?
MessaggioInviato: 08/03/2016, 17:54 
Avatar utente

Iscritto il: 21/09/2014, 11:55
Messaggi: 1561
Località: Istanbul Turkey
Nome: Barış
:no1:
viewtopic.php?f=11&t=66821


Top
profilo
 Oggetto del messaggio: Re: Raglius alboacuminatus?
MessaggioInviato: 08/03/2016, 18:47 
 

Iscritto il: 08/12/2013, 1:52
Messaggi: 7704
Località: Bagnacavallo (RA)
Nome: Giorgio Pezzi
Ouch! Anyway I had some doubt. It's better so, I had not yet this one.
Thank you!
:hi:


Top
profilo
 Oggetto del messaggio: Re: Raglius alboacuminatus?
MessaggioInviato: 09/03/2016, 23:04 
 

Iscritto il: 08/12/2013, 1:52
Messaggi: 7704
Località: Bagnacavallo (RA)
Nome: Giorgio Pezzi
Qualcuno rinomina con Raglius confusus? Grazie. :hi:


Top
profilo
Visualizza ultimi messaggi:  Ordina per  
nuovo argomento
rispondi
Pagina 1 di 1 [ 4 messaggi ]

Tutti gli orari sono UTC + 1 ora [ ora legale ]


Chi c’è in linea

Visitano il forum: Nessuno e 1 ospite


Non puoi aprire nuovi argomenti
Non puoi rispondere negli argomenti
Non puoi modificare i tuoi messaggi
Non puoi cancellare i tuoi messaggi
Non puoi inviare allegati

Cerca per:
Vai a:  
cron