Benvenuto Ospite

Forum Entomologi Italiani

www.entomologiitaliani.net/forum
 
Oggi è 14/03/2026, 11:37

Tutti gli orari sono UTC + 1 ora [ ora legale ]

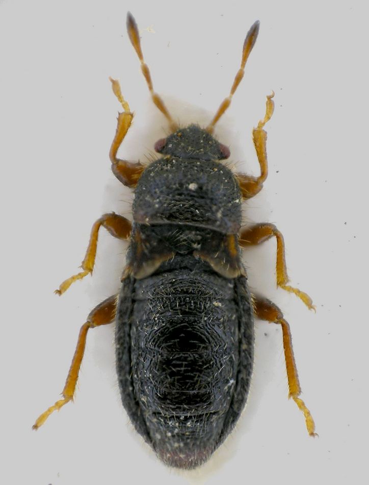
Dimorphopterus doriae (Ferrari, 1874) ♂ - Lygaeidae

11.IV.2010 - ITALIA - Emilia-Romagna - BO, Casalfiumanese, 300m., Leg. A. Degiovanni


nuovo argomento
rispondi
Pagina 1 di 1 [ 3 messaggi ]
Autore Messaggio
MessaggioInviato: 12/04/2010, 20:24 
Avatar utente

Iscritto il: 06/02/2009, 9:03
Messaggi: 6379
Località: Bubano di Mordano (Bologna)
Nome: Augusto Degiovanni
Alcune degli Heterotteri trovati nei Calanchi.

ROMAGNA: Casalfiumanese, (BO), 300m., 11.IV.2010, Leg. A. Degiovanni

Lunghezza: 2,3 mm

3.jpg



3 (2).jpg


_________________
CIAO :hi: Augusto Degiovanni

http://anthicidaeecarabidae.altervista.org


Top
profilo
 Oggetto del messaggio: Re: Heteroptera 4
MessaggioInviato: 13/04/2010, 17:42 
Avatar utente

Iscritto il: 05/02/2009, 17:36
Messaggi: 780
Nome: Attilio Carapezza
Maschio di Dimorphopterus doriae (Ferrari, 1874). Ligeide localizzato ed elusivo, per questo poco presente nelle collezioni; complimenti!


Top
profilo
MessaggioInviato: 13/04/2010, 20:16 
Avatar utente

Iscritto il: 06/02/2009, 9:03
Messaggi: 6379
Località: Bubano di Mordano (Bologna)
Nome: Augusto Degiovanni
Grazie Attilio per la determinazione :ok: ,
il fatto è che non c'era solo lui, secondo mè ce n' erano altri, che inizialmente li avevo scambiati a vista per il Plinthisus (s. str.) brevipennis (Latreille,1807), per cui questo l'ho trovato assieme a loro sotto massi in prato a pascolo su Calanchi.

_________________
CIAO :hi: Augusto Degiovanni

http://anthicidaeecarabidae.altervista.org


Top
profilo
Visualizza ultimi messaggi:  Ordina per  
nuovo argomento
rispondi
Pagina 1 di 1 [ 3 messaggi ]

Tutti gli orari sono UTC + 1 ora [ ora legale ]


Chi c’è in linea

Visitano il forum: Nessuno e 1 ospite


Non puoi aprire nuovi argomenti
Non puoi rispondere negli argomenti
Non puoi modificare i tuoi messaggi
Non puoi cancellare i tuoi messaggi
Non puoi inviare allegati

Cerca per:
Vai a:  
cron