Benvenuto Ospite

Forum Entomologi Italiani

www.entomologiitaliani.net/forum
 
Oggi è 23/11/2025, 9:34

Tutti gli orari sono UTC + 1 ora [ ora legale ]

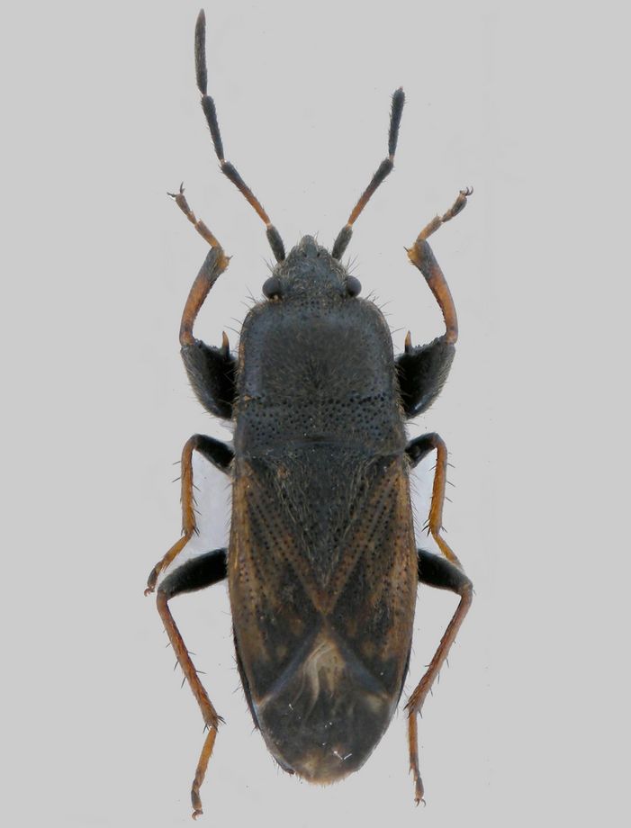
Megalonotus sabulicola (Thomson, 1870) - Lygaeidae

20.III.2010 - ITALIA - Sicilia - PA, Palermo, M.te Pellegrino, 400m., Leg. A. Degiovanni


nuovo argomento
rispondi
Pagina 1 di 1 [ 3 messaggi ]
Autore Messaggio
MessaggioInviato: 18/04/2010, 23:53 
Avatar utente

Iscritto il: 06/02/2009, 9:03
Messaggi: 6373
Località: Bubano di Mordano (Bologna)
Nome: Augusto Degiovanni
Ultima carellata di Heteropteri di Sicilia.

SICILIA: M.te Pellegrino, Palermo, 400m., 20.III.2010, Leg. A. Degiovanni

Lunghezza: 5,5 mm

tn_5,5.jpg


_________________
CIAO :hi: Augusto Degiovanni

http://anthicidaeecarabidae.altervista.org


Top
profilo
 Oggetto del messaggio: Re: Heteroptera sp ?
MessaggioInviato: 19/04/2010, 23:44 
Avatar utente

Iscritto il: 31/12/2009, 1:47
Messaggi: 906
Località: Bellano (LC)
Nome: Martino Salvetti
Per me è un Megalonotus sabulicola (Thomson, 1870)


Top
profilo
 Oggetto del messaggio: Re: Heteroptera sp ?
MessaggioInviato: 20/04/2010, 20:17 
Avatar utente

Iscritto il: 06/02/2009, 9:03
Messaggi: 6373
Località: Bubano di Mordano (Bologna)
Nome: Augusto Degiovanni
Grazie Martino :ok:

_________________
CIAO :hi: Augusto Degiovanni

http://anthicidaeecarabidae.altervista.org


Top
profilo
Visualizza ultimi messaggi:  Ordina per  
nuovo argomento
rispondi
Pagina 1 di 1 [ 3 messaggi ]

Tutti gli orari sono UTC + 1 ora [ ora legale ]


Chi c’è in linea

Visitano il forum: Nessuno e 2 ospiti


Non puoi aprire nuovi argomenti
Non puoi rispondere negli argomenti
Non puoi modificare i tuoi messaggi
Non puoi cancellare i tuoi messaggi
Non puoi inviare allegati

Cerca per:
Vai a:  
cron