Benvenuto Ospite

Forum Entomologi Italiani

www.entomologiitaliani.net/forum
 
Oggi è 28/04/2026, 18:13

Tutti gli orari sono UTC + 1 ora [ ora legale ]

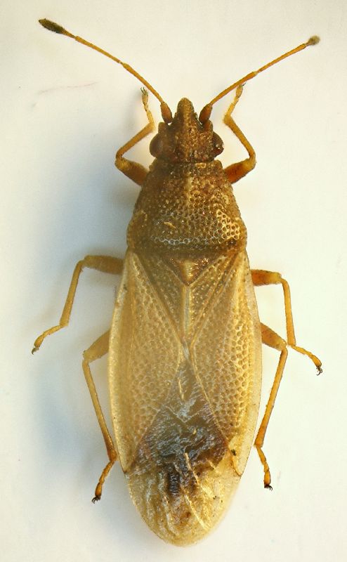
Cymus sp. - Lygaeidae

IV.2010 - ITALIA - Emilia-Romagna - BO, Sasso Marconi - Palazzo Rossi


nuovo argomento
rispondi
Pagina 1 di 1 [ 3 messaggi ]
Autore Messaggio
 Oggetto del messaggio: Cymus sp. - Lygaeidae
MessaggioInviato: 17/04/2010, 0:58 
Avatar utente

Iscritto il: 05/02/2009, 17:25
Messaggi: 4894
Località: Zola Predosa (BO)
Nome: Loris Colacurcio
Questa bestiola la trovo frequentemente sfalciando alcune piante (ignote) che crescono nel rigogliose lungo un mini torrentello (lungo una decina di metri) che si butta nel fiume Reno.

Sasso Marconi (BO) - Palazzo Rossi, aprile 2010
Lunghezza: 4,2 mm. circa

Heterottero 3 4,2mm.JPG


_________________
Loris


Top
profilo
MessaggioInviato: 18/04/2010, 0:05 
Avatar utente

Iscritto il: 31/12/2009, 1:47
Messaggi: 954
Località: Bellano (LC)
Nome: Martino Salvetti
E' un Lygaeidae. Il genere è Cymus. Ora ho un po' sonno....ci guardo domani


Top
profilo
MessaggioInviato: 20/04/2010, 0:12 
Avatar utente

Iscritto il: 31/12/2009, 1:47
Messaggi: 954
Località: Bellano (LC)
Nome: Martino Salvetti
Mi sembra un Cymus glandicolor, ma potrei anche sbagliarmi.


Top
profilo
Visualizza ultimi messaggi:  Ordina per  
nuovo argomento
rispondi
Pagina 1 di 1 [ 3 messaggi ]

Tutti gli orari sono UTC + 1 ora [ ora legale ]


Chi c’è in linea

Visitano il forum: Nessuno e 2 ospiti


Non puoi aprire nuovi argomenti
Non puoi rispondere negli argomenti
Non puoi modificare i tuoi messaggi
Non puoi cancellare i tuoi messaggi
Non puoi inviare allegati

Cerca per:
Vai a: