Benvenuto Ospite

Forum Entomologi Italiani

www.entomologiitaliani.net/forum
 
Oggi è 29/04/2026, 13:10

Tutti gli orari sono UTC + 1 ora [ ora legale ]

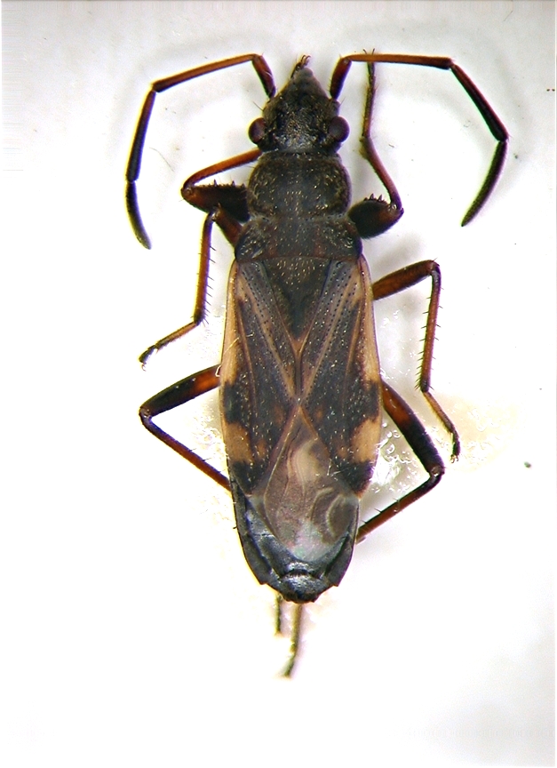
Ligyrocoris sylvestris (Linnaeus, 1758) - Lygaeidae

14.VIII.2017 - ITALIA - Lombardia - SO, Chiesa in Valmalenco-Lago Palù, 2000 m s.l.m.


nuovo argomento
rispondi
Pagina 1 di 1 [ 1 messaggio ]
Autore Messaggio
MessaggioInviato: 23/10/2017, 23:39 
Avatar utente

Iscritto il: 31/12/2009, 1:47
Messaggi: 955
Località: Bellano (LC)
Nome: Martino Salvetti
Questo Lygaeidae credo che non fosse ancora presente nel forum.
Mi piace particolarmente per la sua forma slanciata e perchè ricorda molti altri Lygaeidae ma si distingue nettamente da tutti; si tratta di una specie olartica, circumboreale. Si trova in tutto il nord Europa e nell'Europa continentale, in Italia è presente sull'arco alpino. Vive nelle torbiere a Erioforo, dove lo si può trovre anche abbondante sia cacciando a livello del terreno, sia passando il retino.


Copia di Ligyrocoris2.jpg

Top
profilo
Visualizza ultimi messaggi:  Ordina per  
nuovo argomento
rispondi
Pagina 1 di 1 [ 1 messaggio ]

Tutti gli orari sono UTC + 1 ora [ ora legale ]


Chi c’è in linea

Visitano il forum: Nessuno e 4 ospiti


Non puoi aprire nuovi argomenti
Non puoi rispondere negli argomenti
Non puoi modificare i tuoi messaggi
Non puoi cancellare i tuoi messaggi
Non puoi inviare allegati

Cerca per:
Vai a: