Benvenuto Ospite

Forum Entomologi Italiani

www.entomologiitaliani.net/forum
 
Oggi è 26/01/2026, 12:11

Tutti gli orari sono UTC + 1 ora [ ora legale ]

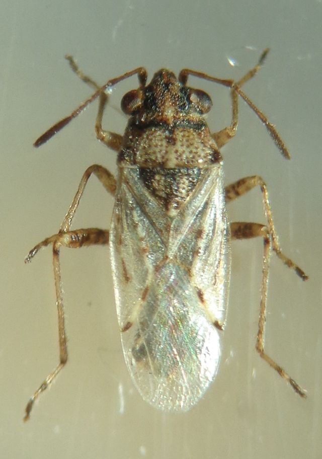
Nysius sp. - Lygaeidae

3.VII.2019 - ITALIA - Emilia-Romagna - RA, Mezzano, ZPS


nuovo argomento
rispondi
Pagina 1 di 1 [ 1 messaggio ]
Autore Messaggio
 Oggetto del messaggio: Nysius sp. - Lygaeidae
MessaggioInviato: 18/09/2020, 21:52 
 

Iscritto il: 08/12/2013, 1:52
Messaggi: 7617
Località: Bagnacavallo (RA)
Nome: Giorgio Pezzi
Mi pare un Nysius: si può dire di più? corpo (ali escluse) mm 3,4. Grazie.
:hi:
DSC03757.JPG



DSC03759.JPG

DSC03758.JPG

Top
profilo
Visualizza ultimi messaggi:  Ordina per  
nuovo argomento
rispondi
Pagina 1 di 1 [ 1 messaggio ]

Tutti gli orari sono UTC + 1 ora [ ora legale ]


Chi c’è in linea

Visitano il forum: Nessuno e 1 ospite


Non puoi aprire nuovi argomenti
Non puoi rispondere negli argomenti
Non puoi modificare i tuoi messaggi
Non puoi cancellare i tuoi messaggi
Non puoi inviare allegati

Cerca per:
Vai a:  
cron