| Forum Entomologi Italiani https://www.entomologiitaliani.net/public/forum/phpbb3/ |
|
| Sciocoris (Aposciocoris) macrocephalus Fieber, 1851 - Pentatomidae https://www.entomologiitaliani.net/public/forum/phpbb3/viewtopic.php?f=94&t=100214 |
Pagina 1 di 1 |
| Autore: | Chalybion [ 25/08/2022, 19:13 ] | ||
| Oggetto del messaggio: | Sciocoris (Aposciocoris) macrocephalus Fieber, 1851 - Pentatomidae | ||
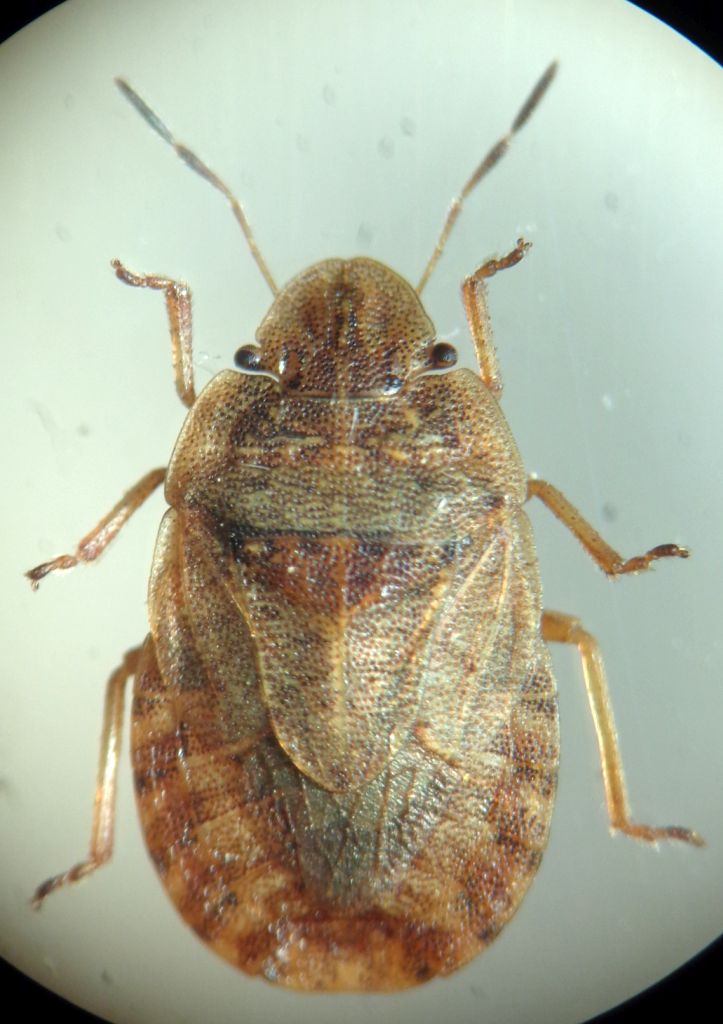
mm 6.5; anche qui meglio sentire l'esperto; probabilmente è la femmina di questo viewtopic.php?t=100213 , con qualche differenza, ad es. scutello a lati più sinuati ... ![]()
|
|||
| Autore: | marsal [ 27/08/2022, 0:08 ] |
| Oggetto del messaggio: | Re: Sciocoris 2 da ID |
direi sempre Sciocoris macrocephalus, probabilmente il maschio. La femmina dovrebbe essere quella dell'altro esemplare postato |
|
| Pagina 1 di 1 | Tutti gli orari sono UTC + 1 ora [ ora legale ] |
| Powered by phpBB® Forum Software © phpBB Group http://www.phpbb.com/ |
|