Benvenuto Ospite

Forum Entomologi Italiani

www.entomologiitaliani.net/forum
 
Oggi è 25/01/2026, 18:15

Tutti gli orari sono UTC + 1 ora [ ora legale ]

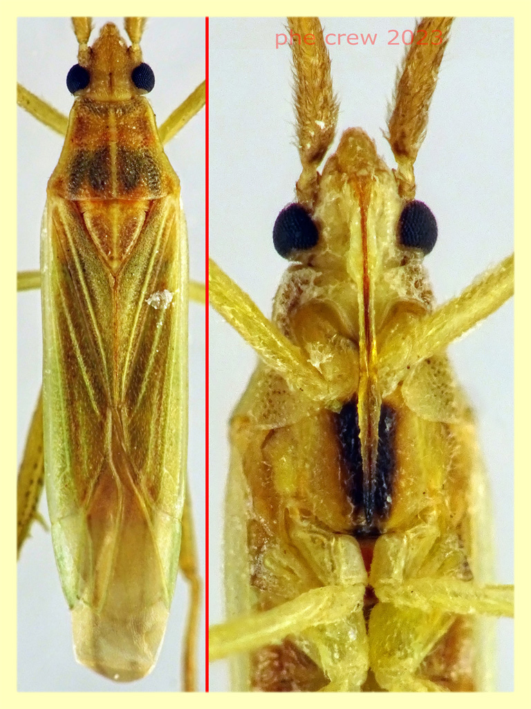
Stenodema (Brachystira) calcarata (Fallen, 1807) (cf.) - Miridae

12.VIII.2023 - ITALIA - Lazio - RM, Anzio - Riserva di Tor Caldara


nuovo argomento
rispondi
Pagina 1 di 1 [ 1 messaggio ]
Autore Messaggio
MessaggioInviato: 13/08/2023, 15:29 
Avatar utente

Iscritto il: 05/07/2009, 12:23
Messaggi: 6885
Località: Anzio (RM)
Nome: Vittorio Risoldi
...dovrebbe essere Stenodema calcarata....7 mm., trovata morta in una pozzanghera di zolfo.

Stenodema calcarata 7 nn. - Tor Caldara 12.8.2023 - (1).JPG

Stenodema calcarata 7 nn. - Tor Caldara 12.8.2023 - (4).JPG

Stenodema calcarata 7 nn. - Tor Caldara 12.8.2023 - (2).JPG

Stenodema calcarata 7 nn. - Tor Caldara 12.8.2023 - (5).JPG


_________________
°°°°°°°°°°°°°°°°°°°°°°°°°°°°°°°°°°°°°°°°
Ciao
Vittorio


Flickr

Phe Immagini

Facebook


Top
profilo
Visualizza ultimi messaggi:  Ordina per  
nuovo argomento
rispondi
Pagina 1 di 1 [ 1 messaggio ]

Tutti gli orari sono UTC + 1 ora [ ora legale ]


Chi c’è in linea

Visitano il forum: Nessuno e 1 ospite


Non puoi aprire nuovi argomenti
Non puoi rispondere negli argomenti
Non puoi modificare i tuoi messaggi
Non puoi cancellare i tuoi messaggi
Non puoi inviare allegati

Cerca per:
Vai a: