Benvenuto Ospite

Forum Entomologi Italiani

www.entomologiitaliani.net/forum
 
Oggi è 30/04/2026, 16:44

Tutti gli orari sono UTC + 1 ora [ ora legale ]

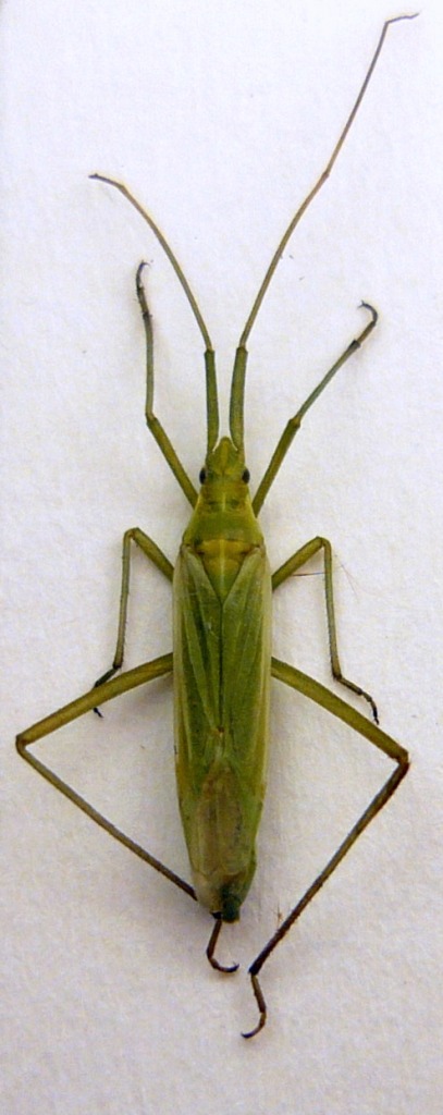
Megaloceroea recticornis (Geoffroy, 1785) Miridae Stenodemini

5.VI.2011 - ITALIA - Marche - PU, Fossombrone 330 mt


nuovo argomento
rispondi
Pagina 1 di 1 [ 3 messaggi ]
Autore Messaggio
MessaggioInviato: 06/06/2011, 20:39 
Avatar utente

Iscritto il: 11/11/2009, 20:54
Messaggi: 4857
Località: Pesaro
Nome: Marco Paglialunga
10.5 mm


P1100037.JPG


_________________
O voi ch'avete li 'ntelletti sani, mirate la dottrina che s'asconde sotto 'l velame de li versi strani
(InfeRRno - canto IX - vv. 61-63)
Top
profilo
MessaggioInviato: 01/07/2011, 23:59 
Avatar utente

Iscritto il: 05/02/2009, 17:34
Messaggi: 894
Località: Sondrio - Lombardia - Italia
Nome: Paride Dioli
Confermo la diagnosi :)

_________________
Link: https://www.ndsu.edu/pubweb/~rider/Pentatomoidea/Researchers/Dioli_Paride.htm
Papers in PDF format: https://www.researchgate.net/profile/Paride_Dioli/?ev=hdr_xprf/


Top
profilo
MessaggioInviato: 02/07/2011, 8:04 
Avatar utente

Iscritto il: 11/11/2009, 20:54
Messaggi: 4857
Località: Pesaro
Nome: Marco Paglialunga
Grazie Doc ;)

_________________
O voi ch'avete li 'ntelletti sani, mirate la dottrina che s'asconde sotto 'l velame de li versi strani
(InfeRRno - canto IX - vv. 61-63)


Top
profilo
Visualizza ultimi messaggi:  Ordina per  
nuovo argomento
rispondi
Pagina 1 di 1 [ 3 messaggi ]

Tutti gli orari sono UTC + 1 ora [ ora legale ]


Chi c’è in linea

Visitano il forum: Nessuno e 1 ospite


Non puoi aprire nuovi argomenti
Non puoi rispondere negli argomenti
Non puoi modificare i tuoi messaggi
Non puoi cancellare i tuoi messaggi
Non puoi inviare allegati

Cerca per:
Vai a: