| Forum Entomologi Italiani https://www.entomologiitaliani.net/public/forum/phpbb3/ |
|
| Calocoris roseomaculatus (De Geer, 1773) - Miridae https://www.entomologiitaliani.net/public/forum/phpbb3/viewtopic.php?f=95&t=22954 |
Pagina 1 di 1 |
| Autore: | Loriscola [ 13/06/2011, 8:27 ] |
| Oggetto del messaggio: | Calocoris roseomaculatus (De Geer, 1773) - Miridae |
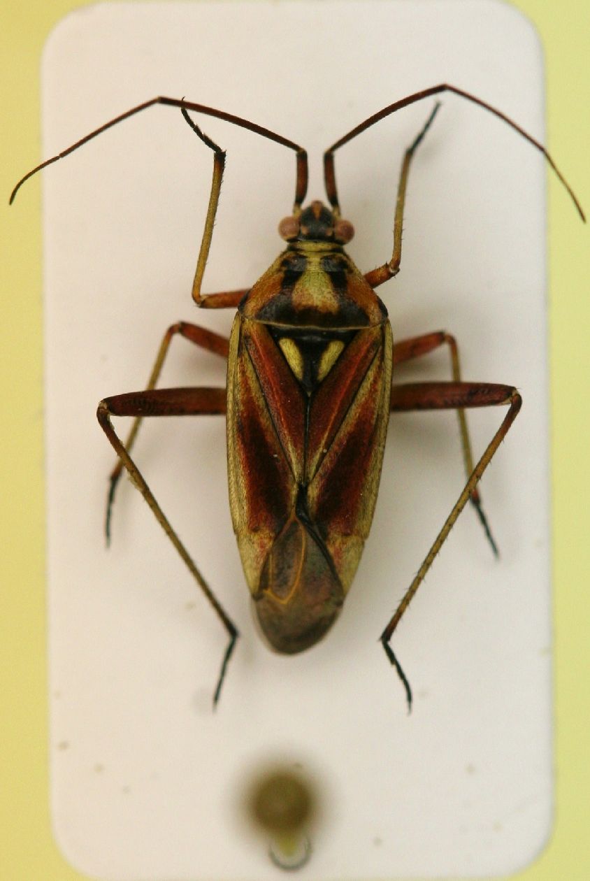
Vi propongo un paio di "cimici" raccolte sull'alto Appennino bolognese, in entrambi i casi erano su fiori di un arbusto....di cui non ricordo più il nome. Lunghezza: 7,5 mm. |
|
| Autore: | eremicus [ 15/06/2011, 17:20 ] |
| Oggetto del messaggio: | Re: Heterottero 1 da id. |
Closterotomus roseomaculatus (De Geer, 1773) |
|
| Pagina 1 di 1 | Tutti gli orari sono UTC + 1 ora [ ora legale ] |
| Powered by phpBB® Forum Software © phpBB Group http://www.phpbb.com/ |
|