Benvenuto Ospite

Forum Entomologi Italiani

www.entomologiitaliani.net/forum
 
Oggi è 29/04/2026, 15:19

Tutti gli orari sono UTC + 1 ora [ ora legale ]

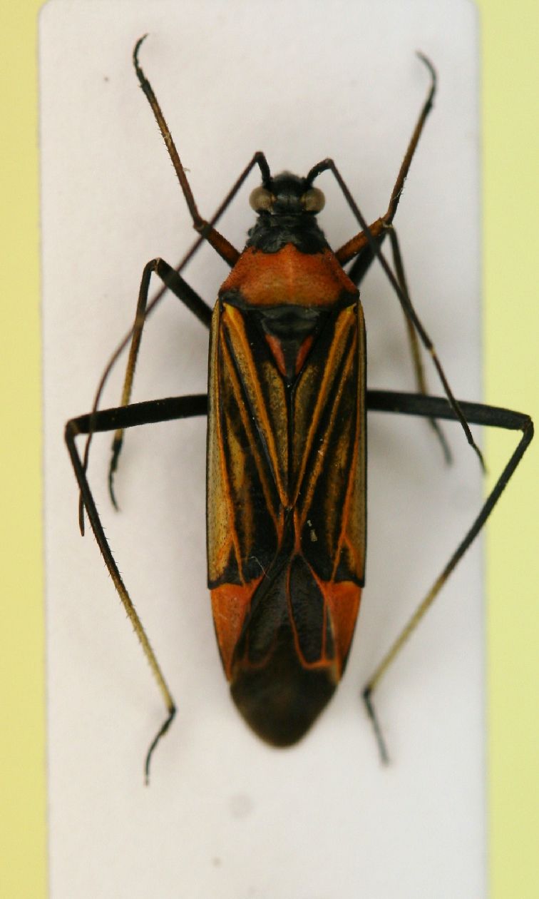
Miris striatus (Linnaeus, 1758) - Miridae

3.VI.2011 - ITALIA - Emilia-Romagna - BO, Alto Appennino bolognese (mt. 1.000)


nuovo argomento
rispondi
Pagina 1 di 1 [ 2 messaggi ]
Autore Messaggio
MessaggioInviato: 13/06/2011, 8:28 
Avatar utente

Iscritto il: 05/02/2009, 17:25
Messaggi: 4894
Località: Zola Predosa (BO)
Nome: Loris Colacurcio
Vi propongo un paio di "cimici" raccolte sull'alto Appennino bolognese, in entrambi i casi erano su fiori di un arbusto....di cui non ricordo più il nome.

Lunghezza: 11 mm.

Heterottero2 11mm Corno.JPG


_________________
Loris


Top
profilo
 Oggetto del messaggio: Re: Heterottero 2 da id.
MessaggioInviato: 15/06/2011, 17:12 
Avatar utente

Iscritto il: 05/02/2009, 17:36
Messaggi: 780
Nome: Attilio Carapezza
Miris striatus (Linnaeus, 1758)


Top
profilo
Visualizza ultimi messaggi:  Ordina per  
nuovo argomento
rispondi
Pagina 1 di 1 [ 2 messaggi ]

Tutti gli orari sono UTC + 1 ora [ ora legale ]


Chi c’è in linea

Visitano il forum: Nessuno e 2 ospiti


Non puoi aprire nuovi argomenti
Non puoi rispondere negli argomenti
Non puoi modificare i tuoi messaggi
Non puoi cancellare i tuoi messaggi
Non puoi inviare allegati

Cerca per:
Vai a: