Benvenuto Ospite

Forum Entomologi Italiani

www.entomologiitaliani.net/forum
 
Oggi è 29/04/2026, 8:23

Tutti gli orari sono UTC + 1 ora [ ora legale ]

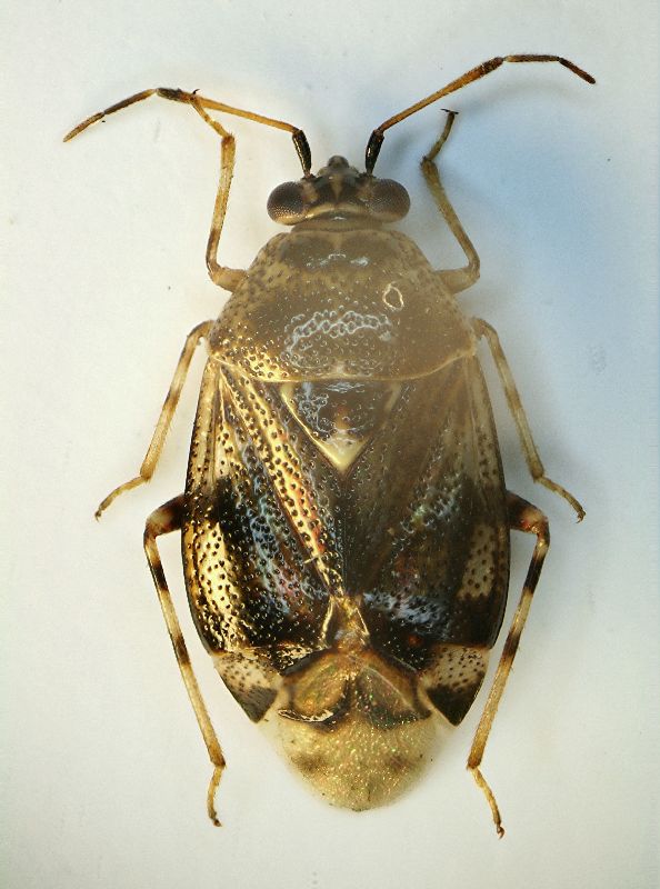
Deraeocoris (Camptobrochis) serenus Douglas & Scott, 1868 - Miridae - Sasso Marconi (BO)



nuovo argomento
rispondi
Pagina 1 di 1 [ 2 messaggi ]
Autore Messaggio
MessaggioInviato: 18/03/2010, 0:03 
Avatar utente

Iscritto il: 05/02/2009, 17:25
Messaggi: 4894
Località: Zola Predosa (BO)
Nome: Loris Colacurcio
Altro heterottero da "lettiera di pioppo".

Sasso Marconi (BO) - Palazzo Rossi, 15.III.2010
Lunghezza: 4,3 mm. circa

Heterottero 03.JPG


_________________
Loris


Top
profilo
MessaggioInviato: 19/03/2010, 2:18 
Avatar utente

Iscritto il: 05/02/2009, 17:36
Messaggi: 780
Nome: Attilio Carapezza
Deraeocoris (Camptobrochis) serenus Douglas & Scott, 1868, Miride predatore.


Top
profilo
Visualizza ultimi messaggi:  Ordina per  
nuovo argomento
rispondi
Pagina 1 di 1 [ 2 messaggi ]

Tutti gli orari sono UTC + 1 ora [ ora legale ]


Chi c’è in linea

Visitano il forum: Nessuno e 2 ospiti


Non puoi aprire nuovi argomenti
Non puoi rispondere negli argomenti
Non puoi modificare i tuoi messaggi
Non puoi cancellare i tuoi messaggi
Non puoi inviare allegati

Cerca per:
Vai a: