Benvenuto Ospite

Forum Entomologi Italiani

www.entomologiitaliani.net/forum
 
Oggi è 01/05/2026, 4:47

Tutti gli orari sono UTC + 1 ora [ ora legale ]

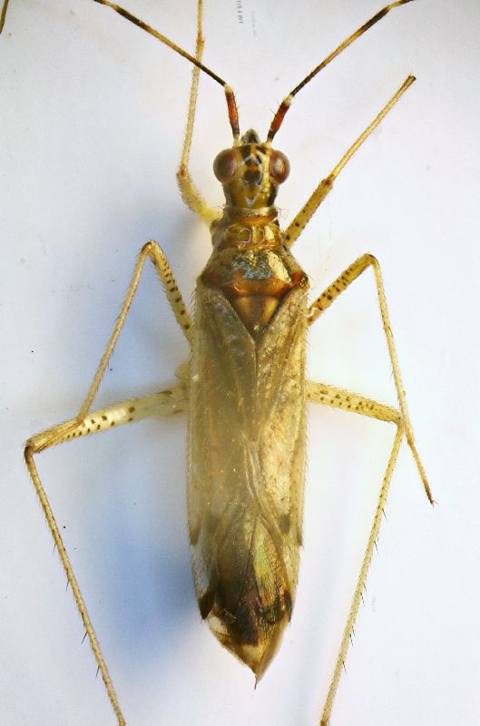
Dicyphus sp. - Miridae - Sasso Marconi (BO)



nuovo argomento
rispondi
Pagina 1 di 1 [ 2 messaggi ]
Autore Messaggio
MessaggioInviato: 06/04/2010, 12:27 
Avatar utente

Iscritto il: 05/02/2009, 17:25
Messaggi: 4894
Località: Zola Predosa (BO)
Nome: Loris Colacurcio
Molto simile a quello appena presentato, ma pià grande....e raccolto sempre a sfalcio, ma su praticello bassissimo a ridosso di una pozza d'acqua permanente.

Sasso Marconi (BO) - Palazzo Rossi, marzo 2010
Lunghezza: 4,8 mm. circa

Heterott 06 4,8mm.JPG


Heterott 06b 4,8mm.JPG


_________________
Loris


Top
profilo
MessaggioInviato: 19/04/2010, 11:36 
Avatar utente

Iscritto il: 31/12/2009, 1:47
Messaggi: 955
Località: Bellano (LC)
Nome: Martino Salvetti
Direi Dicyphus sp. Mi riprometto di rivederli


Top
profilo
Visualizza ultimi messaggi:  Ordina per  
nuovo argomento
rispondi
Pagina 1 di 1 [ 2 messaggi ]

Tutti gli orari sono UTC + 1 ora [ ora legale ]


Chi c’è in linea

Visitano il forum: Nessuno e 1 ospite


Non puoi aprire nuovi argomenti
Non puoi rispondere negli argomenti
Non puoi modificare i tuoi messaggi
Non puoi cancellare i tuoi messaggi
Non puoi inviare allegati

Cerca per:
Vai a:  
cron