Benvenuto Ospite

Forum Entomologi Italiani

www.entomologiitaliani.net/forum
 
Oggi è 30/04/2026, 22:48

Tutti gli orari sono UTC + 1 ora [ ora legale ]

Dicyphus (Brachyceroea) annulatus (Wolff, 1804) (Miridae Dicyphinae) - Sasso Marconi (BO)



nuovo argomento
rispondi
Pagina 1 di 1 [ 9 messaggi ]
Autore Messaggio
MessaggioInviato: 06/04/2010, 12:24 
Avatar utente

Iscritto il: 05/02/2009, 17:25
Messaggi: 4894
Località: Zola Predosa (BO)
Nome: Loris Colacurcio
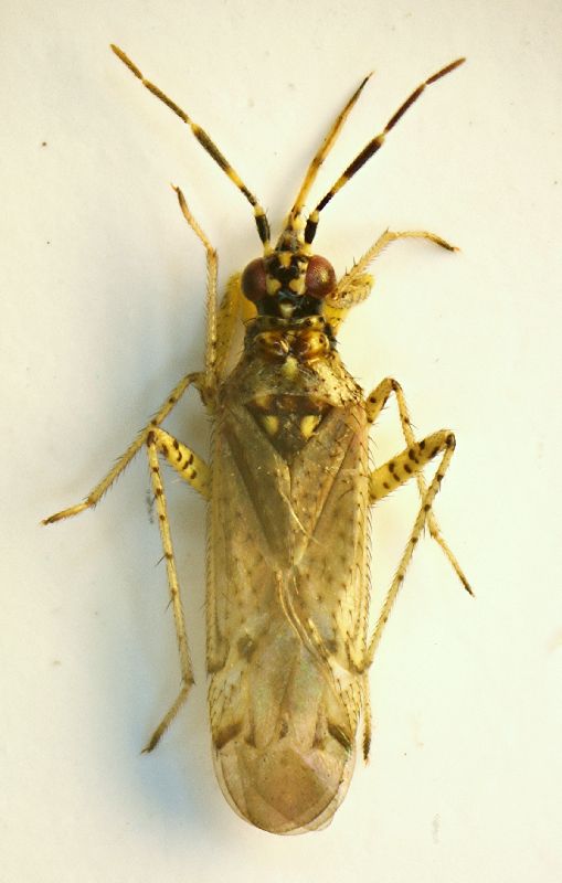
Questi delicatissimi heterotteri li ho presi sfalciando un rigoglioso prato "misto".
Con queste bestiole è sempre meglio fotografare subito, perché in poco tempo si seccano, perdendo molto della loro bellezza...

Sasso Marconi (BO) - Palazzo Rossi, marzo 2010
Lunghezza: 3.4 mm. circa.

Heterott 07 3,4mm.JPG


_________________
Loris


Top
profilo
MessaggioInviato: 29/04/2010, 13:45 
Avatar utente

Iscritto il: 04/02/2009, 17:49
Messaggi: 5557
Località: Cagliari
Nome: Daniele Sechi
E questo? Gli emitterologi latitano... Neanche la famiglia? :no:
Miridae?

_________________
:hi:
Daniele


Top
profilo
MessaggioInviato: 29/04/2010, 15:23 
Avatar utente

Iscritto il: 06/02/2009, 8:59
Messaggi: 305
Località: Sassari
Nome: Laura Loru
e se fosse, ad esempio, un Miridae Dicyphinae ! :oops:
Ciao Laura


Top
profilo
MessaggioInviato: 29/04/2010, 20:00 
Avatar utente

Iscritto il: 05/02/2009, 17:36
Messaggi: 781
Nome: Attilio Carapezza
Non mi ero accorto di questa discussione, rimasta senza risposta. Ovviamente è un Miridae Dicyphinae, in particolare Dicyphus (Brachyceroea) annulatus (Wolff, 1804) (= ononidis, Wagner, 1951), piccolo miride euromediterraneo che vive su Fabaceae, prevalentemente del genere Ononis.


Top
profilo
MessaggioInviato: 30/04/2010, 9:41 
Avatar utente

Iscritto il: 06/02/2009, 8:59
Messaggi: 305
Località: Sassari
Nome: Laura Loru
Accipicchia! Ero arrivata al bivio giusto ma non mi sono "buttata" dando un nome!
Piuttosto Attilio sono un pò :? io ero per l'appunto indecisa tra Dicyphus (Brachyceroea) annulatus (Wolff, 1804) figura 64d del Wagner and Weber e Dicyphus (Brachyceroea) ononidis, Wagner, 1951 figura 64f! Invece scopro grazie a te che ora trattasi di sinonimi :?
Ma quindi l'esemplare postato a quale delle due specie citate nella Faune de France si riferisce? :?

Grazie Laura


Top
profilo
MessaggioInviato: 30/04/2010, 13:18 
Avatar utente

Iscritto il: 05/02/2009, 17:36
Messaggi: 781
Nome: Attilio Carapezza
Cara Laura, temo di non avere capito bene la tua domanda. Se i due taxa Dicyphus (Brachyceroea) annulatus (Wolff, 1804) e Dicyphus (Brachyceroea) ononidis, Wagner, 1951 sono stati riconosciuti sinonimi (la sinonimia è staa istituita da Günther & Schuster, 1990, Verzeichnis der Wanzen Mitteleuropas, Deutsche Entomologische Zeitschrift, 37:361-396), questo significa che la specie è una sola ed è a questa che si riferisce l'esemplare raffigurato. La tua difficoltà a fare rientrare chiaramente nell'una o dell'altra delle tue specie l'esemplare è un segno ulteriore della correttezza della sinonimia. Si tratta, infatti, di una specie con un ampio range di variabilità che include i caratteri con cui in passato si pensava (sempre con molta difficoltà) di potere separare due specie diverse.


Top
profilo
MessaggioInviato: 30/04/2010, 13:45 
Avatar utente

Iscritto il: 06/02/2009, 8:59
Messaggi: 305
Località: Sassari
Nome: Laura Loru
:ses :ses :ses :ses :ses :ses :ses
Caro Attilio fai come se non ti avessi mai posto la domanda!
Avevo il cervello in standby! Ultimamente mi capita spesso!

Laura


Top
profilo
MessaggioInviato: 30/04/2010, 20:22 
Avatar utente

Iscritto il: 04/02/2009, 17:49
Messaggi: 5557
Località: Cagliari
Nome: Daniele Sechi
Ranatra ha scritto:
:ses :ses :ses :ses :ses :ses :ses
Caro Attilio fai come se non ti avessi mai posto la domanda!
Avevo il cervello in standby! Ultimamente mi capita spesso!


Avrai i tuoi buoni motivi :lol:

Pensa che io oggi ho trovato i miei primi Ventocoris (in Sardegna non li avevo mai visti :oops: )

_________________
:hi:
Daniele


Top
profilo
MessaggioInviato: 01/05/2010, 21:26 
Avatar utente

Iscritto il: 05/02/2009, 17:25
Messaggi: 4894
Località: Zola Predosa (BO)
Nome: Loris Colacurcio
...ed io ringazio come sempre per la vostra squisita disponibilità :birra:

:hi:

_________________
Loris


Top
profilo
Visualizza ultimi messaggi:  Ordina per  
nuovo argomento
rispondi
Pagina 1 di 1 [ 9 messaggi ]

Tutti gli orari sono UTC + 1 ora [ ora legale ]


Chi c’è in linea

Visitano il forum: Nessuno e 2 ospiti


Non puoi aprire nuovi argomenti
Non puoi rispondere negli argomenti
Non puoi modificare i tuoi messaggi
Non puoi cancellare i tuoi messaggi
Non puoi inviare allegati

Cerca per:
Vai a: