Benvenuto Ospite

Forum Entomologi Italiani

www.entomologiitaliani.net/forum
 
Oggi è 26/01/2026, 20:03

Tutti gli orari sono UTC + 1 ora [ ora legale ]

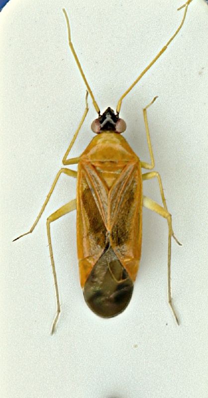
Phylus (Phylus) melanocephalus (Linnaeus, 1767) - Miridae. Sasso Marconi (BO)



nuovo argomento
rispondi
Pagina 1 di 1 [ 8 messaggi ]
Autore Messaggio
MessaggioInviato: 08/06/2010, 20:26 
Avatar utente

Iscritto il: 05/02/2009, 17:25
Messaggi: 4894
Località: Zola Predosa (BO)
Nome: Loris Colacurcio
Questi eterotteri (lygaeidae ?) li ho trovati una decina di giorni fa sfalciando vigorosamente i rami più alti (sui due metri d'altezza), di alcune roverelle.

Dire che sono fragili è un eufemismo....si sfaldavano appena li toccavi :cry:

Sasso Marconi (BO) - Palazzo Rossi, maggio 2010
Lunghezza: circa 6 mm. o poco più. :oops:

Heterottero 02.JPG


_________________
Loris


Top
profilo
MessaggioInviato: 08/06/2010, 21:50 
Avatar utente

Iscritto il: 02/02/2009, 23:32
Messaggi: 5645
Località: da Ferrara ad Alghero
Nome: Roberto A. Pantaleoni
Tipico dei Miridi.

Roberto :to:

_________________
verum stabile cetera fumus


Top
profilo
MessaggioInviato: 09/06/2010, 19:00 
Avatar utente

Iscritto il: 05/02/2009, 17:36
Messaggi: 780
Nome: Attilio Carapezza
Phylus (Phylus) melanocephalus (Linnaeus, 1767), miride ad ampia distribuzione europea legato al genere Quercus


Top
profilo
MessaggioInviato: 10/06/2010, 9:17 
Avatar utente

Iscritto il: 05/09/2009, 7:56
Messaggi: 3445
Località: Cesena
Nome: Gianfranco Sama
Una questione - il nome generico Phylus Hahn, 1831 è omonimo del genere Philus Saunders, 1853 (Cerambycidae Vesperidae Philinae). Se non mi sbaglio, anche se diversi per una lettera ("y" invece di "i") i due nomi sono ritenuti essere identici (ICZN art. 58.2). Mi sbaglio ?
Ovviamente dovrebbe essere Philus Saunders, 1853 a dover essere sostituito. Un bel casino. Quello che è strano è che Phylus Hahn, 1831 non è elencato nel Nomenclator Zoologicus (edizione online), ma è presente nel Nomenclator Zoologicus di Agassiz :gun:

_________________
Gianfranco Sama

"Benedetto colui che ti aiuta a correggere i tuoi errori invece di scagliarteli contro"
___________________________________
Gershom Sholem


Top
profilo
MessaggioInviato: 10/06/2010, 21:26 
Avatar utente

Iscritto il: 05/02/2009, 17:36
Messaggi: 780
Nome: Attilio Carapezza
Ho riletto attentamente l'articolo del codice che citi e mi pare che l'omonimia dovuta alla equivalenza di i e y si applichi soltanto ai nomi delle specie e non a quelli dei generi . L'art. 58 che elenca questi casi è infatti intitolato "Variant spellings of species-group names deemed to be identical". Penso quindi che siamo salvi. Dal genere Phylus discende il nome della sottofamiglia quantitativamente più importante dei Miridae, appunto i Phylinae.


Top
profilo
MessaggioInviato: 11/06/2010, 7:51 
Avatar utente

Iscritto il: 05/09/2009, 7:56
Messaggi: 3445
Località: Cesena
Nome: Gianfranco Sama
Credo proprio che questo caso si applichi a tutte le categorie (vedi l'articolo 52). Ad ogni modo il problema non tocca Phylus Hahn, ma Philus Saunders che è l'omonimo juniore. Aspettiamo però l'"esperto" Maurizio Pavesi che sarà perso, con l'auto in panne, in qualche landa desolata.

_________________
Gianfranco Sama

"Benedetto colui che ti aiuta a correggere i tuoi errori invece di scagliarteli contro"
___________________________________
Gershom Sholem


Top
profilo
MessaggioInviato: 11/06/2010, 7:53 
Avatar utente

Iscritto il: 05/02/2009, 17:25
Messaggi: 4894
Località: Zola Predosa (BO)
Nome: Loris Colacurcio
...nel frattempo, intervengo solo per ringraziare, come sempre.

:hi:

_________________
Loris


Top
profilo
MessaggioInviato: 12/06/2010, 16:33 
Avatar utente

Iscritto il: 02/02/2009, 23:32
Messaggi: 5645
Località: da Ferrara ad Alghero
Nome: Roberto A. Pantaleoni
Isotomus ha scritto:
Credo proprio che questo caso si applichi a tutte le categorie (vedi l'articolo 52). Ad ogni modo il problema non tocca Phylus Hahn, ma Philus Saunders che è l'omonimo juniore. Aspettiamo però l'"esperto" Maurizio Pavesi che sarà perso, con l'auto in panne, in qualche landa desolata.
Intanto consiglio la lettura dell'art. 56.2 :) !
Ha ragione Attilio l'art. 58 è dedicato alle specie (come il 57), è il 56 quello dedicato ai generi. Ed appunto il 56.2 (e soprattutto l'esempio) sono chiarissimi: vedi QUI!

Roberto :to:

_________________
verum stabile cetera fumus


Top
profilo
Visualizza ultimi messaggi:  Ordina per  
nuovo argomento
rispondi
Pagina 1 di 1 [ 8 messaggi ]

Tutti gli orari sono UTC + 1 ora [ ora legale ]


Chi c’è in linea

Visitano il forum: Nessuno e 2 ospiti


Non puoi aprire nuovi argomenti
Non puoi rispondere negli argomenti
Non puoi modificare i tuoi messaggi
Non puoi cancellare i tuoi messaggi
Non puoi inviare allegati

Cerca per:
Vai a: