Benvenuto Ospite

Forum Entomologi Italiani

www.entomologiitaliani.net/forum
 
Oggi è 15/03/2026, 1:43

Tutti gli orari sono UTC + 1 ora [ ora legale ]

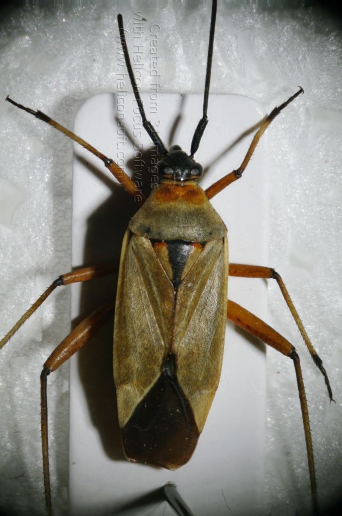
Calocoris nemoralis (Fabricius, 1878) - Miridae

26.V.2013 - ITALIA - Sardegna - OR, Mogoro


nuovo argomento
rispondi
Pagina 1 di 1 [ 5 messaggi ]
Autore Messaggio
MessaggioInviato: 08/03/2018, 20:40 
 

Iscritto il: 30/12/2014, 18:57
Messaggi: 1027
Nome: Adriana Lecis
Salve! Misura circa 10 mm. :roll: :roll: :roll:


2018-03-08 19-32-03 (B,Radius8,Smoothing4).jpg

Top
profilo
 Oggetto del messaggio: Re: determinazione Hemiptera
MessaggioInviato: 09/03/2018, 0:36 
Avatar utente

Iscritto il: 13/06/2015, 13:46
Messaggi: 1681
Località: Milano
Nome: Claudio Leali
Adriana ci provo...; Adelphocoris lineolatus.

:hi: Claudio

_________________
"E' ciò che non si vede, non quello che si vede che fa paura."
Christopher Lee


Top
profilo
 Oggetto del messaggio: Re: determinazione Hemiptera
MessaggioInviato: 09/03/2018, 11:10 
Avatar utente

Iscritto il: 01/11/2009, 9:51
Messaggi: 2330
Nome: Andrea Rattu
Calocoris nemoralis.

_________________
Se gettassi su di un piatto della bilancia tutto ciò che ho imparato a comprendere in quelle ore di meditazione di fronte all'acquario, e sull'altro tutto ciò che ho ricavato dai libri, come rimarrebbe leggero il secondo!
Konrad Lorenz


Top
profilo
 Oggetto del messaggio: Re: determinazione Hemiptera
MessaggioInviato: 09/03/2018, 16:42 
Avatar utente

Iscritto il: 21/09/2014, 11:55
Messaggi: 1561
Località: Istanbul Turkey
Nome: Barış
Palaemonetes ha scritto:
Calocoris nemoralis.


:ok:


Top
profilo
 Oggetto del messaggio: Re: determinazione Hemiptera
MessaggioInviato: 09/03/2018, 19:33 
 

Iscritto il: 30/12/2014, 18:57
Messaggi: 1027
Nome: Adriana Lecis
Grazie ragazzi! Buon fine settimana! :hi: :hi: :hi: :hi:


Top
profilo
Visualizza ultimi messaggi:  Ordina per  
nuovo argomento
rispondi
Pagina 1 di 1 [ 5 messaggi ]

Tutti gli orari sono UTC + 1 ora [ ora legale ]


Chi c’è in linea

Visitano il forum: Nessuno e 2 ospiti


Non puoi aprire nuovi argomenti
Non puoi rispondere negli argomenti
Non puoi modificare i tuoi messaggi
Non puoi cancellare i tuoi messaggi
Non puoi inviare allegati

Cerca per:
Vai a:  
cron