Benvenuto Ospite

Forum Entomologi Italiani

www.entomologiitaliani.net/forum
 
Oggi è 30/04/2026, 13:58

Tutti gli orari sono UTC + 1 ora [ ora legale ]

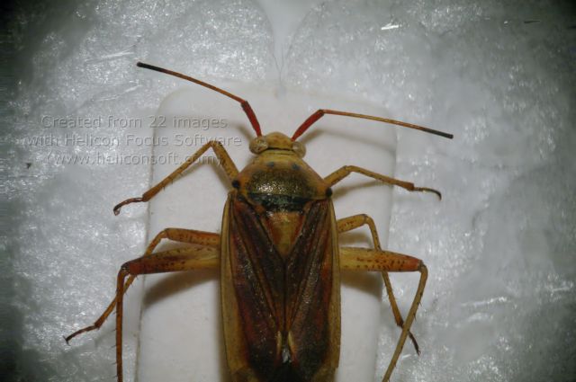
Closterotomus trivialis (A. Costa, 1853) - Miridae

27.VI.2018 - ITALIA - Sardegna - OR, Laconi - Rio Bidissariu


nuovo argomento
rispondi
Pagina 1 di 1 [ 3 messaggi ]
Autore Messaggio
MessaggioInviato: 02/04/2020, 19:41 
 

Iscritto il: 30/12/2014, 18:57
Messaggi: 1029
Nome: Adriana Lecis
Salve! Misura 7 mm. :roll: :roll: :roll: Ombrellando su vegetazione ripariale


z1.jpg

z3.jpg

z2.jpg

Top
profilo
 Oggetto del messaggio: Re: Determinazione Hemiptera
MessaggioInviato: 02/04/2020, 19:54 
Avatar utente

Iscritto il: 21/09/2014, 11:55
Messaggi: 1561
Località: Istanbul Turkey
Nome: Barış
Miridae: Closterotomus trivialis


Top
profilo
 Oggetto del messaggio: Re: Determinazione Hemiptera
MessaggioInviato: 03/04/2020, 10:26 
 

Iscritto il: 30/12/2014, 18:57
Messaggi: 1029
Nome: Adriana Lecis
Grazie!!! :hp: Buona giornata! :hi: :hi: :hi:


Top
profilo
Visualizza ultimi messaggi:  Ordina per  
nuovo argomento
rispondi
Pagina 1 di 1 [ 3 messaggi ]

Tutti gli orari sono UTC + 1 ora [ ora legale ]


Chi c’è in linea

Visitano il forum: Nessuno e 2 ospiti


Non puoi aprire nuovi argomenti
Non puoi rispondere negli argomenti
Non puoi modificare i tuoi messaggi
Non puoi cancellare i tuoi messaggi
Non puoi inviare allegati

Cerca per:
Vai a: