Benvenuto Ospite

Forum Entomologi Italiani

www.entomologiitaliani.net/forum
 
Oggi è 26/01/2026, 5:14

Tutti gli orari sono UTC + 1 ora [ ora legale ]

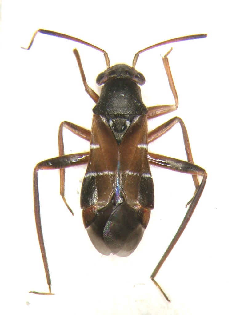
Pilophorus perplexus Douglas & Scott, 1875 - Miridae

9.VII.2022 - ITALIA - Lombardia - LC, Bellano


nuovo argomento
rispondi
Pagina 1 di 1 [ 1 messaggio ]
Autore Messaggio
MessaggioInviato: 10/07/2022, 9:19 
Avatar utente

Iscritto il: 31/12/2009, 1:47
Messaggi: 926
Località: Bellano (LC)
Nome: Martino Salvetti
Catturato su piante di Pero, in zona Bellano (LC). 4.5 mm


Pilophorus_perplexus - Copia.jpg

Top
profilo
Visualizza ultimi messaggi:  Ordina per  
nuovo argomento
rispondi
Pagina 1 di 1 [ 1 messaggio ]

Tutti gli orari sono UTC + 1 ora [ ora legale ]


Chi c’è in linea

Visitano il forum: Nessuno e 1 ospite


Non puoi aprire nuovi argomenti
Non puoi rispondere negli argomenti
Non puoi modificare i tuoi messaggi
Non puoi cancellare i tuoi messaggi
Non puoi inviare allegati

Cerca per:
Vai a:  
cron