Benvenuto Ospite

Forum Entomologi Italiani

www.entomologiitaliani.net/forum
 
Oggi è 25/01/2026, 15:46

Tutti gli orari sono UTC + 1 ora [ ora legale ]

Lestomerus spinipes (Serville, 1831) - Reduviidae - Zambia

14.XII.2008 - ZAMBIA - EE, Zambia, Western Province: 18 km W Kaoma, 1167m, 7/14.XII.2008


nuovo argomento
rispondi
Pagina 1 di 1 [ 4 messaggi ]
Autore Messaggio
MessaggioInviato: 15/03/2011, 19:05 
Avatar utente

Iscritto il: 05/09/2009, 7:56
Messaggi: 3445
Località: Cesena
Nome: Gianfranco Sama
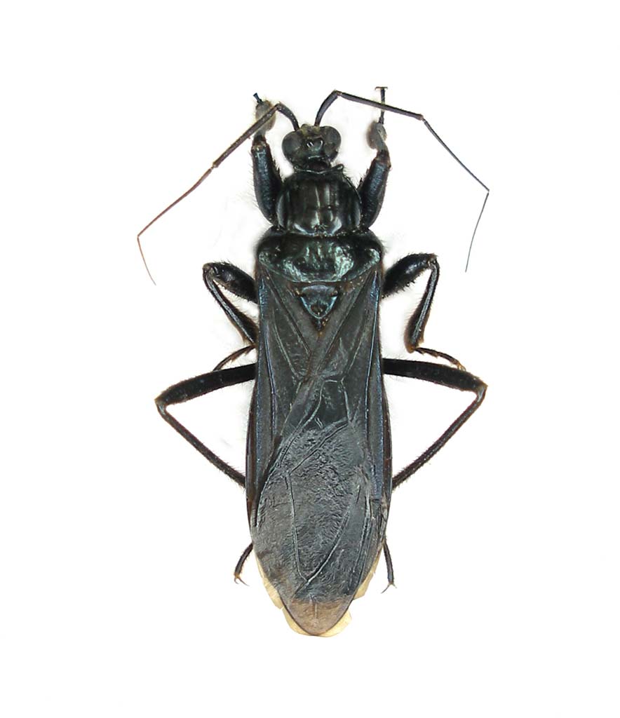
Hemiptera da determinare
Zambia, Western province: 18 km W Kaoma, 1167m, 7/14.XII.2008, alla luce
Hemiptera 1 Zambia_2008_Kaoma 018.jpg


_________________
Gianfranco Sama

"Benedetto colui che ti aiuta a correggere i tuoi errori invece di scagliarteli contro"
___________________________________
Gershom Sholem


Top
profilo
 Oggetto del messaggio: Re: Hemiptera Zambia - 1
MessaggioInviato: 15/03/2011, 19:42 
Avatar utente

Iscritto il: 06/02/2009, 9:07
Messaggi: 1706
Località: W-Mediterraneo
Nome: Davide Badano
sempre Reduviidae


Top
profilo
 Oggetto del messaggio: Re: Hemiptera Zambia - 1
MessaggioInviato: 26/04/2011, 17:43 
Avatar utente

Iscritto il: 05/02/2009, 17:34
Messaggi: 894
Località: Sondrio - Lombardia - Italia
Nome: Paride Dioli
Lestomerus spinipes (Serville, 1831).
I femori anteriori e non solo, di questa specie portano delle spine (da cui deriva il nome) che si intravvedono anche in questa foto.
Distriobuzione ampia nell'Africa centrale.

_________________
Link: https://www.ndsu.edu/pubweb/~rider/Pentatomoidea/Researchers/Dioli_Paride.htm
Papers in PDF format: https://www.researchgate.net/profile/Paride_Dioli/?ev=hdr_xprf/


Top
profilo
 Oggetto del messaggio: Re: Hemiptera Zambia - 1
MessaggioInviato: 26/04/2011, 18:32 
Avatar utente

Iscritto il: 05/09/2009, 7:56
Messaggi: 3445
Località: Cesena
Nome: Gianfranco Sama
:lov1: :ok:

_________________
Gianfranco Sama

"Benedetto colui che ti aiuta a correggere i tuoi errori invece di scagliarteli contro"
___________________________________
Gershom Sholem


Top
profilo
Visualizza ultimi messaggi:  Ordina per  
nuovo argomento
rispondi
Pagina 1 di 1 [ 4 messaggi ]

Tutti gli orari sono UTC + 1 ora [ ora legale ]


Chi c’è in linea

Visitano il forum: Nessuno e 2 ospiti


Non puoi aprire nuovi argomenti
Non puoi rispondere negli argomenti
Non puoi modificare i tuoi messaggi
Non puoi cancellare i tuoi messaggi
Non puoi inviare allegati

Cerca per:
Vai a: