Benvenuto Ospite

Forum Entomologi Italiani

www.entomologiitaliani.net/forum
 
Oggi è 31/03/2026, 12:08

Tutti gli orari sono UTC + 1 ora [ ora legale ]

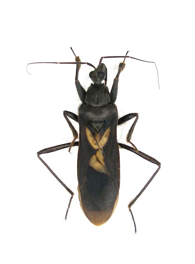
Ectomocoris cruciger (Fabricius, 1803) - Reduviidae - Zambia

14.XII.2008 - ZAMBIA - EE, Zambia, Western Province: 18 km W Kaoma, 1167m, 7/14.XII.2008


nuovo argomento
rispondi
Pagina 1 di 1 [ 6 messaggi ]
Autore Messaggio
MessaggioInviato: 15/03/2011, 19:06 
Avatar utente

Iscritto il: 05/09/2009, 7:56
Messaggi: 3445
Località: Cesena
Nome: Gianfranco Sama
Hemiptera da determinare
Zambia, Western province: 18 km W Kaoma, 1167m, 7/14.XII.2008, alla luce
Hemiptera 2 Zambia_2008_Kaoma 017.jpg


_________________
Gianfranco Sama

"Benedetto colui che ti aiuta a correggere i tuoi errori invece di scagliarteli contro"
___________________________________
Gershom Sholem


Top
profilo
 Oggetto del messaggio: Re: Hemiptera Zambia - 2
MessaggioInviato: 15/03/2011, 19:36 
Avatar utente

Iscritto il: 06/02/2009, 9:07
Messaggi: 1706
Località: W-Mediterraneo
Nome: Davide Badano
Reduviidae


Top
profilo
 Oggetto del messaggio: Re: Hemiptera Zambia - 2
MessaggioInviato: 15/03/2011, 20:03 
Avatar utente

Iscritto il: 05/09/2009, 7:56
Messaggi: 3445
Località: Cesena
Nome: Gianfranco Sama
Grazie Dilar, come pensavo; spero in qualcosa di più preciso :mrgreen:

_________________
Gianfranco Sama

"Benedetto colui che ti aiuta a correggere i tuoi errori invece di scagliarteli contro"
___________________________________
Gershom Sholem


Top
profilo
 Oggetto del messaggio: Re: Hemiptera Zambia - 2
MessaggioInviato: 15/03/2011, 23:44 
Avatar utente

Iscritto il: 06/02/2009, 9:07
Messaggi: 1706
Località: W-Mediterraneo
Nome: Davide Badano
A casa ho bibliografia per arrivare al genere... ma non qui!

Neurotteri? Niente?


Top
profilo
 Oggetto del messaggio: Re: Hemiptera Zambia - 2
MessaggioInviato: 26/04/2011, 17:30 
Avatar utente

Iscritto il: 05/02/2009, 17:34
Messaggi: 894
Località: Sondrio - Lombardia - Italia
Nome: Paride Dioli
Ectomocoris cruciger (Fabricius, 1803). Specie presente in tutta l'Africa intertropicale, dalla Guinea al Mozambico sino all'Abissinia

_________________
Link: https://www.ndsu.edu/pubweb/~rider/Pentatomoidea/Researchers/Dioli_Paride.htm
Papers in PDF format: https://www.researchgate.net/profile/Paride_Dioli/?ev=hdr_xprf/


Top
profilo
 Oggetto del messaggio: Re: Hemiptera Zambia - 2
MessaggioInviato: 26/04/2011, 17:40 
Avatar utente

Iscritto il: 05/09/2009, 7:56
Messaggi: 3445
Località: Cesena
Nome: Gianfranco Sama
Dioli ha scritto:
Ectomocoris cruciger (Fabricius, 1803). Specie presente in tutta l'Africa intertropicale, dalla Guinea al Mozambico sino all'Abissinia

Grazie Paride :ok: Ciao :no1:

_________________
Gianfranco Sama

"Benedetto colui che ti aiuta a correggere i tuoi errori invece di scagliarteli contro"
___________________________________
Gershom Sholem


Top
profilo
Visualizza ultimi messaggi:  Ordina per  
nuovo argomento
rispondi
Pagina 1 di 1 [ 6 messaggi ]

Tutti gli orari sono UTC + 1 ora [ ora legale ]


Chi c’è in linea

Visitano il forum: Nessuno e 2 ospiti


Non puoi aprire nuovi argomenti
Non puoi rispondere negli argomenti
Non puoi modificare i tuoi messaggi
Non puoi cancellare i tuoi messaggi
Non puoi inviare allegati

Cerca per:
Vai a: